카드
경남 통영시 통영해안로 231 통영원도낚시
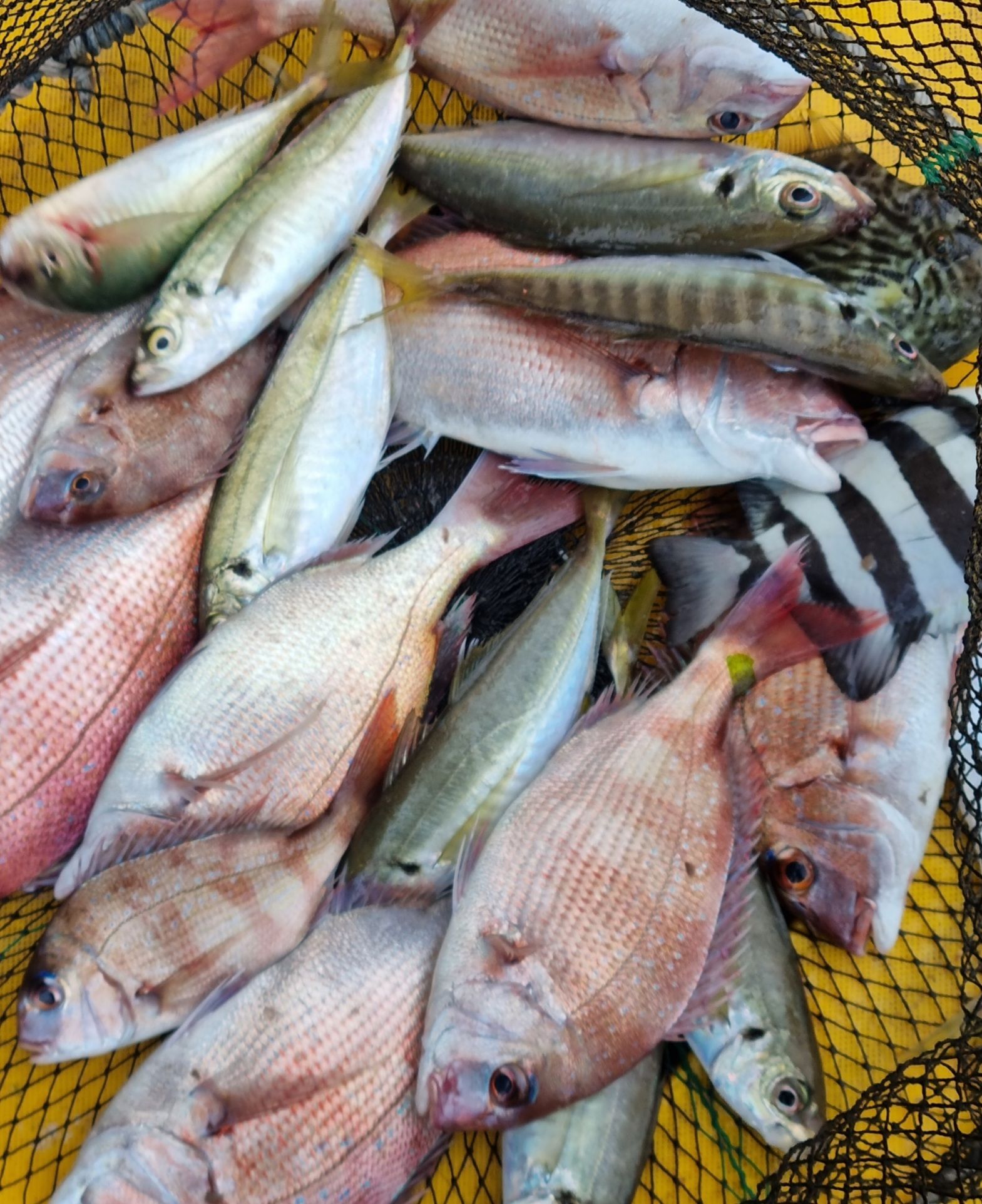
<연화도좌대>"참돔들,볼락,대물장어,전갱이들 가득!"어제오늘
경남 통영시 통영해안로 231 통영원도낚시
오늘당일좌대는 군산에서 혼자오신분이
"참돔"과, "전갱이"들을 한가득 낚으셨고,
어제 야영에서는 그동안 잠잠 했던 "볼락"들과,
"대물 장어"도 올라왔습니다.









**예약전 반드시 읽어보세요.** 개 인 준 비 물 - 신분증, 냄비, 수저, 그릇, 칼, 도마,
석쇠망, 숯(장작사용금지), 생수, 등등
숙소 비치 물품 - 냉장고,가스렌지,전자렌지,커피포터
*전기밥솥은 잦은 고장과 파손으로 인해 부득이하게 없어졌습니다.
전자렌지에 햇반, 또는 가스렌지에 밥을 지으시길 부탁드립니다.
매장에서는 연화도좌대에 특화된
*전용편대채비*를 수작업으로 제작하여
(봉돌포함) 1개 2,000원에 판매하고 있습니다.
곡멸미끼(까나리) 절찬 판매중
좌대 출조 고객들께서는 밑밥을 필히 챙기시돼
"밑밥용 크릴과 감성돔용 파우다 일대일"로 섞어가세요. >>
-개인 밑밥통과 주걱을 챙겨가세요.-
"<1호좌대>와 <2호좌대>, <당일좌대>의 제원과 사양이 조금 다릅니다.
예약시 확인하시고 출조시 오해 없으시길 바랍니다."
당일좌대 평일 - 오전 7시 출조, 상황에 따라 시간은 추가 변동 될수 있습니다.
⇒⇒⇒⇒⇒⇒토,일,휴일 - 오전 7시, 오전 9시30분 2회 출항
야영좌대는 평일 - 오후 2시
⇒⇒⇒⇒⇒⇒주말,휴일전날 - 낮 12시 , 오후 1시30분, 오후 3시에 3회 출항하며
⇒철수는 익일 오전 9시 ~10시
일부시간대는 추가및 취소 될수 있으니 미리 확인 하시고 예약바랍니다. .
(출조시간은 상황에 따라 변동이 될수 있으니 미리 문의 하시기 바랍니다.)
단체팀은 출항시간과 관계없이 사전 협의하에 출발 할수 있습니다.
<< 성인기준 8명 이상 예약시 독방사용 >>
<<<<<<<민박안내>>>>>>>
가족단위(여자분들의 샤워문제,아이들노약자안전문제등)인 경우에는 낚시후 좌
대 바로 앞에 있는동두마을의 민박이용가능(배로 이동)
*사전예약은필수* 민박이용시 별도의 비용이 발생합니다.
((( 낚 시 채 비 )))
*낚시대는 뽈락루어대나 짧고 초릿대가 예민하면 좋습니다.(편대채비)
*카드는 바늘 3개달린 맨카드와 봉돌은 5호~6호정도 사용하면 됩니다.
*예민한 입질에 대응 할수 있는 편대채비 준비하시면 됨.
**** 모든 채비는 매장에 준비되어 있습니다.****
곡멸미끼(까나리) 절찬 판매중
<<<야영 숙소 안내>>>
* 수세식 양변기 화장실과 깨끗하고 안락한 숙소와 넓은 낚시공간
* 밝은 야간 조명으로 야간낚시도 가능합니다.
* 간단한 "코펠종류나 수저"는 챙겨오세요.
* 생수는 개인지참(넉넉하게)
* 바베큐 불판과 숯(장작사용금지)은 챙겨 오시기바랍니다.
* 야영객들의 안전을 위해 "구명조끼" 와 구조용 "구명부환"이
비치 되어 있고 사용 방법을 숙지하여 주시기 바랍니다.
<< 성인기준 8명 이상 예약시 독채사용 >>
"야영좌대 예약은 전액 입금과 확인으로 예약됩니다."
이 점 양해 부탁드립니다.
숙소 이용 수칙
많은 고객들께서 이용하는 공간입니다.
아래 수칙은 꼭 지켜주시기 바랍니다.
1. 실내에서는 "절대금연"입니다.
2. "체크인은 당일 오후 2시 이후",
다음 이용고객의 입실을 위한 청소 및 정리 정돈을 위해
"체크아웃은 익일 오전 9시, 10시" 입니다.
3. "지나친 음주"와 "도박", "고성방가"는 자제해주시길 바랍니다.
4. 실내에서는 "휴대용 가스렌지나 숯불등 화재 위험물의 사용을 금지 합니다.
5. 비치되어 있는 물품은 정리정돈 해주시고, 쓰레기는 숙소 밖에 비치되어 쓰레기통에
버려 주시거나 되가져가 주시기 바랍니다.
연화도좌대 이용 고객님들께서 출렁다리 관광, 산행을 원하시면
원도피싱호 선장님께 문의 바랍니다.
"통영항 여객선 터미널 앞 원도낚시"
경남 통영시 서호동 177-357번지
055) 646-5442