대물 감성돔 오늘도 5짜 조황입니다
02월 20일(금)
인낚 현재접속자
10,031명 (
51
)
공지사항
인낚도서관
점주선장전용 공지사항
로그인
광고/제휴 문의
운영진에게
인낚ㅣ인터넷바다낚시
0
어종별선상
어종별갯바위
낚시인조황
점주선장조황
출조정보
낚시광장
낚시지식인
낚시교실
중고장터
휴게실
인낚도서관
인낚몰
0
어종별선상
4대돔 조황
먹물 조황
갈치 조황
볼락&전갱이
빅게임 지깅&파핑
외줄&외수질
기타 어종
어종별갯바위
4대돔 조황
먹물 조황
갈치 조황
볼락&전갱이
농어&삼치&방어&부시리
기타 어종
낚시인조황
낚시인 번개조황
낚시인조행기
스탭조행기
우리낚시동호회이야기
전국낚시동호회소개
동호회갤러리
지난 조황자료보기(년도별 조황 자료)
점주선장조황
전국 실시간 조황
선상(배)+좌대 조황
갯바위+방파제 조황
점주선장전용 공지사항
지난 조황자료보기(년도별 조황 자료)
출조정보
낚시인동행출조
점주선장 갯바위 출조
점주선장 선상출조
기상파고정보(기상청)
해상예보
물때표
파고예보(일본)
실시간해양관측예보
스마트조석예보
낚시광장
낚시계뉴스
대회 및 낚시관련 홍보
제품평가단
신상품소개
낚시지식인
Q&A 묻고 답하기
지식인 베스트
조황/포인트 문의
낚시용품 사용기
낚시투표
토론방
新어류도감
낚시교실
낚시기법소개
어종별 낚시교실
입문자교실
중급자교실
낚시용어사전
중고장터
중고장터 이용후기
더치트 사기피해 검색
팝니다
삽니다
교환합시다
무료로 드립니다
부품팝니다
부품삽니다
일반 생활용품 사고 팔기
휴게실
출석부
가위바위보게임
낚시갤러리
세상사는 이야기(자유게시판)
낚시이야기 마당
먹고사는 이야기
구인구직
칭찬합니다
어째이런일이
습득물 찾기
인낚도서관
인낚 유튜브
인낚 칼럼
블루, 그것이 알고싶다
더블테일의 두 눈으로 보는 세상
입질의추억의 피싱다이어리
나無의 바다 이야기
전문강좌
海巖의 바다낚시 이야기
이성규의 전유동낚시 강좌
조성민의 금요루어클럽
메인
어종별선상
어종별갯바위
낚시인조황
점주선장조황
출조정보
낚시광장
낚시지식인
낚시교실
중고장터
휴게실
인낚도서관
인낚몰
0
전국 실시간 조황
선상(배)+좌대 조황
갯바위+방파제 조황
점주선장전용 공지사항
지난 조황자료보기(년도별 조황 자료)
점주/선장 >
선상 + 좌대 조황
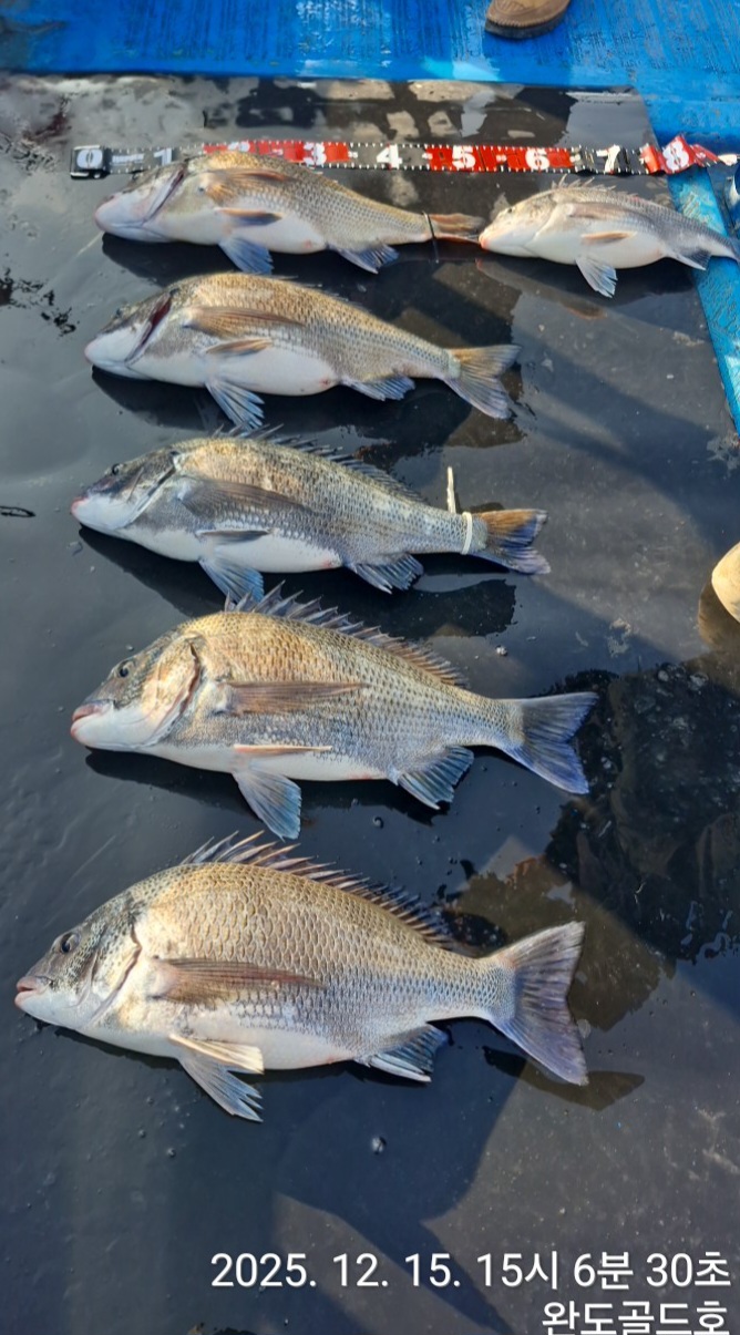
대물 감성돔 오늘도 5짜 조황입니다
완도골드호
0
68
2025.12.15 17:47
● 출항지 : 완도
● 출조지 : 완도
● 출조인원 : 1~2명
네임
카드
완도골드호
전남 완도군 군내리1450번지 골드호
010-3870-8167
실시간 예약
홈페이지
밴드 바로가기
유튜브/SNS
터지고 빠지고 올린 대물 조황입니다
조사님들 수고하셨습니다
일요일부터 예약가능합니다
출조문의 010-3870-8167 골드호
0
신고
목록
0
댓글
로그인한 회원만 댓글 등록이 가능합니다.
×
Image Upload
로그인한 회원만 등록가능합니다.
포토
제목
이름
날짜
[영덕] 2월19일 오징어 한치 조황
출항지 : 영덕 / 출조지 :
고고씽호
3
14분전
고고씽호
03:45
[포항] 겨울한치 2.19 마리수로 담아가세요 풍성함을 전해드리면서
출항지 : 포항 / 출조지 : 포항
포항시프랜드호
10
1시간전
포항시프랜드호
02:39
[진해] 19일 조항.오늘도 끝도없이 잡고온 야간~왕 낙지 잡으러 출조 …
출항지 : 진해 / 출조지 : 거제
성진피싱
10
1시간전
성진피싱
02:35
[진해] 감성돔흘림 바다의 제왕 짜릿한 손맛!!
출항지 : 진해 / 출조지 : 진해
진해왕낚시
42
2시간전
진해왕낚시
02:20
[제주] 2/19 제주7화원호 갑오징어 조황
출항지 : 제주 / 출조지 :
제주화원호
11
3시간전
제주화원호
01:02
[진해] <야간낙지>금,토 예약중&<주간쭈꾸미>토,일 예약가능
출항지 : 진해 / 출조지 :
썬플라워호10톤
54
02.19
썬플라워호10톤
02.19
[포항] 2/19. 한치 화살촉 실시간 뉴대양호
출항지 : 포항 / 출조지 : 포항
신항만NEW대양호
34
02.19
신항만NEW대양호
02.19
[진해] 야간낙지 왕낙지들 롱다리 쭉~쭉~!!(목,금,토,일 예약중)
출항지 : 진해 / 출조지 : 진해
진해라코피싱
50
02.19
진해라코피싱
02.19
[제주] 제주스마트호 한림갑오징어조황
출항지 : 제주 / 출조지 :
스마트호
13
02.19
스마트호
02.19
[진해] 왕오징어~16일.대포급먹물 이만큼~금요일 예약가능합니다
출항지 : 진해 / 출조지 : 진해
엿쟁이낚시
96
02.19
엿쟁이낚시
02.19
[진해] [야간 감성돔] 5~4짜들로 끝없이 줄세우고!! 예약가능
출항지 : 진해 / 출조지 : 거제
진해빅마마호
172
02.19
진해빅마마호
02.19
[진해] 감성돔(흘림)~48,47,46,46,46,46,빅싸이즈!우르르르…
출항지 : 진해 / 출조지 : 거제
진해여명피싱
99
02.19
진해여명피싱
02.19
[진해] [봄도다리]빨래판씨알등장~푸짐한회밥상까지!!내일부터예약가능합니다…
출항지 : 진해 / 출조지 :
진해매일호
96
02.19
진해매일호
02.19
[거제] 감성돔 거제인성낚시 4짜외
출항지 : 거제 / 출조지 : 통영
거제인성낚시
46
02.19
거제인성낚시
02.19
[진해] 19일 감성돔흘림 5짜5짜4짜들 굿,(예약가능)
출항지 : 진해 / 출조지 : 진해
진해리드호
53
02.19
진해리드호
02.19
초기화
날짜순
조회순
검색
1
2
3
4
5
Search
검색대상
제목
내용
제목+내용
회원아이디
회원아이디(댓글)
글쓴이
글쓴이(댓글)
또는
그리고
검색어
필수
검색
닫기
검색조건
제목
내용
제목+내용
회원아이디
회원아이디(코)
글쓴이
글쓴이(코)
검색어
또는
그리고
검색
인낚몰 초특가
★설특가 190,000★ 파직스 자동팽창식 구명의 PL-181+원줄+장갑
★설특가 99,000★ 디캡스 자동팽창식 구명복+원줄+장갑
★설특가 8,000부터★ ISF 바칸 삼나무 테이블
★설특가 4,000★ FF 블리츠 전자캐스팅볼 점등 점멸 + 구매수량만큼 425배터리 증정 / 4개단위로 구매시 케이스 증정
★설특가 12,000★ 티렉스 미니 일렉볼 + BR322 배터리 1개 증정
★설특가 6,000★ 티렉스 일렉트로볼 점등 점멸
★설특가 18,000부터★ 1+1 플로팅, 세미, 카본 낚시줄 행사 호수선택가능 / 택상 1+1 원줄, 목줄 행사
★3,000★ MAEK 맥 호래기 대바늘 호래기콕 J타입 (카본바디 2입)
★5,000★ 어부공방 NEW 호래전
★4,500★ 야마시타 SB 호래기 대바늘
★3,000★ 하야부사 6단 볼락 전갱이 카드채비 SD724 볼락채비
★1,000★볼락낚시에 최적인 메바트로볼 - 캐스팅볼, 메바볼