카드
제주 제주시 한림읍 한림해안로 93 한림항
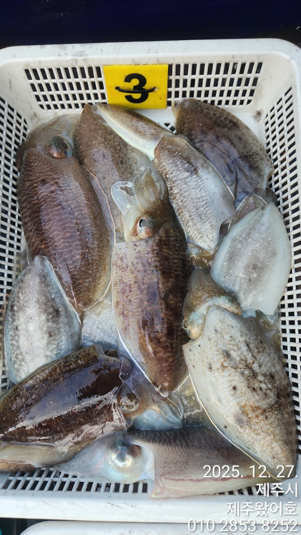
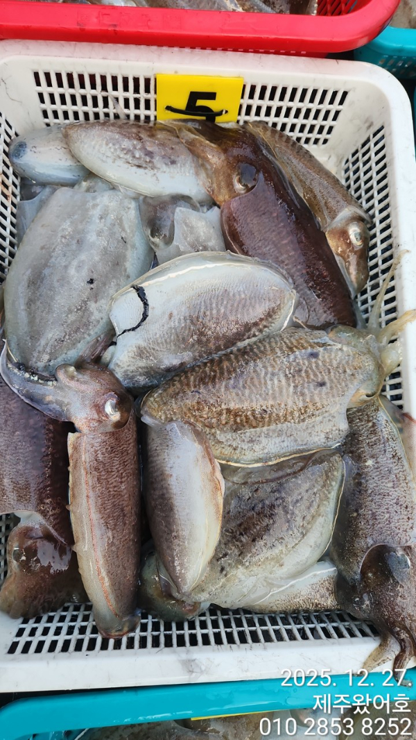
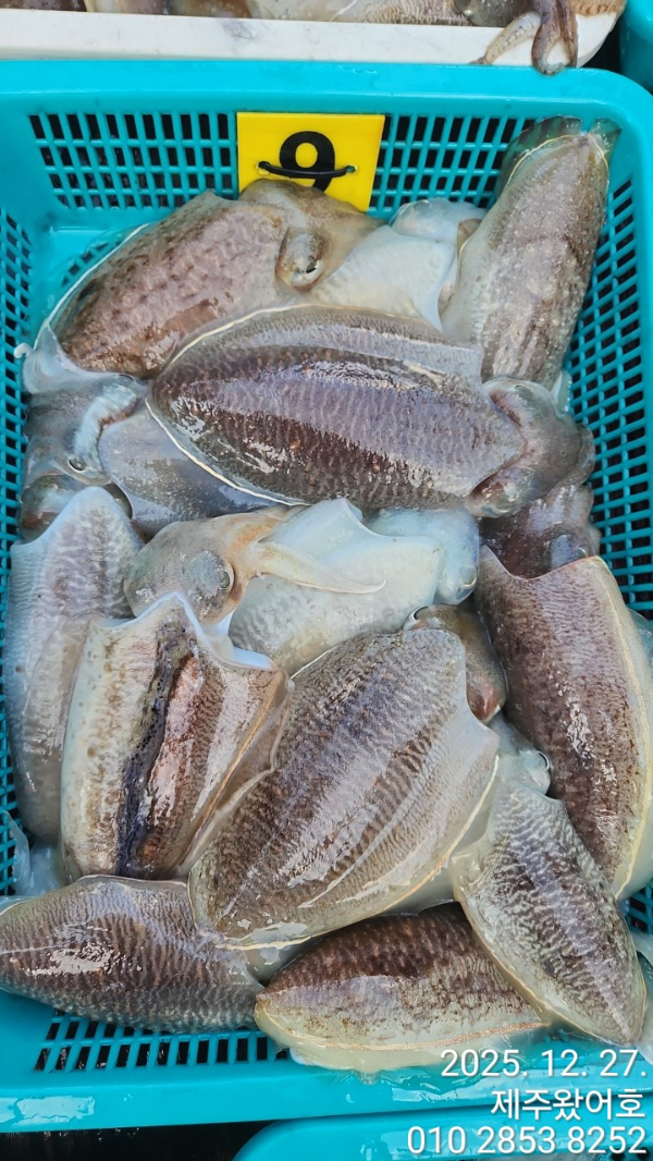
제주왔어호((9.77톤)) 12월 27일 갑오징어 조황
제주 제주시 한림읍 한림해안로 93 한림항
**제주 왔어호 갑오징어 조황**
12월 27일(토) 조금물 한림권 주간갑오징어
조황입니다.
4회차 출항했네요.
장원22마리(오산찌니님) 그리고 두자릿수하신분도 못하신분도 계시네요...
마릿수ㆍ사이즈 조금씩 좋아지고 있네요.
29ㆍ30ㆍ31ㆍ1일은 기상악화로
쉽니다.
2일은 기상변화지켜보는중 이고요.
제주 12월과 1월이 가장기상이 안좋을때라
출항일이 많지 않네요..
그래도 출항가능한날은
열심히 달려 마릿수 올려보겠습니다.^^
이제 시작이니 점점 사이즈 ㆍ마릿수도
좋아지네요.
봉돌은 납 40호, 텅스텐 35호 통일.
낚시대 한대만 사용가능하구요.
에기도 하나만 달수 있습니다.
꼬~~~옥 지켜주세요...
아침 시작은 보라로,
오늘은 보라색계열이 잘먹혔네요.^^
아래 사진에 기본으로 준비해야되는 에기사진 있으니 참고해주세요.
수온17.4도
하루종일 쉬지도 않고,
열심히 잡아주신 울 조사님들 감사감사합니다.
왔어호와 함께 찐~~한 갑오징어
손맛 보실 조사님들 아래 예약사이트로
마니마니 예약주세요.
출 항 일 : 기상만 허락한다면 1분이라도
출 항 지 : 한림항(3월말일까지)
출항시간 : 06시 30분(항에 06시10분까지)
입항시간 : 17시 30분(저녁8시30분 이후 뱅기)
1인 선비 : 12만원
**픽업 안됩니다**
5월 말까지 주간 갑오징어 출항합니다.
많은 이용 부탁드립니다.
마니마니 도와주세요^^
**배 전원사용가능**
((배터리 챙겨오시는거 추천))
***자리배정은 승선 후 추첨***
0.80세 이상 어르신 우선권.
1.연박자 우선 추첨(2일째부터 적용)
2.단체 우선 추첨(4인이상 한줄서기)
3.개인추첨
항에서 배를 봤을때 좌측선수에서 1~9번
우측선수에서 1~9번 입니다.
(1,2번빼고는 평지 입니다.)
갑이 손맛 보러 제주로....
이왕이면 왔어호로 와주세요 ^^
*1월~5월 갑오징어 출항 시간*
*아침 6시 30분 출항 ~오후 5시 30분 입항
((가는 뱅기는 20시30분이후 권해드립니다))
*아침새참과 점심 제공해드립니다.
(컵라면과 물, 몇가지 음료 준비되어 있음)
*왔어호 예약바로가기
https://welcome.sunsang24.com/ship/schedule_fleet/
*왔어호 밴드바로가기/ 더 많은 사진
https://www.band.us/band/85207657
네이버검색 : 제주왔어호, 왔어호, 제주 왔어호




















*** 제주 왔어호***호 예약 안내 ***
예약문의 : 010-2853-8252
오시는길 : 시즌별 변동 예약 시 확인해주세요
홈페이지 : https://welcome.sunsang24.com/
왔어호 밴드 : https://band.us/band/85207657 (왔어호밴드가입시 휴대폰 인증으로 해주세요)
