5짜급 대물감성돔외 4짜후반들!!!
12월 28일(일)
인낚 현재접속자
4,670명 (
313
)
공지사항
인낚도서관
점주선장전용 공지사항
로그인
광고/제휴 문의
운영진에게
인낚ㅣ인터넷바다낚시
0
어종별선상
어종별갯바위
낚시인조황
점주선장조황
출조정보
낚시광장
낚시지식인
낚시교실
중고장터
휴게실
인낚도서관
인낚몰
0
어종별선상
어종별 선상조황
4대돔 조황
먹물 조황
갈치 조황
볼락&전갱이
빅게임 지깅&파핑
외줄&외수질
기타 어종
어종별 갯바위조황
4대돔 조황
먹물 조황
갈치 조황
볼락&전갱이
농어&삼치&방어&부시리
기타 어종
어종별갯바위
어종별 선상조황
4대돔 조황
먹물 조황
갈치 조황
볼락&전갱이
빅게임 지깅&파핑
외줄&외수질
기타 어종
어종별 갯바위조황
4대돔 조황
먹물 조황
갈치 조황
볼락&전갱이
농어&삼치&방어&부시리
기타 어종
낚시인조황
낚시인 번개조황
낚시인조행기
스탭조행기
우리낚시동호회이야기
전국낚시동호회소개
동호회갤러리
지난 조황자료보기(년도별 조황 자료)
점주선장조황
전국 실시간 조황
선상(배)+좌대 조황
갯바위+방파제 조황
점주선장전용 공지사항
지난 조황자료보기(년도별 조황 자료)
출조정보
낚시인동행출조
점주선장 갯바위 출조
점주선장 선상출조
기상파고정보(기상청)
해상예보
물때표
파고예보(일본)
실시간해양관측예보
스마트조석예보
낚시광장
낚시계뉴스
대회 및 낚시관련 홍보
제품평가단
신상품소개
낚시지식인
Q&A 묻고 답하기
지식인 베스트
조황/포인트 문의
낚시용품 사용기
낚시투표
토론방
新어류도감
낚시교실
낚시기법소개
어종별 낚시교실
입문자교실
중급자교실
낚시용어사전
중고장터
중고장터 이용후기
더치트 사기피해 검색
팝니다
삽니다
교환합시다
무료로 드립니다
부품팝니다
부품삽니다
일반 생활용품 사고 팔기
휴게실
출석부
낚시갤러리
세상사는 이야기(자유게시판)
낚시이야기 마당
먹고사는 이야기
구인구직
칭찬합니다
어째이런일이
습득물 찾기
인낚도서관
인낚 유튜브
인낚 칼럼
블루, 그것이 알고싶다
더블테일의 두 눈으로 보는 세상
입질의추억의 피싱다이어리
나無의 바다 이야기
전문강좌
海巖의 바다낚시 이야기
이성규의 전유동낚시 강좌
조성민의 금요루어클럽
메인
어종별선상
어종별갯바위
낚시인조황
점주선장조황
출조정보
낚시광장
낚시지식인
낚시교실
중고장터
휴게실
인낚도서관
인낚몰
0
전국 실시간 조황
선상(배)+좌대 조황
갯바위+방파제 조황
점주선장전용 공지사항
지난 조황자료보기(년도별 조황 자료)
점주/선장 >
선상 + 좌대 조황
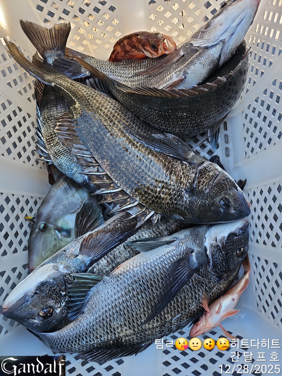
5짜급 대물감성돔외 4짜후반들!!!
간달프거제
1
78
5시간전
● 출항지 : 거제
● 출조지 : 거제
● 출조인원 : 6~10명
네임
카드
간달프거제
경남 거제시 거제면 산달길 703번지 출항지
010-6455-3914
실시간 예약
홈페이지
밴드 바로가기
유튜브/SNS
안녕하세요
간달프호 차선장입니다
오늘도 그곳으로 대물감성돔 사냥 다녀왔습니다
역시나 물때가 되니 대물들이 움직하네요
2마리 날려보내고
5짜급 49를 필두로
47,46,46외 굵은 놈들로 6마리 잡고 복귀했습니다
내일도 그곳을 집중 공략해보겠습니다
감사합니다
☆최강 7톤급 4.99톤으로 넓고
편안한 낚시 즐겨 보아요 ^^
●갑오징어 선비 안내
새벽 ~ 오후 3시(9만원)
- 거제권 갑오징어 포인트 최다 보유
- 초보자도 쉽게 접근 가능(원포인트 레슨으로 즉시 낚시 가능)
- 낚시대 대여 가능(예약시 필히 요청)
- 12월까지 계속 출조합니다
●무늬 오징어 선비안내
오후 5시~ 새벽 1,2시 입항(10만원)
- 식사,음료,생수 제공됩니다/컵라면은 자유 이용가능
- 2인 이상 계속 출조 예정
※전투낚시는 독배 또는 바다 상황에 맞게 조정해보겠습니다
●돌문어 선비 안내
새벽 ~ 오후 2시 유동적(8만원)
- 식사, 음료, 생수 제공됩니다
- 낚시대 대여도 가능합니다
☆☆ 개인 그늘막/해수라인 준비 되어 있습니다 ☆☆
●참돔 선비안내
새벽 ~ 오후 2시 유동적(14만원)
-밑밥,미끼,식사,생수,커피 제공됩니다
●감성돔 선비 안내
새벽~오후 2시 유동적(11만원)
-밑밥,미끼,식사,생수,커피 제공됩니다
(대체미끼는 개인 지참)
▶출조시 구명조끼/신분증은 반드시 지참해주세.
▶ 예약문의: 간달프호 선장 010-6455-3914
- 부재시 문자주시면 빠른연락 드리겠습니다.
▶ 배타는곳; 경남 거제시 거제면 산달길 703번지
☆☆☆ 주소지 변경 참고 ☆☆☆
▶ 선비 입금하실때
수협 차행우 0010 6455 3914
▶ "간달프 거제"밴드
- 예약일정 확인 가능합니다.
https://band.us/band/72256733
0
신고
목록
1
댓글
간달프거제
25-12-28 16:01
0
예약 가능합니다!
예약 가능합니다!
댓글 설정
댓글 신고
로그인한 회원만 댓글 등록이 가능합니다.
×
Image Upload
로그인한 회원만 등록가능합니다.
포토
제목
이름
날짜
[진해] 오리온!원도권문어!내일도 대물문어 잡으러 달립니다~내일예약가능
출항지 : 진해 / 출조지 : 진해
진해오리온피싱
38
20분전
진해오리온피싱
21:05
[고흥,녹동] 2025년12월28일 방어조황 이정도는 잡아 봐야지요 대박조황입…
출항지 : 고흥,녹동 / 출조지 :
고흥바다낚시114
6
21분전
고흥바다낚시114
21:04
[사천] 왕알쭈 조황굿(선비.5만).화욜 자리여유 예약중~
출항지 : 사천 / 출조지 : 사천
삼천포광진호강선장
8
21분전
삼천포광진호강선장
21:04
[해남,진도] <<김해새장유낚시 해남 슈퍼왕열기 28일 철수조황!!쿨러가득 대…
출항지 : 해남,진도 / 출조지 :
김해새장유낚시
11
24분전
김해새장유낚시
21:01
[사천] 왕알쭈 조황굿(선비.5만).화욜 자리여유 예약중~
출항지 : 사천 / 출조지 : 사천
삼천포광진호강선장
6
24분전
삼천포광진호강선장
21:00
[진해] 27일 출항 <야간 낙지>왕건이 낚으러gogo~월,화,수~예약가…
출항지 : 진해 / 출조지 :
썬플라워호10톤
31
35분전
썬플라워호10톤
20:50
[통영] 감성돔 흘림 카고 47외 17수등 대박 조황
출항지 : 통영 / 출조지 : 통영
수양레저
28
39분전
수양레저
20:46
[사천] 12월 28일 원도권 돌문어 출조! 키로급 대물도 간간이 낚인 …
출항지 : 사천 / 출조지 :
블랙드래곤
8
41분전
블랙드래곤
20:44
[진해] 26일야간 왕낙지들 롱다리 쭉쭉~사이즈 최고~!!(월,화,수 예…
출항지 : 진해 / 출조지 : 진해
진해라코피싱
24
50분전
진해라코피싱
20:35
[고흥,녹동] 녹동[빅토리호]12/28 다잡아덜덜이 소식입니다.
출항지 : 고흥,녹동 / 출조지 :
녹동빅토리호
12
55분전
녹동빅토리호
20:30
[진해] 12/28 감성돔(흘림) 5짜급 드렉소리 찐한 손맛 굿 굿 조황…
출항지 : 진해 / 출조지 : 진해
진해에이스호
26
1시간전
진해에이스호
20:25
[진해] 12/28 대물돌문어 2500g외 중치급 조황.. ( 화요일 …
출항지 : 진해 / 출조지 : 진해
진해물돌이호
15
1시간전
진해물돌이호
20:20
[부산] [부산 유강피싱] 유강호 간만에 방어 지깅 호조황입니다~
출항지 : 부산 / 출조지 :
유강피싱
18
1시간전
유강피싱
20:18
[고성] 고성드래곤 어초 감시 흘림 조황 월욜 자리여유
출항지 : 고성 / 출조지 : 통영
고성드래곤피싱
87
1시간전
고성드래곤피싱
20:15
[진해] 월,화,수~내만야간문어예약가능~~ K K K K
출항지 : 진해 / 출조지 : 진해
진해골드스타2
32
1시간전
진해골드스타2
20:05
초기화
날짜순
조회순
검색
1
2
3
4
5
Search
검색대상
제목
내용
제목+내용
회원아이디
회원아이디(댓글)
글쓴이
글쓴이(댓글)
또는
그리고
검색어
필수
검색
닫기
검색조건
제목
내용
제목+내용
회원아이디
회원아이디(코)
글쓴이
글쓴이(코)
검색어
또는
그리고
검색
인낚몰 초특가
★3,000★ 하야부사 6단 볼락 전갱이 카드채비 SD724 볼락채비
★1,000★볼락낚시에 최적인 메바트로볼 - 캐스팅볼, 메바볼
★13,000~★3NO 일본 오리지날 직수입 극강 멀티 무광 마크사 원줄
★500★ W쿠션 멀티 수중찌 M L - 전유동 반유동 끄심바리 필수품 수중쿠션
★5,900★ 여러개 있으면 아주 좋은 EVA 시스템 백
★ 1+1 플로팅, 세미, 카본 낚시줄 행사 호수선택가능 / 택상 1+1 원줄, 목줄 행사
★6,000★ 예민함의 끝판왕 애니원찌 벵에돔찌 학공치찌
★15,000★ 오동목 구멍찌 5개 + 메쉬 찌케이스 세트
★22만원★ 40W 집어등을 이 가격에!
★5,000★ 전층쿠션 15세트입 S / L 사이즈
★2,000★ 전층쿠션 5세트입 S / L 사이즈
★10,000 미니집어등5개 + 425배터리 1개 + 스토퍼고무 10개