네임
카드
카드
통영 경동레저
경상남도 통영시 산양읍 풍화리 371-4
010-3622-8723
경상남도 통영시 산양읍 풍화리 371-4













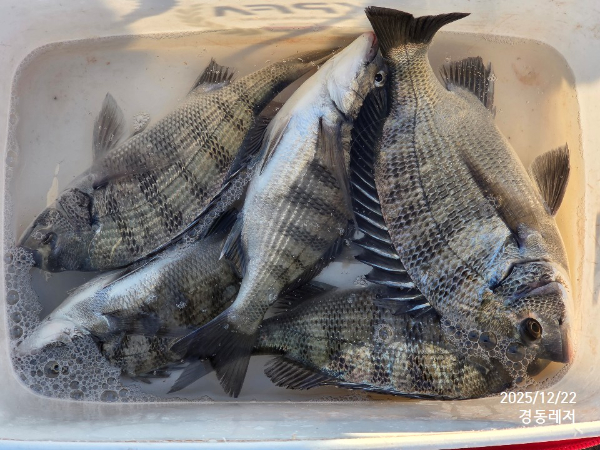
안녕하세요 경동(신광)레저 입니다.
어제 그리고 오늘 출조하신 조사님의 흘림 카고 감성돔 조과입니다.
수고하셨습니다.
# 통큰낚시 월명도앞 미역어장 및 전복가두리 이용안내
(조황사진내 첨부사진 참고)
경동레저(신광) 밴드
경동레져TV 유튜브 보고 찾아오신 모든 분들 감사드립니다.
경동레져 유튜브 경동(신광)레져TV 구독 & 좋아요
화이팅 댓글 감사드립니다.
신광레저는 경동레저로 위치를 이전하여 경동레저 이름으로 영업을 하오니
아래의 주소로 방문해 주시면 감사하겠습니다.
* 선외기 예약 문의 :010-3622-8723
* 주소: 경상남도 통영시 산양읍 풍화일주로 235
========== 경동레저 예약문의 ===========
문의전화 : 010-3622-8723
오시는길 : 경상남도 통영시 산양읍 풍화리 371-4
홈페이지 : http://singwang.sunsang24.com/
계좌안내 : 수협 / 2020-4800-5411/ 박정용
안녕하십니까 경동레저입니다.
