감성돔 선상 흘림 이루마호 조황
01월 29일(목)
인낚 현재접속자
3,901명 (
329
)
공지사항
인낚도서관
점주선장전용 공지사항
로그인
광고/제휴 문의
운영진에게
인낚ㅣ인터넷바다낚시
0
어종별선상
어종별갯바위
낚시인조황
점주선장조황
출조정보
낚시광장
낚시지식인
낚시교실
중고장터
휴게실
인낚도서관
인낚몰
0
어종별선상
4대돔 조황
먹물 조황
갈치 조황
볼락&전갱이
빅게임 지깅&파핑
외줄&외수질
기타 어종
어종별갯바위
4대돔 조황
먹물 조황
갈치 조황
볼락&전갱이
농어&삼치&방어&부시리
기타 어종
낚시인조황
낚시인 번개조황
낚시인조행기
스탭조행기
우리낚시동호회이야기
전국낚시동호회소개
동호회갤러리
지난 조황자료보기(년도별 조황 자료)
점주선장조황
전국 실시간 조황
선상(배)+좌대 조황
갯바위+방파제 조황
점주선장전용 공지사항
지난 조황자료보기(년도별 조황 자료)
출조정보
낚시인동행출조
점주선장 갯바위 출조
점주선장 선상출조
기상파고정보(기상청)
해상예보
물때표
파고예보(일본)
실시간해양관측예보
스마트조석예보
낚시광장
낚시계뉴스
대회 및 낚시관련 홍보
제품평가단
신상품소개
낚시지식인
Q&A 묻고 답하기
지식인 베스트
조황/포인트 문의
낚시용품 사용기
낚시투표
토론방
新어류도감
낚시교실
낚시기법소개
어종별 낚시교실
입문자교실
중급자교실
낚시용어사전
중고장터
중고장터 이용후기
더치트 사기피해 검색
팝니다
삽니다
교환합시다
무료로 드립니다
부품팝니다
부품삽니다
일반 생활용품 사고 팔기
휴게실
출석부
낚시갤러리
세상사는 이야기(자유게시판)
낚시이야기 마당
먹고사는 이야기
구인구직
칭찬합니다
어째이런일이
습득물 찾기
인낚도서관
인낚 유튜브
인낚 칼럼
블루, 그것이 알고싶다
더블테일의 두 눈으로 보는 세상
입질의추억의 피싱다이어리
나無의 바다 이야기
전문강좌
海巖의 바다낚시 이야기
이성규의 전유동낚시 강좌
조성민의 금요루어클럽
메인
어종별선상
어종별갯바위
낚시인조황
점주선장조황
출조정보
낚시광장
낚시지식인
낚시교실
중고장터
휴게실
인낚도서관
인낚몰
0
전국 실시간 조황
선상(배)+좌대 조황
갯바위+방파제 조황
점주선장전용 공지사항
지난 조황자료보기(년도별 조황 자료)
점주/선장 >
선상 + 좌대 조황
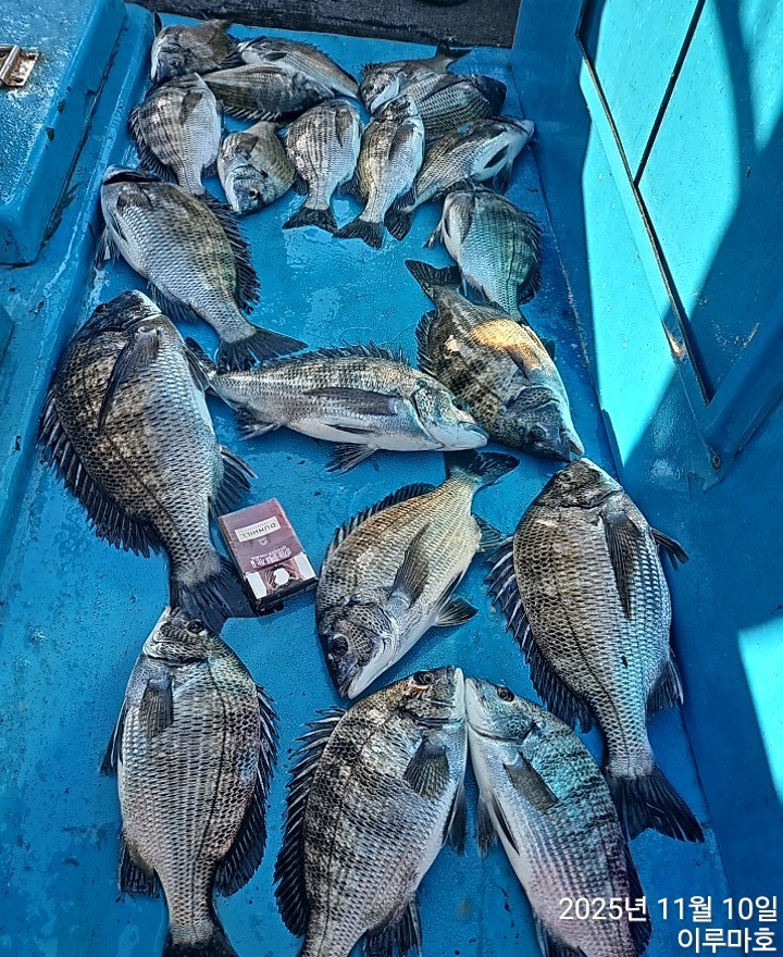
감성돔 선상 흘림 이루마호 조황
이루마호
0
139
2025.11.18 06:52
● 출항지 : 진해
● 출조지 : 진해
● 출조인원 : 3~5명
0
https://band.us/band/89938721
네임
카드
이루마호
경남 창원시 진해구 제덕동 제덕선착장
010-8416-7961
실시간 예약
홈페이지
밴드 바로가기
유튜브/SNS
☆☆☆☆감성돔 맛집 이루마호 조황☆☆☆☆
감성돔 조황입니다
사이즈랑 마릿수 더 자세한 사진은 밴드 오시면 됩니다.
출조시간 및 문의사항 전화주세요!!!
감성돔 대박 행진 이어가실 조사님
예약 문의 아래로!!
문의 연락처
010 8416 7961
밴드 오시면 빠른 조황 확인도 가능합니다
https://band.us/band/89938721
입금계좌. 수협(이현석)
202050338973
선입금확인후예약완료
구명조끼 필수 (선내비치)
음주자 탑승 불가
신분증 필수
0
감성돔
,
이루마호
,
진해
신고
목록
0
댓글
로그인한 회원만 댓글 등록이 가능합니다.
×
Image Upload
로그인한 회원만 등록가능합니다.
포토
제목
이름
날짜
[통영] 신짝.대물들.왕.열기.왕.뽈락.줄타고.왕.우럭.참돔까지.멋진쿨러…
출항지 : 통영 / 출조지 : 통영
통영무지개호
2
6분전
통영무지개호
14:38
[진해] 2/1일 도다리 출조합니다
출항지 : 진해 / 출조지 :
대명호
6
12분전
대명호
14:32
[부산] 29일 연속 3일 1타 7~10피..왕열기 씨알+마릿수 굿!!!
출항지 : 부산 / 출조지 : 부산
해운대동진호
7
13분전
해운대동진호
14:30
[진해] 열기/볼락)내일부터 신발짝~(금.토 예약가능)일요일 (낮열기 예…
출항지 : 진해 / 출조지 :
진해블루마린낚시
26
19분전
진해블루마린낚시
14:25
[통영] (감성돔)날물 짬낚 4짜 초중반 덩치들 확인~홍부장피싱(30일 …
출항지 : 통영 / 출조지 : 통영
홍부장피싱
14
22분전
홍부장피싱
14:21
[진해] [왕열기.뽈락]신발짝 왕열기잡으로 [토.일]예약가능
출항지 : 진해 / 출조지 :
진해파워피싱
25
24분전
진해파워피싱
14:20
[진해] 창만호 대물감성돔카고.물때좋아져 낼 부터 정상출조,예약가능
출항지 : 진해 / 출조지 :
신조선아쿠아호
8
27분전
신조선아쿠아호
14:17
[통영] (왕볼락)준사미~20전후 갈뽈 마릿수 OK~뉴그린호(오늘 예약 …
출항지 : 통영 / 출조지 : 통영
통영뉴그린호
11
28분전
통영뉴그린호
14:15
[진해] 27일 원도권돌문어 악조건속 2.3K외 손맛굿( 내일예약중
출항지 : 진해 / 출조지 : 통영
진해골드스타2
19
29분전
진해골드스타2
14:15
[통영] (볼락)준사미급까지~통영 라이트 게임 소식~고고써니호(오늘 정상…
출항지 : 통영 / 출조지 : 통영
고고써니호
5
31분전
고고써니호
14:13
[고성] 감성돔어초흘림 마릿수조황
출항지 : 고성 / 출조지 : 통영
대박스토리호
23
33분전
대박스토리호
14:10
[사천] ((한사리))두미도&갈도 탱크 잡으러출도 (31일 토요일출조 우…
출항지 : 사천 / 출조지 : 사천
한사리피싱
12
39분전
한사리피싱
14:05
[진해] 감성돔 흘림 대물 사냥 합니다
출항지 : 진해 / 출조지 : 진해
진해안골서진호
14
41분전
진해안골서진호
14:02
[진해] 안골) 감성돔 흘림 빅사이즈 마릿수 최신 굳굳조황 - 주중/주말…
출항지 : 진해 / 출조지 : 진해
진해테라호
10
42분전
진해테라호
14:02
[진해] 2월1일 도다리출조합니다.예약가능
출항지 : 진해 / 출조지 : 진해
진해태풍호
6
45분전
진해태풍호
13:58
초기화
날짜순
조회순
검색
1
2
3
4
5
Search
검색대상
제목
내용
제목+내용
회원아이디
회원아이디(댓글)
글쓴이
글쓴이(댓글)
또는
그리고
검색어
필수
검색
닫기
검색조건
제목
내용
제목+내용
회원아이디
회원아이디(코)
글쓴이
글쓴이(코)
검색어
또는
그리고
검색
인낚몰 초특가
MAEK 맥 호래기 대바늘 호래기콕 J타입 (카본바디 2입)
어부공방 NEW 호래전
야마시타 SB 호래기 대바늘
★3,000★ 하야부사 6단 볼락 전갱이 카드채비 SD724 볼락채비
★1,000★볼락낚시에 최적인 메바트로볼 - 캐스팅볼, 메바볼
★13,000~★3NO 일본 오리지날 직수입 극강 멀티 무광 마크사 원줄
★500★ W쿠션 멀티 수중찌 M L - 전유동 반유동 끄심바리 필수품 수중쿠션
★5,900★ 여러개 있으면 아주 좋은 EVA 시스템 백
★ 1+1 플로팅, 세미, 카본 낚시줄 행사 호수선택가능 / 택상 1+1 원줄, 목줄 행사
★6,000★ 예민함의 끝판왕 애니원찌 벵에돔찌 학공치찌
★15,000★ 오동목 구멍찌 5개 + 메쉬 찌케이스 세트
★22만원★ 40W 집어등을 이 가격에!