《감성돔》4짜외 감성돔마릿수 뺀찌 마릿수~
01월 15일(목)
인낚 현재접속자
4,638명 (
350
)
공지사항
인낚도서관
점주선장전용 공지사항
로그인
광고/제휴 문의
운영진에게
인낚ㅣ인터넷바다낚시
0
어종별선상
어종별갯바위
낚시인조황
점주선장조황
출조정보
낚시광장
낚시지식인
낚시교실
중고장터
휴게실
인낚도서관
인낚몰
0
어종별선상
어종별 선상조황
4대돔 조황
먹물 조황
갈치 조황
볼락&전갱이
빅게임 지깅&파핑
외줄&외수질
기타 어종
어종별 갯바위조황
4대돔 조황
먹물 조황
갈치 조황
볼락&전갱이
농어&삼치&방어&부시리
기타 어종
어종별갯바위
어종별 선상조황
4대돔 조황
먹물 조황
갈치 조황
볼락&전갱이
빅게임 지깅&파핑
외줄&외수질
기타 어종
어종별 갯바위조황
4대돔 조황
먹물 조황
갈치 조황
볼락&전갱이
농어&삼치&방어&부시리
기타 어종
낚시인조황
낚시인 번개조황
낚시인조행기
스탭조행기
우리낚시동호회이야기
전국낚시동호회소개
동호회갤러리
지난 조황자료보기(년도별 조황 자료)
점주선장조황
전국 실시간 조황
선상(배)+좌대 조황
갯바위+방파제 조황
점주선장전용 공지사항
지난 조황자료보기(년도별 조황 자료)
출조정보
낚시인동행출조
점주선장 갯바위 출조
점주선장 선상출조
기상파고정보(기상청)
해상예보
물때표
파고예보(일본)
실시간해양관측예보
스마트조석예보
낚시광장
낚시계뉴스
대회 및 낚시관련 홍보
제품평가단
신상품소개
낚시지식인
Q&A 묻고 답하기
지식인 베스트
조황/포인트 문의
낚시용품 사용기
낚시투표
토론방
新어류도감
낚시교실
낚시기법소개
어종별 낚시교실
입문자교실
중급자교실
낚시용어사전
중고장터
중고장터 이용후기
더치트 사기피해 검색
팝니다
삽니다
교환합시다
무료로 드립니다
부품팝니다
부품삽니다
일반 생활용품 사고 팔기
휴게실
출석부
낚시갤러리
세상사는 이야기(자유게시판)
낚시이야기 마당
먹고사는 이야기
구인구직
칭찬합니다
어째이런일이
습득물 찾기
인낚도서관
인낚 유튜브
인낚 칼럼
블루, 그것이 알고싶다
더블테일의 두 눈으로 보는 세상
입질의추억의 피싱다이어리
나無의 바다 이야기
전문강좌
海巖의 바다낚시 이야기
이성규의 전유동낚시 강좌
조성민의 금요루어클럽
메인
어종별선상
어종별갯바위
낚시인조황
점주선장조황
출조정보
낚시광장
낚시지식인
낚시교실
중고장터
휴게실
인낚도서관
인낚몰
0
전국 실시간 조황
선상(배)+좌대 조황
갯바위+방파제 조황
점주선장전용 공지사항
지난 조황자료보기(년도별 조황 자료)
점주/선장 >
선상 + 좌대 조황
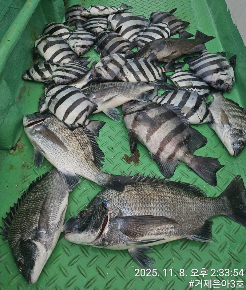
《감성돔》4짜외 감성돔마릿수 뺀찌 마릿수~
거제은아3호
1
211
2025.11.08 15:05
● 출항지 : 거제
● 출조인원 : 3~5명
#점주조황 #선상낚시 #흘림찌낚시 #감성돔 #참돔흘림 #돌문어 #생활낚시(뽈락,전갱이,고등어등등)
《감성돔》감성돔 포인트에서 잡고 뺀찌 포인트로 이동후 잡았습니다.
꾸준한 입질에 오늘도 마릿수 잡고 철수하였습니다.
내일도 어초ㆍ여밭으로 달려보겠습니다.
거제 은아호 입니다.
선장님들의 풍부한 경험으로 초보자분도 부담없이 연락주시면 친절하게 가르처 드립니다.
★감성돔낚시★
종일낚시: 새벽부터 - 2~3시까지 / 11만원
오전낚시: 새벽부터 - 11시까지 / 8만원
오후낚시: 1시부터 - 해질때까지 / 8만원
※독배는 시간 조정 가능합니다.※
★참돔낚시★
종일낚시 : 새벽부터 - 2시 전ㆍ후까지
오후낚시 : 1시부터 - 해질때까지 (3명부터 출조합니다.)
14만원=밑밥.미끼.도시락.커피.음료수.생수다포함.
장비ᆞ쿨러만 가져오시면 됩니다.
(몇대는 대여가능합니다.미리 말씀해주세요.)
★돌문어★
아침부터 - 2시 전ㆍ후/ 9만원
독배는 시간 조정 가능합니다.
※낚시대 무상대여 해드립니다.※
※채비 만원에 무한제공 해드립니다.몸만 오셔도 됩니다.※
★생활낚시(뽈락+전갱이)★
오전낚시 6시 ~ 11시까지/ 8만원
오후낚시 1시 ~ 6시까지/ 8만원
종일낚시 6시~2~3시까지/ 11만원
독배는 시간 조정 가능합니다.
※3명부터 출항합니다※
★환불규정★
당일~1일전 ~ 환불불가.
2일전 ~ 50%환불.
※단 예약이 들어오면 환불해 드립니다.※
★은아호선단★
거제 은아1호 ㅡ 다이아몬드호
거제 은아3호 ㅡ 레전드호
거제 은아5호 ㅡ 대진호
※협력선단 ㅡ 최강피싱※
★찾아오시는길★
주소 : 거제시 거제면 법동리 536-24(법동낚시공원)
★★★신분증 꼭 지참해주세요★★★
☎예약문의☎
예약전화 : 010-6292-7634
문의전화 : 010-9084-7634
☆은아펜션 운영합니다.☆
거제시 거제면 거제남서로 4234
♡낚시하시고 씻고 가실수 있습니다♡
♡고기 손질하고 가실수 있습니다♡
♡낚시 출조 손님은 펜션 이용시 50% 할인 합니다♡
0
신고
목록
글쓴이
0
0
Lv.1
거제은아3호
점주선장
969 (9.6%)
안녕하세요 새롭게시작하는 거제은아5호입니다
+1
12.06
《감성돔 》4짜4짜4짜들외 마릿수 조황 ~
+1
11.22
《감성돔》감성돔ㆍ뺀찌 마릿수 진행중~
+1
11.09
《감성돔》4짜외 마릿수 감성돔ㆍ뺀찌 초초초대박 마릿수~주말 조황.
+1
11.08
《감성돔》4짜외 감성돔마릿수 뺀찌 마릿수~
+1
10.09
《감성돔》4짜급까지 마릿수 진행중~
1
댓글
거제은아3호
25-11-08 15:05
0
월요일부터 예약 가능합니다
월요일부터 예약 가능합니다
댓글 설정
댓글 신고
로그인한 회원만 댓글 등록이 가능합니다.
×
Image Upload
로그인한 회원만 등록가능합니다.
포토
제목
이름
날짜
[통영] (문어)3.6K 한방~2K~K오버 쉴 틈 없이 퍼 담고~고고피싱…
출항지 : 통영 / 출조지 : 통영
고고피싱호
23
9분전
고고피싱호
18:05
[진해] 14일<야간 낙지>손맛 찐하게 보고왔어요~오늘 목,금,토 예약가…
출항지 : 진해 / 출조지 :
썬플라워호10톤
7
19분전
썬플라워호10톤
17:55
[진해] 오징어 잡으러 갑니다 먹물파티 함께해요~ 토요일 일요일 예약가능…
출항지 : 진해 / 출조지 : 진해
진해은빛피싱
19
24분전
진해은빛피싱
17:50
[통영] (볼락)물면 크다~갈뽈 구덩이 씨알급들 줄줄이~뉴그린호(16일 …
출항지 : 통영 / 출조지 : 통영
통영뉴그린호
66
24분전
통영뉴그린호
17:50
[진해] 금요일 야간낙지 예약가능~ 금,토,일 야간낙지출항 연락주세요~
출항지 : 진해 / 출조지 : 진해
진해제네시스호
6
25분전
진해제네시스호
17:48
[통영] 통영 금정호 대물감성돔 카고 조황! 자리있습니다
출항지 : 통영 / 출조지 :
유촌금정낚시
14
28분전
유촌금정낚시
17:46
[진해] 14일 야간 왕낙지들 사이즈 최고최고~!!롱다리 쭉쭉~!!(금,…
출항지 : 진해 / 출조지 : 진해
진해라코피싱
6
32분전
진해라코피싱
17:42
[통영] 감성돔어초흘림 마릿수조황
출항지 : 통영 / 출조지 :
대박스토리호
17
34분전
대박스토리호
17:40
[진해] (선비 5 만원) 지퍼팩 터질듯 잡고온 야간 ~왕 낙지 잡으러 …
출항지 : 진해 / 출조지 : 거제
성진피싱
131
34분전
성진피싱
17:40
[진해] 안골) 감성돔 흘림 빅사이즈 마릿수 최신 굳굳조황 - 금욜출조 …
출항지 : 진해 / 출조지 : 진해
테라호
21
38분전
테라호
17:36
[진해] 감시흘림,너울,바람통,49,44,43,41외,3짜들,굿,,
출항지 : 진해 / 출조지 : 진해
뉴비젼호
20
38분전
뉴비젼호
17:36
[진해] [신조선]원도권문어1800g1100g970g940g급외마릿수굿~
출항지 : 진해 / 출조지 : 진해
뉴해경피싱
7
40분전
뉴해경피싱
17:34
[거제] 거제 ( 어구항 일성호 ) 감성돔 노래미 ~~ 선장…
출항지 : 거제 / 출조지 : 거제
거제어구일성호
16
41분전
거제어구일성호
17:33
[완도] [일성호] 대물 감성돔 조황입니다~* 일요일 예약가능합니다 *
출항지 : 완도 / 출조지 : 완도
완도일성호
7
46분전
완도일성호
17:28
[진해] 감성돔 흘림 대물 사냥 합니다
출항지 : 진해 / 출조지 : 진해
진해안골서진호
22
47분전
진해안골서진호
17:26
초기화
날짜순
조회순
검색
1
2
3
4
5
Search
검색대상
제목
내용
제목+내용
회원아이디
회원아이디(댓글)
글쓴이
글쓴이(댓글)
또는
그리고
검색어
필수
검색
닫기
검색조건
제목
내용
제목+내용
회원아이디
회원아이디(코)
글쓴이
글쓴이(코)
검색어
또는
그리고
검색
인낚몰 초특가
MAEK 맥 호래기 대바늘 호래기콕 J타입 (카본바디 2입)
어부공방 NEW 호래전
야마시타 SB 호래기 대바늘
★3,000★ 하야부사 6단 볼락 전갱이 카드채비 SD724 볼락채비
★1,000★볼락낚시에 최적인 메바트로볼 - 캐스팅볼, 메바볼
★13,000~★3NO 일본 오리지날 직수입 극강 멀티 무광 마크사 원줄
★500★ W쿠션 멀티 수중찌 M L - 전유동 반유동 끄심바리 필수품 수중쿠션
★5,900★ 여러개 있으면 아주 좋은 EVA 시스템 백
★ 1+1 플로팅, 세미, 카본 낚시줄 행사 호수선택가능 / 택상 1+1 원줄, 목줄 행사
★6,000★ 예민함의 끝판왕 애니원찌 벵에돔찌 학공치찌
★15,000★ 오동목 구멍찌 5개 + 메쉬 찌케이스 세트
★22만원★ 40W 집어등을 이 가격에!