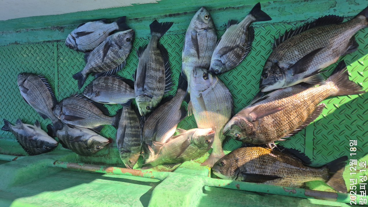
《대물감성돔 어초흘림》4짜4짜4짜4짜4짜4짜4짜4짜외 마리수 GOOD
12월 24일(수)
인낚 현재접속자
4,491명 (
242
)
공지사항
인낚도서관
점주선장전용 공지사항
로그인
광고/제휴 문의
운영진에게
인낚ㅣ인터넷바다낚시
0
어종별선상
어종별갯바위
낚시인조황
점주선장조황
출조정보
낚시광장
낚시지식인
낚시교실
중고장터
휴게실
인낚도서관
인낚몰
0
어종별선상
어종별 선상조황
4대돔 조황
먹물 조황
갈치 조황
볼락&전갱이
빅게임 지깅&파핑
외줄&외수질
기타 어종
어종별 갯바위조황
4대돔 조황
먹물 조황
갈치 조황
볼락&전갱이
농어&삼치&방어&부시리
기타 어종
어종별갯바위
어종별 선상조황
4대돔 조황
먹물 조황
갈치 조황
볼락&전갱이
빅게임 지깅&파핑
외줄&외수질
기타 어종
어종별 갯바위조황
4대돔 조황
먹물 조황
갈치 조황
볼락&전갱이
농어&삼치&방어&부시리
기타 어종
낚시인조황
낚시인 번개조황
낚시인조행기
스탭조행기
우리낚시동호회이야기
전국낚시동호회소개
동호회갤러리
지난 조황자료보기(년도별 조황 자료)
점주선장조황
전국 실시간 조황
선상(배)+좌대 조황
갯바위+방파제 조황
점주선장전용 공지사항
지난 조황자료보기(년도별 조황 자료)
출조정보
낚시인동행출조
점주선장 갯바위 출조
점주선장 선상출조
기상파고정보(기상청)
해상예보
물때표
파고예보(일본)
실시간해양관측예보
스마트조석예보
낚시광장
낚시계뉴스
대회 및 낚시관련 홍보
제품평가단
신상품소개
낚시지식인
Q&A 묻고 답하기
지식인 베스트
조황/포인트 문의
낚시용품 사용기
낚시투표
토론방
新어류도감
낚시교실
낚시기법소개
어종별 낚시교실
입문자교실
중급자교실
낚시용어사전
중고장터
중고장터 이용후기
더치트 사기피해 검색
팝니다
삽니다
교환합시다
무료로 드립니다
부품팝니다
부품삽니다
일반 생활용품 사고 팔기
휴게실
출석부
낚시갤러리
세상사는 이야기(자유게시판)
낚시이야기 마당
먹고사는 이야기
구인구직
칭찬합니다
어째이런일이
습득물 찾기
인낚도서관
인낚 유튜브
인낚 칼럼
블루, 그것이 알고싶다
더블테일의 두 눈으로 보는 세상
입질의추억의 피싱다이어리
나無의 바다 이야기
전문강좌
海巖의 바다낚시 이야기
이성규의 전유동낚시 강좌
조성민의 금요루어클럽
메인
어종별선상
어종별갯바위
낚시인조황
점주선장조황
출조정보
낚시광장
낚시지식인
낚시교실
중고장터
휴게실
인낚도서관
인낚몰
0
전국 실시간 조황
선상(배)+좌대 조황
갯바위+방파제 조황
점주선장전용 공지사항
지난 조황자료보기(년도별 조황 자료)
점주/선장 >
선상 + 좌대 조황
《대물감성돔 어초흘림》4짜4짜4짜4짜4짜4짜4짜4짜외 마리수 GOOD
람보1호람보호
0
101
12.18 14:47
● 출항지 : 거제
● 출조지 : 거제
● 출조인원 : 6~10명
네임
카드
람보1호람보호
실시간 예약
홈페이지
밴드 바로가기
유튜브/SNS
안녕하십니까 람보피싱 권선장 입니다
금일 어초.여밭에서 원줄 줄줄줄 흘리고 왔습니다
연일 대박조황이 이여집니다
람보피싱을 찾아주신 조사님 감사드립니다
항상 최선을다해 노력하는 람보피싱 되었습니다
감사드립니다
금 예약가능
토 예약완료
일 예약완료
월요일부터 쭈욱 예약가능 합니다
※ 공휴일과 주말 예약은 서둘러 예약하시면 승율포인트로 우선 진입.
▦ 람보피싱 (참돔/감성돔낚시 전용선 체제)
(출조 문의) ☎010.8387.0331 (부재시) ☎010.9046.1156
(출항지 주소) 경남 거제시 거제면 법동리 1056번지
▶람보피싱 밴드 : https://band.us/@zzxx6954
0
신고
목록
0
댓글
로그인한 회원만 댓글 등록이 가능합니다.
×
Image Upload
로그인한 회원만 등록가능합니다.
포토
제목
이름
날짜
[사천] 금요일부터 알쭈 선수모집.5만출조 12월 쭉~예약중입니다.새해 …
출항지 : 사천 / 출조지 :
하하호호피싱
2
21분전
하하호호피싱
23:03
[진해] [알주꾸미]24일, 오늘도잘잡고왔습니다! 금요일 / 월요일 / …
출항지 : 진해 / 출조지 :
진해매일호
55
40분전
진해매일호
22:45
[거제] 감성돔 거제인성낚시
출항지 : 거제 / 출조지 : 거제
거제인성낚시
9
50분전
거제인성낚시
22:34
[진해] 23일세진호/돌문어3kg200.2kg800.2kg400.1kg~…
출항지 : 진해 / 출조지 : 진해
세진호선장
14
51분전
세진호선장
22:34
[진해] 왕오징어 먹물칠갑 씨알들 엄청크다~일요일부터예약가능합니다
출항지 : 진해 / 출조지 : 진해
엿쟁이낚시
82
55분전
엿쟁이낚시
22:30
[고성] 오늘은 생활낚시로 즐기고왔습니다
출항지 : 고성 / 출조지 : 통영
고성신흥낚시
24
1시간전
고성신흥낚시
22:13
[진해] 23일야간 왕낙지들 마릿수 쭉쭉 뽑고!!~KKK문어까지~!!(토…
출항지 : 진해 / 출조지 : 진해
진해라코피싱
59
1시간전
진해라코피싱
22:00
[진해] 병행)왕열기/볼락 우당탕탕 퍼담기(금요일부터예약가능
출항지 : 진해 / 출조지 :
진해최강리드
117
2시간전
진해최강리드
21:50
[사천] 24일 왕알쭈꾸미 (선비5만)시즌 빅2 EVENT~26일 금욜(…
출항지 : 사천 / 출조지 : 사천
따봉피싱
17
2시간전
따봉피싱
21:41
[통영] [통영대교피싱]겨울 왕칼치 실시간~ 일요일부터 자리여유
출항지 : 통영 / 출조지 :
통영대교피싱
31
2시간전
통영대교피싱
21:40
[진해] "대물감성돔" 5짜5짜5짜48.47.47외 마릿수 조황~ (예약…
출항지 : 진해 / 출조지 : 거제
창원사랑호
134
2시간전
창원사랑호
21:35
[진해] 문어문어원도권종일반~키로급굿굿^^ - 토일예약됩니다~
출항지 : 진해 / 출조지 : 진해
진해만물낚시
23
2시간전
진해만물낚시
21:16
[통영] 대물감성돔 카고 5짜 4짜들 마리수
출항지 : 통영 / 출조지 : 통영
통영아라피싱
30
2시간전
통영아라피싱
21:09
[마산] 카고 감성돔 5짜 4짜 4짜 4짜 20여수 대박 조황~~ 토요…
출항지 : 마산 / 출조지 : 거제
마산스텔라호
42
2시간전
마산스텔라호
21:02
[진해] 칠성호 돌문어 조황입니다 좋아요 ~
출항지 : 진해 / 출조지 :
진해형제피싱
20
2시간전
진해형제피싱
21:01
초기화
날짜순
조회순
검색
1
2
3
4
5
Search
검색대상
제목
내용
제목+내용
회원아이디
회원아이디(댓글)
글쓴이
글쓴이(댓글)
또는
그리고
검색어
필수
검색
닫기
검색조건
제목
내용
제목+내용
회원아이디
회원아이디(코)
글쓴이
글쓴이(코)
검색어
또는
그리고
검색
인낚몰 초특가
★3,000★ 하야부사 6단 볼락 전갱이 카드채비 SD724 볼락채비
★1,000★볼락낚시에 최적인 메바트로볼 - 캐스팅볼, 메바볼
★13,000~★3NO 일본 오리지날 직수입 극강 멀티 무광 마크사 원줄
★500★ W쿠션 멀티 수중찌 M L - 전유동 반유동 끄심바리 필수품 수중쿠션
★5,900★ 여러개 있으면 아주 좋은 EVA 시스템 백
★ 1+1 플로팅, 세미, 카본 낚시줄 행사 호수선택가능 / 택상 1+1 원줄, 목줄 행사
★6,000★ 예민함의 끝판왕 애니원찌 벵에돔찌 학공치찌
★15,000★ 오동목 구멍찌 5개 + 메쉬 찌케이스 세트
★22만원★ 40W 집어등을 이 가격에!
★5,000★ 전층쿠션 15세트입 S / L 사이즈
★2,000★ 전층쿠션 5세트입 S / L 사이즈
★10,000 미니집어등5개 + 425배터리 1개 + 스토퍼고무 10개