네임
카드
카드
완도골드호
전남 완도군 완도읍 석장길 15-18 완도골드호
010-3870-8167
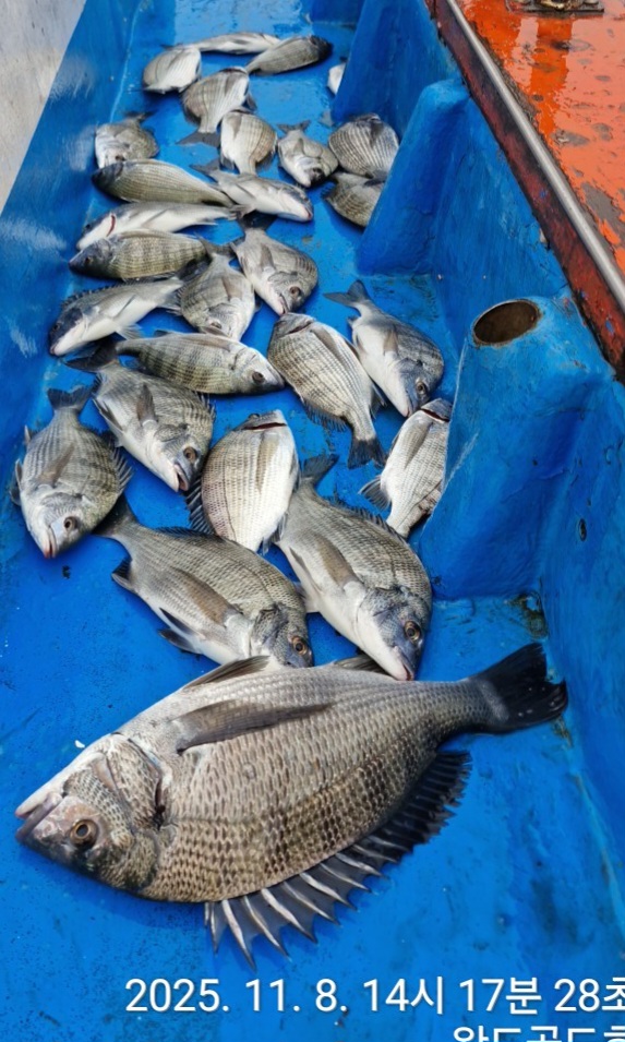
감성돔 찌낚시 46외 조황입니다
전남 완도군 완도읍 석장길 15-18 완도골드호


|
|
|
|

