11월 9일 남해 갈화 강바다호 감성돔 선상조황
12월 07일(일)
인낚 현재접속자
2,980명 (
165
)
공지사항
인낚도서관
점주선장전용 공지사항
로그인
광고/제휴 문의
운영진에게
인낚ㅣ인터넷바다낚시
0
어종별선상
어종별갯바위
낚시인조황
점주선장조황
출조정보
낚시광장
낚시지식인
낚시교실
중고장터
휴게실
인낚도서관
인낚몰
0
어종별선상
어종별 선상조황
4대돔 조황
먹물 조황
갈치 조황
볼락&전갱이
빅게임 지깅&파핑
외줄&외수질
기타 어종
어종별 갯바위조황
4대돔 조황
먹물 조황
갈치 조황
볼락&전갱이
농어&삼치&방어&부시리
기타 어종
어종별갯바위
어종별 선상조황
4대돔 조황
먹물 조황
갈치 조황
볼락&전갱이
빅게임 지깅&파핑
외줄&외수질
기타 어종
어종별 갯바위조황
4대돔 조황
먹물 조황
갈치 조황
볼락&전갱이
농어&삼치&방어&부시리
기타 어종
낚시인조황
낚시인 번개조황
낚시인조행기
스탭조행기
우리낚시동호회이야기
전국낚시동호회소개
동호회갤러리
지난 조황자료보기(년도별 조황 자료)
점주선장조황
전국 실시간 조황
선상(배)+좌대 조황
갯바위+방파제 조황
점주선장전용 공지사항
지난 조황자료보기(년도별 조황 자료)
출조정보
낚시인동행출조
점주선장 갯바위 출조
점주선장 선상출조
기상파고정보(기상청)
해상예보
물때표
파고예보(일본)
실시간해양관측예보
스마트조석예보
낚시광장
낚시계뉴스
대회 및 낚시관련 홍보
제품평가단
신상품소개
낚시지식인
Q&A 묻고 답하기
조황/포인트 문의
주간 베스트
낚시용품 사용기
낚시투표
토론방
新어류도감
낚시교실
낚시기법소개
어종별 낚시교실
입문자교실
중급자교실
낚시용어사전
중고장터
중고장터 이용후기
더치트 사기피해 검색
팝니다
삽니다
교환합시다
무료로 드립니다
부품팝니다
부품삽니다
일반 생활용품 사고 팔기
휴게실
출석부
낚시갤러리
세상사는 이야기(자유게시판)
낚시이야기 마당
먹고사는 이야기
구인구직
칭찬합니다
어째이런일이
습득물 찾기
메인
어종별선상
어종별갯바위
낚시인조황
점주선장조황
출조정보
낚시광장
낚시지식인
낚시교실
중고장터
휴게실
0
전국 실시간 조황
선상(배)+좌대 조황
갯바위+방파제 조황
점주선장전용 공지사항
지난 조황자료보기(년도별 조황 자료)
점주/선장 >
선상 + 좌대 조황
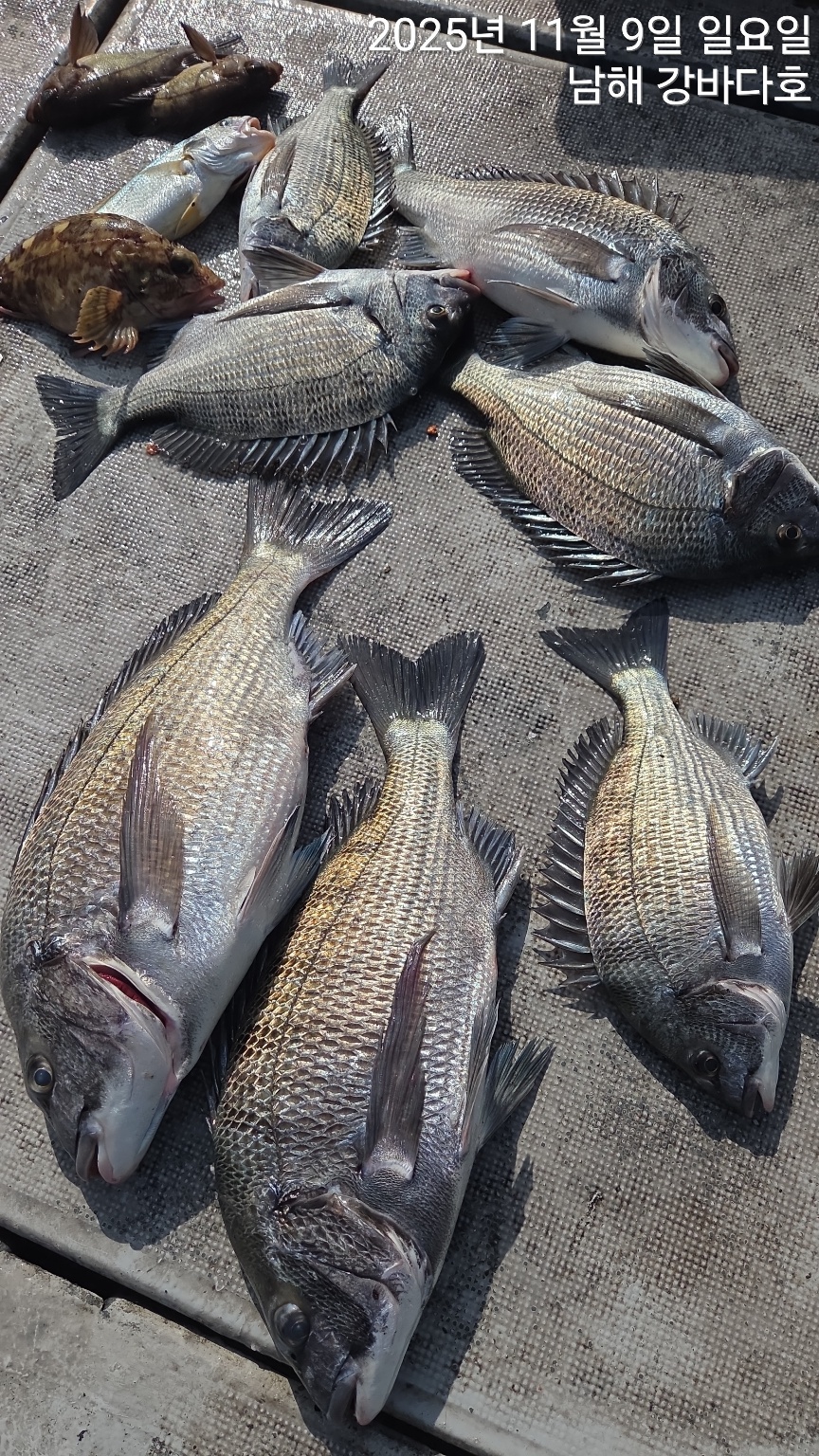
11월 9일 남해 갈화 강바다호 감성돔 선상조황
남해강바다호
0
210
11.09 15:58
● 출항지 : 남해
● 출조지 : 남해
● 출조인원 : 3~5명
네임
카드
남해강바다호
경남 남해군 고현면 갈화리 갈화항
010-2007-5588
실시간 예약
홈페이지
밴드 바로가기
유튜브/SNS
어제는 오전 11시쯤 부부 조사님들 뱃놀이 다녀왔는데 여섯분이서 총 일곱 마리 잡으셨네요.ㅋㅋ
수면위에 에기를 보듬고와서 놔버리고 도망간 놈들만 40마리가 넘으니 이건 뭐 도저히 어떻게 해볼수가 없습니다.
잡은것도 에기를 보듬고 와서 도망가는걸 뜰채 신공으로 거의 낚아채다 싶이해서 잡은거라 이걸 낚았다고 해야될지 아니면 떴다고 해야될지 아무튼 마칠때까지 잼났습니다.
두마리는 라면과 함께 통째로 넣어서 먹물라면 끓여먹고 빗방울이 떨어지기 시작해서 일직 철수했습니다.
오늘은 오랜만에 감성돔 선상 다녀왔습니다.
물이 너무 쌔서 그런지 초물에 40넘는거 두마리 올라오고 물이 잠시 약해질때마다 30전후로 되는거 한두마리씩 오네요.
한마리 터트리고 일곱마리가 끝입니다.ㅋ
오전에 철수를 하셔야 된다길래 12시에 마무리 짓고 철수했네요.
아침에 비 예보가 제법 있었는데 운이 좋은건지 출근할때 그치더니 바람한점 없이 너무 좋았습니다.
오늘하루도 수고들 많으셨어요.
예약 및 조황 문의 : 010-2007-5588
'강바다의 남해바다^^010-2007-5588' 밴드로 초대합니다.
https://band.us/n/a6aa90Ocyar55
밴드명을 검색해 가입할 수 있습니다.
From 강영훈/79/남해
0
신고
목록
0
댓글
로그인한 회원만 댓글 등록이 가능합니다.
×
Image Upload
로그인한 회원만 등록가능합니다.
포토
제목
이름
날짜
[진해] 주꾸미 문꾸미씨알에 마리수로 쭉쭉~감성돔루어 51까지~ 주말예약…
출항지 : 진해 / 출조지 : 진해
두영피싱선장
6
17분전
두영피싱선장
00:23
[마산] 원전항)9톤 쭈꾸미 쫀득~문어는덤~ 내일 일요일 출항 갑니다
출항지 : 마산 / 출조지 :
신조선짱구호원전항
53
20분전
신조선짱구호원전항
00:20
[거제] 내일 일요일 주간문어예약가능~ 자리여유 연락주세요~
출항지 : 거제 / 출조지 : 진해
진해제네시스호
84
12.06
진해제네시스호
12.06
[진해] 감성돔(카고)ㅡ 5짜,4짜급후빈급 마릿수로 손맛굿굿(월,화 에약…
출항지 : 진해 / 출조지 : 거제
진해레져
75
12.06
진해레져
12.06
[진해] 내일 일요일<주간 쭈꾸미>예약가능
출항지 : 진해 / 출조지 : 진해
썬플라워호10톤
82
12.06
썬플라워호10톤
12.06
[진해] 5일 야간낙지 전원 쭉쭉 뽑고~!!2.68K 문어는 보너스~!!…
출항지 : 진해 / 출조지 : 진해
진해라코피싱
90
12.06
진해라코피싱
12.06
[사천] 6일 왕쭈꾸미팍팍 굿~조항 시즌 빅3 EVENT START! ~…
출항지 : 사천 / 출조지 : 사천
따봉피싱
24
12.06
따봉피싱
12.06
[포항] 중방어낚시
출항지 : 포항 / 출조지 :
구룡포낚시프라자
23
12.06
구룡포낚시프라자
12.06
[진해] 야간낙지출항!! 마릿수좋고~무너 3키로오버!! 일요일 예약됩니다
출항지 : 진해 / 출조지 : 진해
진해고고피싱
28
12.06
진해고고피싱
12.06
[예약가능] ✅️[여수오션스타] 12월6일 참돔타이라바 조황
출항지 : 예약가능 / 출조지 :
여수오션스타
21
12.06
여수오션스타
12.06
[진해] 내일 일요일 주간문어 예약가능~자리여유 연락주세요~
출항지 : 진해 / 출조지 : 진해
진해제네시스호
65
12.06
진해제네시스호
12.06
[고성] 4짜3짜마맀수감성돔들(흘림)
출항지 : 고성 / 출조지 : 통영
시인의바다
65
12.06
시인의바다
12.06
[영덕] 12월5일 금요일 볼락조황입니다
출항지 : 영덕 / 출조지 :
바니호
30
12.06
바니호
12.06
[거제] 방어지깅 성공적인 하루네요 마릿수 좋고~
출항지 : 거제 / 출조지 :
NEW해림호
30
12.06
NEW해림호
12.06
[진해] 야간낙지~ 장원 두자리~ 몸보신최고~(예약가능합니다)
출항지 : 진해 / 출조지 :
진해풍산호
39
12.06
진해풍산호
12.06
초기화
날짜순
조회순
검색
1
2
3
4
5
Search
검색대상
제목
내용
제목+내용
회원아이디
회원아이디(댓글)
글쓴이
글쓴이(댓글)
또는
그리고
검색어
필수
검색
닫기
검색조건
제목
내용
제목+내용
회원아이디
회원아이디(코)
글쓴이
글쓴이(코)
검색어
또는
그리고
검색
인낚몰 초특가
★500★ W쿠션 멀티 수중찌 M L - 전유동 반유동 끄심바리 필수품 수중쿠션
★5,900★ 여러개 있으면 아주 좋은 EVA 시스템 백
★ 1+1 플로팅, 세미, 카본 낚시줄 행사 호수선택가능 / 택상 1+1 원줄, 목줄 행사
★6,000★ 예민함의 끝판왕 애니원찌 벵에돔찌 학공치찌
★15,000★ 오동목 구멍찌 5개 + 메쉬 찌케이스 세트
★22만원★ 40W 집어등을 이 가격에!
★5,000★ 전층쿠션 15세트입 S / L 사이즈
★2,000★ 전층쿠션 5세트입 S / L 사이즈
★10,000 미니집어등5개 + 425배터리 1개 + 스토퍼고무 10개
★13,500 深海 심해대물 갈치집어등 3개 5LED 오색 집어등 갈치낚시 필수품 건전지3개 포함 수중집어등
★9,900★ 수제공방 갈치 풀치 잔치세트 짬낚시 필수 하나로 끝
★8,650~★ 아부가르시아 카치카치다마 유동식 타이라바 - 80g / 100g / 120g / 140g