안녕하세요.
꽃청춘2호 송선장입니다.
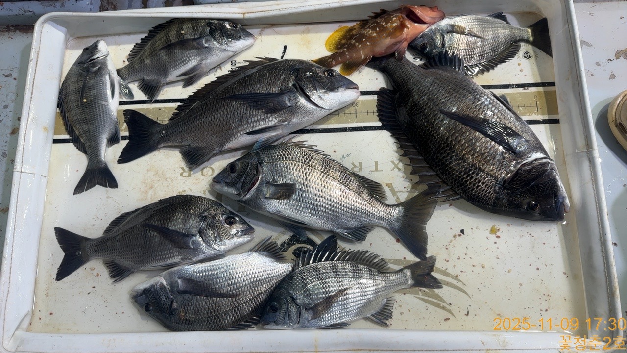
금일 대구 스나이퍼 팀 독배로 흘림 다녀왔습니다.
오전내내 골로골로 가다 마지막에 몇마리 주웠네요.
4학년 두마리외 삼학년 조황입니다.
금일 다녀가신 대구 조우님들 빠른 조류에 고생하셨습니다.
명일은 기상악화로 휴항합니다~~
감사합니다.
이상 송선장이였습니다.
▶ 지켜주세요! ◀
- 당일 조황을 올리셔야 합니다.
- 지난 조황은 2일이내 미등록 조황만 가능합니다.
- 이미 올린 조황을 붙여넣기하여 계속 등재하시면 중복조황에 해당합니다.
- 당일 조황을 올리면서 이전 조황을 같이 올리면 중복조황에 해당합니다.
- 조황없는 출조정보는 출조정보 게시판을 이용하시길 바랍니다.
- 올린 글 삭제하고 다시 올려 상단에 올리려는 방법, 이용규칙 위반입니다.
- 제목에 특수문자 사용하시면 안됩니다. (온점, 쉼표, 느낌표, 괄호, 물결만 허용)
☆ 공지사항에 '조황등재시 유의사항' 게시글을 꼭 확인하시고 조황작성 부탁드리며, 가장 기본적인
규칙이 지켜지지 않을 시 예고없이 글 삭제 및 이용정지 될 수 있음을 알려드립니다.