어초흘림 》5짜4짜들 (화요일예약가능)
12월 24일(수)
인낚 현재접속자
4,043명 (
116
)
공지사항
인낚도서관
점주선장전용 공지사항
로그인
광고/제휴 문의
운영진에게
인낚ㅣ인터넷바다낚시
0
어종별선상
어종별갯바위
낚시인조황
점주선장조황
출조정보
낚시광장
낚시지식인
낚시교실
중고장터
휴게실
인낚도서관
인낚몰
0
어종별선상
어종별 선상조황
4대돔 조황
먹물 조황
갈치 조황
볼락&전갱이
빅게임 지깅&파핑
외줄&외수질
기타 어종
어종별 갯바위조황
4대돔 조황
먹물 조황
갈치 조황
볼락&전갱이
농어&삼치&방어&부시리
기타 어종
어종별갯바위
어종별 선상조황
4대돔 조황
먹물 조황
갈치 조황
볼락&전갱이
빅게임 지깅&파핑
외줄&외수질
기타 어종
어종별 갯바위조황
4대돔 조황
먹물 조황
갈치 조황
볼락&전갱이
농어&삼치&방어&부시리
기타 어종
낚시인조황
낚시인 번개조황
낚시인조행기
스탭조행기
우리낚시동호회이야기
전국낚시동호회소개
동호회갤러리
지난 조황자료보기(년도별 조황 자료)
점주선장조황
전국 실시간 조황
선상(배)+좌대 조황
갯바위+방파제 조황
점주선장전용 공지사항
지난 조황자료보기(년도별 조황 자료)
출조정보
낚시인동행출조
점주선장 갯바위 출조
점주선장 선상출조
기상파고정보(기상청)
해상예보
물때표
파고예보(일본)
실시간해양관측예보
스마트조석예보
낚시광장
낚시계뉴스
대회 및 낚시관련 홍보
제품평가단
신상품소개
낚시지식인
Q&A 묻고 답하기
지식인 베스트
조황/포인트 문의
낚시용품 사용기
낚시투표
토론방
新어류도감
낚시교실
낚시기법소개
어종별 낚시교실
입문자교실
중급자교실
낚시용어사전
중고장터
중고장터 이용후기
더치트 사기피해 검색
팝니다
삽니다
교환합시다
무료로 드립니다
부품팝니다
부품삽니다
일반 생활용품 사고 팔기
휴게실
출석부
낚시갤러리
세상사는 이야기(자유게시판)
낚시이야기 마당
먹고사는 이야기
구인구직
칭찬합니다
어째이런일이
습득물 찾기
인낚도서관
인낚 유튜브
인낚 칼럼
블루, 그것이 알고싶다
더블테일의 두 눈으로 보는 세상
입질의추억의 피싱다이어리
나無의 바다 이야기
전문강좌
海巖의 바다낚시 이야기
이성규의 전유동낚시 강좌
조성민의 금요루어클럽
메인
어종별선상
어종별갯바위
낚시인조황
점주선장조황
출조정보
낚시광장
낚시지식인
낚시교실
중고장터
휴게실
인낚도서관
인낚몰
0
전국 실시간 조황
선상(배)+좌대 조황
갯바위+방파제 조황
점주선장전용 공지사항
지난 조황자료보기(년도별 조황 자료)
점주/선장 >
선상 + 좌대 조황
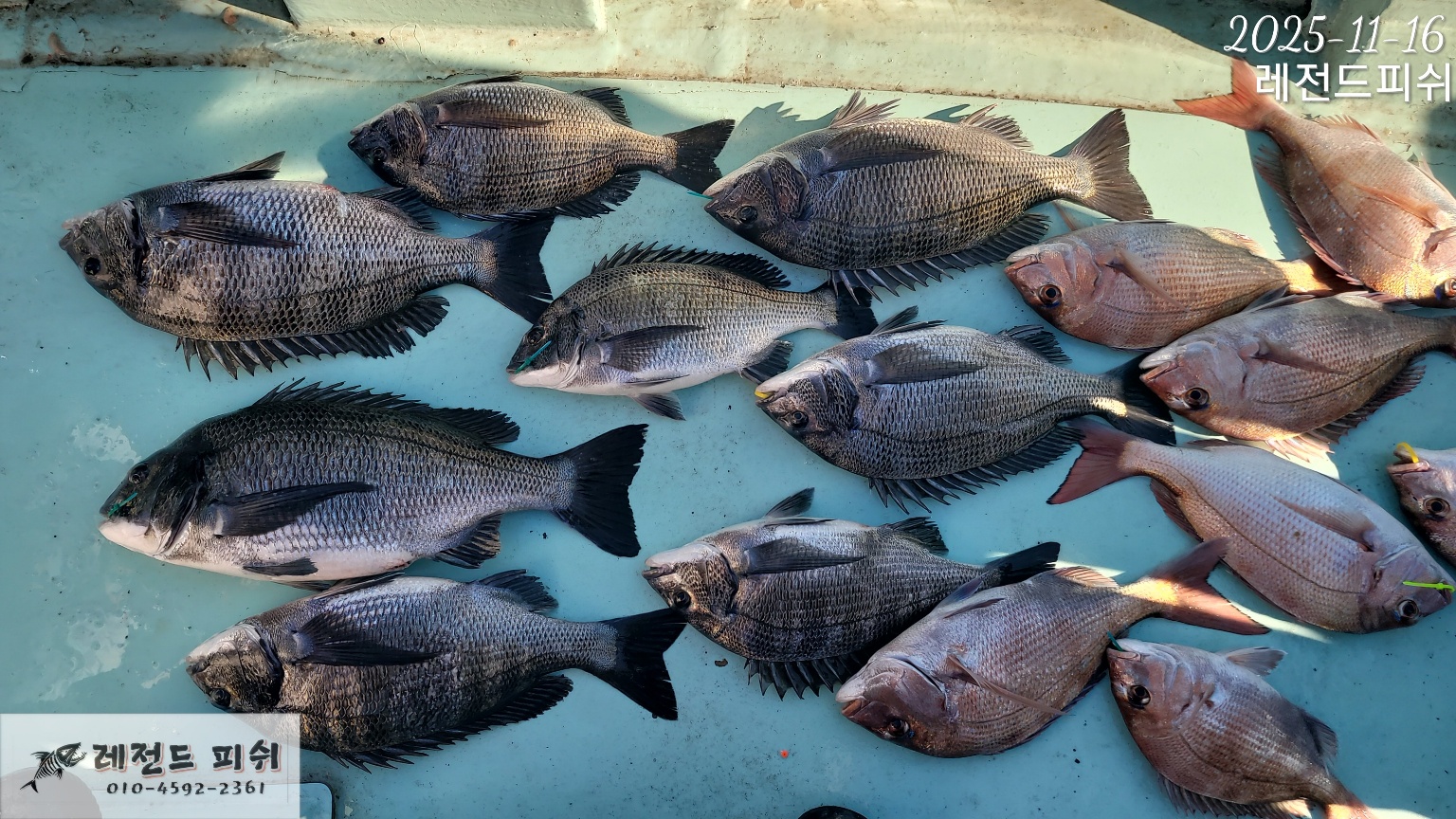
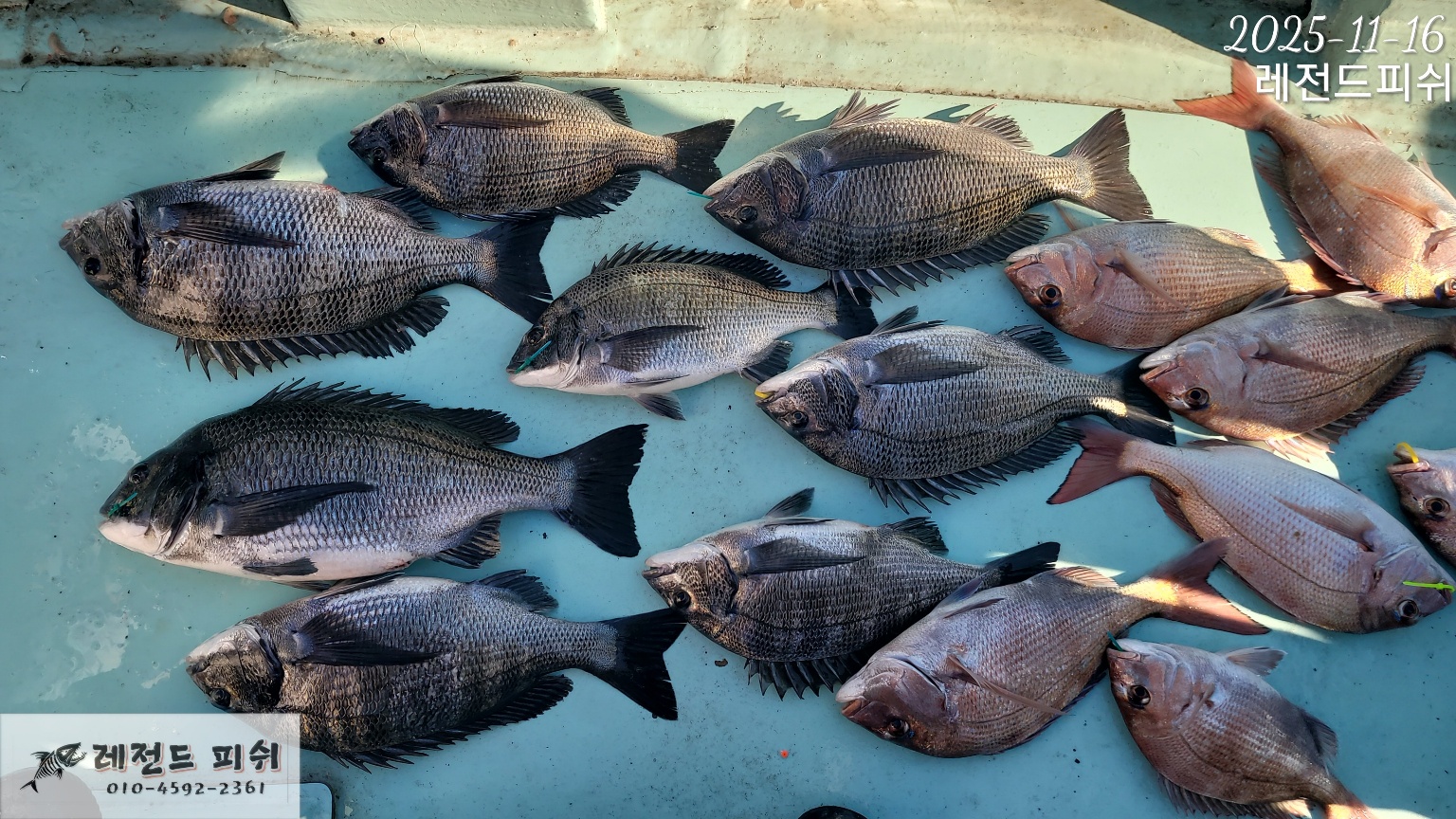
어초흘림 》5짜4짜들 (화요일예약가능)
레전드피쉬
0
157
11.17 12:56
● 출항지 : 거제
● 출조지 : 거제
● 출조인원 : 6~10명
네임
카드
레전드피쉬
실시간 예약
홈페이지
밴드 바로가기
유튜브/SNS
연일 5짜 감성돔들이 무섭게 덤벼 주네요.
터지기도 하고 4짜 중후반급들도
제법 많은양을 보이고있습니다.
화요일부터 정상출조 이어갑니다.
예약 서두르세요.
예약 가능합니다.
010 4592 2361
《밴드에 오시면 더욱많은 조황정보가 있으니 가입하기 꼭 눌러주세요》
밴드 바로가기 : https://band.us/@legendfish
예약문의는 010 4592 2361
부재시 선장마눌레게노맘 010 2480 2361
☆☆☆☆☆☆☆☆☆☆☆☆☆☆☆☆☆☆☆☆☆☆☆☆☆
《 감성돔 찌낚시 》
감성돔흘림 : 11만원
*종일낚시: 출항시간기준 8시간 전.후입니다
※독배는 시간 조정 가능합니다.
안전한 운항을 위하여 예약문의는 저녁 9시까지 부탁드립니다!
예약 010 4592 2361
출항지 : 경남 거제시 거제면 산달1길 15-8
0
신고
목록
0
댓글
로그인한 회원만 댓글 등록이 가능합니다.
×
Image Upload
로그인한 회원만 등록가능합니다.
포토
제목
이름
날짜
[통영] 통영스카이호..."" 괴물 왕뽈락 & 신발짝 왕열기 대~박"".…
출항지 : 통영 / 출조지 : 통영
통영스카이
22
36분전
통영스카이
06:01
[사천] 쭈꾸미 오늘오전10시 출조확정 5만
출항지 : 사천 / 출조지 : 사천
삼천포선상낚시창남호
7
44분전
삼천포선상낚시창남호
05:53
[진해] 왕오징어 묵직한 손맛! 쿨러가득!! 금요일부터 예약가능! 자리여…
출항지 : 진해 / 출조지 :
진해은빛피싱
30
50분전
진해은빛피싱
05:46
[진해] 감성돔(카고)ㅡ5짜.4짜후반.중반급으로 손맛 굿굿(예약가능)
출항지 : 진해 / 출조지 : 거제
진해레져
31
1시간전
진해레져
05:35
[마산] 원전항)금,토 주말 왕쭈꾸미 예약중~야간낙지예약중~
출항지 : 마산 / 출조지 :
신조선짱구호원전항
55
2시간전
신조선짱구호원전항
05:05
[통영] [VIP 광명호] 기상 좋아지는 금요일 아주 먼바다 큰넘들 잡으…
출항지 : 통영 / 출조지 : 통영
광명호
31
2시간전
광명호
04:23
[진해] 원도권돌문어 대박K K ( 토,일~예약중,,금요일~야간문어예약가…
출항지 : 진해 / 출조지 : 통영
진해골드스타2
53
2시간전
진해골드스타2
04:20
[마산] 만7년근 호레기!
출항지 : 마산 / 출조지 : 마산
돌섬닷컴
47
4시간전
돌섬닷컴
02:13
[포항] 밤볼락 쿵쿵! 뉴대양호의 23일실시간
출항지 : 포항 / 출조지 : 포항
신항만NEW대양호
41
6시간전
신항만NEW대양호
00:21
[진해] 왕뽈락 씨알급들 찐찐한 손맛 쿨러조황~토,일요일 예약가능~
출항지 : 진해 / 출조지 : 진해
진해대물낚시
111
6시간전
진해대물낚시
00:10
[진해] 23일,입항<야간낙지>수,목~&<주간쭈꾸미>목,토,일 예약가능
출항지 : 진해 / 출조지 :
썬플라워호10톤
70
12.23
썬플라워호10톤
12.23
[진해] 수요일 야간문어 예약가능~ 토욜 일욜원도권 예약가능~
출항지 : 진해 / 출조지 : 진해
진해제네시스호
37
12.23
진해제네시스호
12.23
[고성] 고성드래곤 어초 감시흘림 37외50수정도 목욜 자리여유
출항지 : 고성 / 출조지 : 통영
고성드래곤피싱
110
12.23
고성드래곤피싱
12.23
[영덕] 12월23일 볼락캐스팅 조황
출항지 : 영덕 / 출조지 :
고고씽호
27
12.23
고고씽호
12.23
[진해] 22일야간 왕낙지들~소수인원 이만큼~2.2K문어까지~!!(수,목…
출항지 : 진해 / 출조지 : 진해
진해라코피싱
46
12.23
진해라코피싱
12.23
초기화
날짜순
조회순
검색
1
2
3
4
5
Search
검색대상
제목
내용
제목+내용
회원아이디
회원아이디(댓글)
글쓴이
글쓴이(댓글)
또는
그리고
검색어
필수
검색
닫기
검색조건
제목
내용
제목+내용
회원아이디
회원아이디(코)
글쓴이
글쓴이(코)
검색어
또는
그리고
검색
인낚몰 초특가
★3,000★ 하야부사 6단 볼락 전갱이 카드채비 SD724 볼락채비
★1,000★볼락낚시에 최적인 메바트로볼 - 캐스팅볼, 메바볼
★13,000~★3NO 일본 오리지날 직수입 극강 멀티 무광 마크사 원줄
★500★ W쿠션 멀티 수중찌 M L - 전유동 반유동 끄심바리 필수품 수중쿠션
★5,900★ 여러개 있으면 아주 좋은 EVA 시스템 백
★ 1+1 플로팅, 세미, 카본 낚시줄 행사 호수선택가능 / 택상 1+1 원줄, 목줄 행사
★6,000★ 예민함의 끝판왕 애니원찌 벵에돔찌 학공치찌
★15,000★ 오동목 구멍찌 5개 + 메쉬 찌케이스 세트
★22만원★ 40W 집어등을 이 가격에!
★5,000★ 전층쿠션 15세트입 S / L 사이즈
★2,000★ 전층쿠션 5세트입 S / L 사이즈
★10,000 미니집어등5개 + 425배터리 1개 + 스토퍼고무 10개