#거제어구항 수성호#감성돔 가오리 등 금일조황
01월 26일(월)
인낚 현재접속자
1,919명 (
65
)
공지사항
인낚도서관
점주선장전용 공지사항
로그인
광고/제휴 문의
운영진에게
인낚ㅣ인터넷바다낚시
0
어종별선상
어종별갯바위
낚시인조황
점주선장조황
출조정보
낚시광장
낚시지식인
낚시교실
중고장터
휴게실
인낚도서관
인낚몰
0
어종별선상
4대돔 조황
먹물 조황
갈치 조황
볼락&전갱이
빅게임 지깅&파핑
외줄&외수질
기타 어종
어종별갯바위
4대돔 조황
먹물 조황
갈치 조황
볼락&전갱이
농어&삼치&방어&부시리
기타 어종
낚시인조황
낚시인 번개조황
낚시인조행기
스탭조행기
우리낚시동호회이야기
전국낚시동호회소개
동호회갤러리
지난 조황자료보기(년도별 조황 자료)
점주선장조황
전국 실시간 조황
선상(배)+좌대 조황
갯바위+방파제 조황
점주선장전용 공지사항
지난 조황자료보기(년도별 조황 자료)
출조정보
낚시인동행출조
점주선장 갯바위 출조
점주선장 선상출조
기상파고정보(기상청)
해상예보
물때표
파고예보(일본)
실시간해양관측예보
스마트조석예보
낚시광장
낚시계뉴스
대회 및 낚시관련 홍보
제품평가단
신상품소개
낚시지식인
Q&A 묻고 답하기
지식인 베스트
조황/포인트 문의
낚시용품 사용기
낚시투표
토론방
新어류도감
낚시교실
낚시기법소개
어종별 낚시교실
입문자교실
중급자교실
낚시용어사전
중고장터
중고장터 이용후기
더치트 사기피해 검색
팝니다
삽니다
교환합시다
무료로 드립니다
부품팝니다
부품삽니다
일반 생활용품 사고 팔기
휴게실
출석부
낚시갤러리
세상사는 이야기(자유게시판)
낚시이야기 마당
먹고사는 이야기
구인구직
칭찬합니다
어째이런일이
습득물 찾기
인낚도서관
인낚 유튜브
인낚 칼럼
블루, 그것이 알고싶다
더블테일의 두 눈으로 보는 세상
입질의추억의 피싱다이어리
나無의 바다 이야기
전문강좌
海巖의 바다낚시 이야기
이성규의 전유동낚시 강좌
조성민의 금요루어클럽
메인
어종별선상
어종별갯바위
낚시인조황
점주선장조황
출조정보
낚시광장
낚시지식인
낚시교실
중고장터
휴게실
인낚도서관
인낚몰
0
전국 실시간 조황
선상(배)+좌대 조황
갯바위+방파제 조황
점주선장전용 공지사항
지난 조황자료보기(년도별 조황 자료)
점주/선장 >
선상 + 좌대 조황
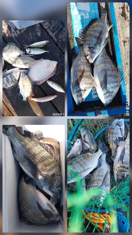
#거제어구항 수성호#감성돔 가오리 등 금일조황
거제어구항수성호
0
127
2025.12.06 19:25
● 출항지 : 거제
● 출조지 : 거제
● 출조인원 : 20명 이상
네임
카드
거제어구항수성호
실시간 예약
홈페이지
밴드 바로가기
유튜브/SNS
안녕하세요~
부선장입니다
8물에 전마선 15대 선외기 5대 출조하였습니다
손맛보신분들 조황중에서
감성돔 도다리 장어 농어 가오리 등
다양한 어종 손맛보셨고
전체적인 상황이나 조황내용은
사진으로 참고해주세요
수성호을 늘 이용해주시고 많은 관심 항상
감사드리고 오늘하루도 수고많으셨습니다
내일은 마감되었습니다
<<출조관련안내>>
1.수성호 공식 블로그
http://blog.naver.com/susungho123
(네이버 검색창에 "어구수성호"치시면
최신조황내용확인가능합니다)
2.예약
010 4578 9873 (부선장) - 전화+문자예약가능
010 3872 4236 (선장) - 전화예약가능
3.출조시간
오전6시 ~ 오후4시까지
(일출 30분전-일몰에따라 변동)
도착시간에 따라 수시로 출항 철수 가능!
4.전마선 대여
1인/2인 - 5만원
3인 6만원 - (최대 정원 3人)
5.선외기 대여
1인 - 7만원
2인 - 8만원
3인 - 10만원 (최대 정원 3人)
☆선외기 루어낚시 경우 1만원 추가☆
6.갯바위/야영 방파제
부선장 휴대전화로 전화or문자 문의!
7.기타 다른문의사항있으시면 부선장 전화로
문자 문의해주세요!
0
신고
목록
0
댓글
로그인한 회원만 댓글 등록이 가능합니다.
×
Image Upload
로그인한 회원만 등록가능합니다.
포토
제목
이름
날짜
[통영] [부성피싱7호]미친대왕열기 신발오버사이즈 낚시대 부서집니다...…
출항지 : 통영 / 출조지 : 통영
7부성피싱호
12
46분전
7부성피싱호
02:27
[진해] 문어) 원도권 묵직한손맛 굿굿!!~ 금.토.일 원도권문어 예약가…
출항지 : 진해 / 출조지 : 거제
진해제네시스호
64
01.25
진해제네시스호
01.25
[진해] 쭈꾸미 우당탕! 전원 마릿수 채우고 철수!
출항지 : 진해 / 출조지 :
진해풍산호
73
01.25
진해풍산호
01.25
[진해] "NEW"25일<주간쭈꾸미>&<야간낙지>월,화 예약가능
출항지 : 진해 / 출조지 : 진해
썬플라워호10톤
77
01.25
썬플라워호10톤
01.25
[진해] 야간낙지 왕낙지들 사이즈 최고최고~!!쭉~뽑고~!!(월,화,수 …
출항지 : 진해 / 출조지 : 진해
진해라코피싱
41
01.25
진해라코피싱
01.25
[진해] 오리온!원도권문어!최고의 손맛 원도권으로 달립니다~내일예약가능
출항지 : 진해 / 출조지 : 진해
진해오리온피싱
46
01.25
진해오리온피싱
01.25
[포항] 밤볼락 쿵쾅쾅 실시간 1/25. 뉴대양호
출항지 : 포항 / 출조지 : 포항
신항만NEW대양호
27
01.25
신항만NEW대양호
01.25
[통영] [부성피싱호]실시간오징어조황!! 오징어계속올라옵니다!! 낼1호오…
출항지 : 통영 / 출조지 : 통영
통영부성피싱호
31
01.25
통영부성피싱호
01.25
[통영] [외줄]씨알좋은 왕열기.만쿨.반쿨(월.화요일.출항확정)
출항지 : 통영 / 출조지 :
삼덕레저호
106
01.25
삼덕레저호
01.25
[장흥,완도] 완도더킹호 참돔타이라바 조황!! 다음주 자리여유
출항지 : 장흥,완도 / 출조지 :
완도더킹호
8
01.25
완도더킹호
01.25
[진해] [왕오징어] 씨알대박~ 쿨러조황! 내일도 출항합니다! 화수목금토…
출항지 : 진해 / 출조지 :
진해매일호
106
01.25
진해매일호
01.25
[제주] 제주스마트호 서귀포권갑오징어조황
출항지 : 제주 / 출조지 :
스마트호
11
01.25
스마트호
01.25
[인천] 1월 25일 일요일 거진항 어구 가자미 쪼끔 잡앗어요 사이즈 죽…
출항지 : 인천 / 출조지 :
바다의전설부평25시
12
01.25
바다의전설부평25시
01.25
[부산] [송도광성호] 금일 25일 열기 조황 ~ 내일 열기 출조 자리여…
출항지 : 부산 / 출조지 : 부산
부산송도광성호
33
01.25
부산송도광성호
01.25
[부산] [부산 유강피싱] 유강호 방어 입질이 살아납니다~~
출항지 : 부산 / 출조지 :
유강피싱
28
01.25
유강피싱
01.25
초기화
날짜순
조회순
검색
1
2
3
4
5
Search
검색대상
제목
내용
제목+내용
회원아이디
회원아이디(댓글)
글쓴이
글쓴이(댓글)
또는
그리고
검색어
필수
검색
닫기
검색조건
제목
내용
제목+내용
회원아이디
회원아이디(코)
글쓴이
글쓴이(코)
검색어
또는
그리고
검색
인낚몰 초특가
MAEK 맥 호래기 대바늘 호래기콕 J타입 (카본바디 2입)
어부공방 NEW 호래전
야마시타 SB 호래기 대바늘
★3,000★ 하야부사 6단 볼락 전갱이 카드채비 SD724 볼락채비
★1,000★볼락낚시에 최적인 메바트로볼 - 캐스팅볼, 메바볼
★13,000~★3NO 일본 오리지날 직수입 극강 멀티 무광 마크사 원줄
★500★ W쿠션 멀티 수중찌 M L - 전유동 반유동 끄심바리 필수품 수중쿠션
★5,900★ 여러개 있으면 아주 좋은 EVA 시스템 백
★ 1+1 플로팅, 세미, 카본 낚시줄 행사 호수선택가능 / 택상 1+1 원줄, 목줄 행사
★6,000★ 예민함의 끝판왕 애니원찌 벵에돔찌 학공치찌
★15,000★ 오동목 구멍찌 5개 + 메쉬 찌케이스 세트
★22만원★ 40W 집어등을 이 가격에!