






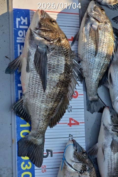
1월4일 대물감시카고 조황
대물감시카고 많이 물띠네요
월화수목금토일
대물감시카고 예약중
손맛보러 오세요
1월8일 목요일
오전 6시출항 오후 2시전후 입항
대물감시카고 5자리 예약가능
1월9일 금요일
오전 6시출항 오후 2시전후 입항
대물감시카고 7자리 예약가능
1월10일 토요일
오전 6시출항 오후 2시전후 입항
대물감시카고 예약완료
1월11일 일요일
오전 6시출항 오후 2시전후 입항
대물감시카고 4자리 예약가능
1월12일 월요일
오전 6시출항 오후 2시전후 입항
대물감시카고 7자리 예약가능
1월13일 화요일
오전 6시출항 오후 2시전후 입항
대물감시카고 7자리 예약가능
1월14일 수요일
오전 6시출항 오후 2시전후 입항
대물감시카고 7자리 예약가능
1월15일 목요일
오전 6시출항 오후 2시전후 입항
대물감시카고 7자리 예약가능
1월16일 금요일
오전 6시출항 오후 2시전후 입항
대물감시카고 7자리 예약가능
1월17일 토요일
오전 6시출항 오후 2시전후 입항
대물감시카고 7자리 예약가능
1월18일 일요일
오전 6시출항 오후 2시전후 입항
대물감시카고 7자리 예약가능
1월19일 월요일
오전 6시출항 오후 2시전후 입항
대물감시카고 7자리 예약가능
1월20일 화요일
오전 6시출항 오후 2시전후 입항
대물감시카고 7자리 예약가능
1월21일 수요일
오전 6시출항 오후 2시전후 입항
대물감시카고 7자리 예약가능
1월22일 목요일
오전 6시출항 오후 2시전후 입항
대물감시카고 7자리 예약가능
1월23일 금요일
오전 6시출항 오후 2시전후 입항
대물감시카고 7자리 예약가능
1월24일 토요일
오전 6시출항 오후 2시전후 입항
대물감시카고 7자리 예약가능
1월25일 일요일
오전 6시출항 오후 2시전후 입항
대물감시카고 7자리 예약가능
1월26일 월요일
오전 6시출항 오후 2시전후 입항
대물감시카고 7자리 예약가능
*** 대물감시카고 ***
평일이벤트 선비 10만원
밑밥 미끼 옥수수미끼 포함
커피 생수 식사제공
선비 12만원
밑밥 미끼 옥수수미끼 포함
커피 생수 식사제공
출조문의 010 9304 0017
월화수목금토일
좋은조황 예상됩니다
손맛보러 오세요
1월4일 대물감시카고 조황
준수한 씨알마릿수
손맛보러 오세요
일월화수목금토요일 예약가능
연일 대물감시 꾸준한조황
54.5 50 47 46 45 44
버글버글 15수 조황
우리한손맛 보고 왔습니다
손맛보러 오세요
54.5 개인 기록갱신 하였습니다
추카추카..^^
진해에서 생활낚시전문으로 포세이돈호를 운영하고 있습니다 두족류 전문사냥꾼 무늬오징어 갑오징어 문어 쭈꾸미 화살오징어 감시카고&흘림 낚시 전문입니다 1분이라도 정성을 다해 모십니다 많은 이용 부탁드립니다