(거제신영호) 타이라바 조황 입니다.
02월 02일(월)
인낚 현재접속자
4,368명 (
340
)
공지사항
인낚도서관
점주선장전용 공지사항
로그인
광고/제휴 문의
운영진에게
인낚ㅣ인터넷바다낚시
0
어종별선상
어종별갯바위
낚시인조황
점주선장조황
출조정보
낚시광장
낚시지식인
낚시교실
중고장터
휴게실
인낚도서관
인낚몰
0
어종별선상
4대돔 조황
먹물 조황
갈치 조황
볼락&전갱이
빅게임 지깅&파핑
외줄&외수질
기타 어종
어종별갯바위
4대돔 조황
먹물 조황
갈치 조황
볼락&전갱이
농어&삼치&방어&부시리
기타 어종
낚시인조황
낚시인 번개조황
낚시인조행기
스탭조행기
우리낚시동호회이야기
전국낚시동호회소개
동호회갤러리
지난 조황자료보기(년도별 조황 자료)
점주선장조황
전국 실시간 조황
선상(배)+좌대 조황
갯바위+방파제 조황
점주선장전용 공지사항
지난 조황자료보기(년도별 조황 자료)
출조정보
낚시인동행출조
점주선장 갯바위 출조
점주선장 선상출조
기상파고정보(기상청)
해상예보
물때표
파고예보(일본)
실시간해양관측예보
스마트조석예보
낚시광장
낚시계뉴스
대회 및 낚시관련 홍보
제품평가단
신상품소개
낚시지식인
Q&A 묻고 답하기
지식인 베스트
조황/포인트 문의
낚시용품 사용기
낚시투표
토론방
新어류도감
낚시교실
낚시기법소개
어종별 낚시교실
입문자교실
중급자교실
낚시용어사전
중고장터
중고장터 이용후기
더치트 사기피해 검색
팝니다
삽니다
교환합시다
무료로 드립니다
부품팝니다
부품삽니다
일반 생활용품 사고 팔기
휴게실
출석부
낚시갤러리
세상사는 이야기(자유게시판)
낚시이야기 마당
먹고사는 이야기
구인구직
칭찬합니다
어째이런일이
습득물 찾기
인낚도서관
인낚 유튜브
인낚 칼럼
블루, 그것이 알고싶다
더블테일의 두 눈으로 보는 세상
입질의추억의 피싱다이어리
나無의 바다 이야기
전문강좌
海巖의 바다낚시 이야기
이성규의 전유동낚시 강좌
조성민의 금요루어클럽
메인
어종별선상
어종별갯바위
낚시인조황
점주선장조황
출조정보
낚시광장
낚시지식인
낚시교실
중고장터
휴게실
인낚도서관
인낚몰
0
전국 실시간 조황
선상(배)+좌대 조황
갯바위+방파제 조황
점주선장전용 공지사항
지난 조황자료보기(년도별 조황 자료)
점주/선장 >
선상 + 좌대 조황
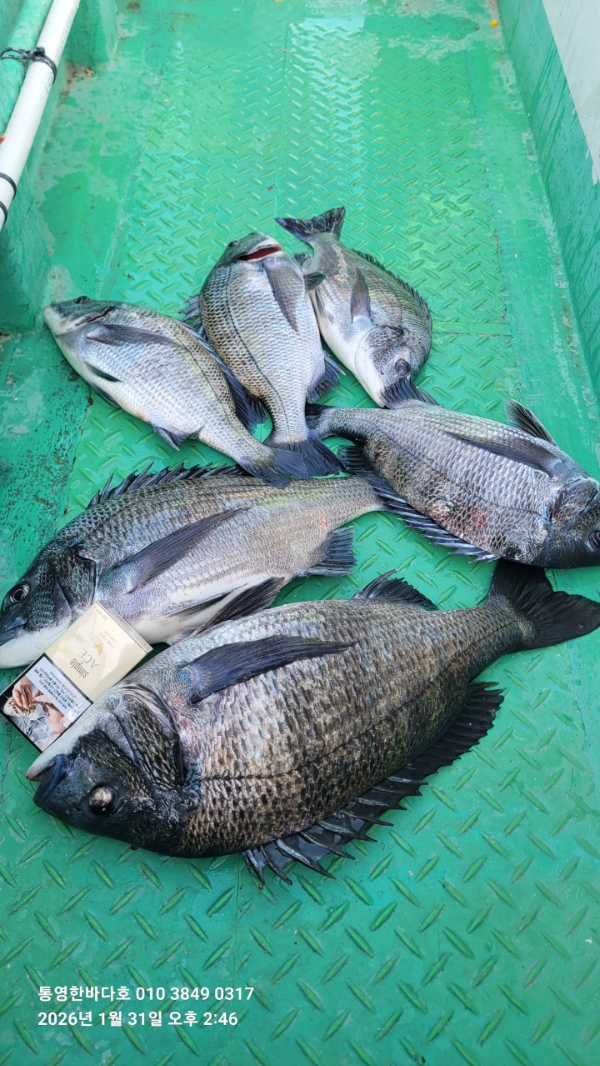
(거제신영호) 타이라바 조황 입니다.
거제신영호1
0
39
02.01 21:16
● 출항지 : 거제
● 출조인원 : 6~10명
#거제신영호 #신영호 #감성돔 #선상흘림 #참돔 타이라바 출조정보 출조안내
2026.02.01 조황정보
5분 모시고 참돔 타이라바 다녀 왔습니다.
날씨도 춥고 바람도 많이 불고 힘들었지만
처음하시는 분도 재미있게 즐기고 왔습니다.
당분간은 감성돔 흘림, 참돔 타이라바 먼저 예약 되는대로
병행 출조 하겠습니다.
오늘 하루도 수고 하셨습니다.
감성돔 흘림
07시 출항
17시 입항
선비 12만원
백크릴,밑밥,커피,음료,점심제공
참돔 타이라바
07시 출항
16시 입항
선비 10만원 (청개비 개인지참)
커피,음료,점심제공
선장번호 : 010-3764-1698
입금하시고 예약날짜 성함 문자 남겨주세요.
오시는길 : 경남 거제시 남부면 다대5길 46-1 다대출장소
밴드주소 : [밴드 초대장]
거제 신영호(신일호)님이 당신을 ’거제신영호(무늬,감성돔,참돔,타이라바,볼락,흘림)‘ 밴드에 초대합니다.
초대를 수락하고 우리 모임에 함께해요!
https://band.us/n/a3a8b8Scc9Q3n
0
신고
목록
글쓴이
0
0
Lv.1
거제신영호1
점주선장
0 (0%)
안녕하세요 거제 남부면 다대리에 위치한 신영호 입니다
02.01
(거제신영호) 타이라바 조황 입니다.
01.04
거제 남부권 감성돔 흘림 조황 살아나네요 ~~~
12.22
감성돔선상흘림 5짜 !!!!!!!!!!!!!
12.14
!!!!!!!거제남부권 감성돔흘림 조황!!!!!!!
11.13
거젠신영호 타이라바 출조 합니다~~~~~~~
0
댓글
로그인한 회원만 댓글 등록이 가능합니다.
×
Image Upload
로그인한 회원만 등록가능합니다.
포토
제목
이름
날짜
[통영] 통영한바다호ㅡ감성돔 카고 화요일부터 정상출조합니다
출항지 : 통영 / 출조지 :
통영한바다호
0
29초전
통영한바다호
13:09
[거제] 홍도 안경섬 선상조황 거제다대탑피싱호
출항지 : 거제 / 출조지 :
거제탑피싱
2
1분전
거제탑피싱
13:08
[진해] 도다리 첫 출항 조황입니다.화요일부터 예약가능
출항지 : 진해 / 출조지 : 진해
진해태풍호
4
3분전
진해태풍호
13:07
[진해] 31일세진호/돌문어3kg800.3kg200.kg~화.가능~
출항지 : 진해 / 출조지 : 진해
세진호선장
3
4분전
세진호선장
13:06
[진해] 감성돔(카고)ㅡ5짜,4짜급으로 손맛 굿굿(예약가능)
출항지 : 진해 / 출조지 : 거제
진해레져
2
5분전
진해레져
13:04
[진해] 1일 야간낙지 사이즈최고~롱다리 쭉쭉 뽑고~!!(화,수,목 예약…
출항지 : 진해 / 출조지 : 진해
진해라코피싱
30
10분전
진해라코피싱
13:00
1
[거제] 대짜 왕~열기 조황~ 목요일 출조
1
출항지 : 거제 / 출조지 : 통영
통영수빈호
87
10분전
통영수빈호
13:00
[포항] 포항선상낚시 바다날씨 좋은 2/3.화.오전8시 쭈꾸미 출항~
출항지 : 포항 / 출조지 :
신항만버스낚시
3
11분전
신항만버스낚시
12:59
[진해] 시즌 첫날 조황
출항지 : 진해 / 출조지 :
삼포라온
11
17분전
삼포라온
12:52
[통영] (원도권)문어 전문 2.5K 2.1K 외 마릿수 GOOD~고고피…
출항지 : 통영 / 출조지 : 통영
고고피싱호
12
20분전
고고피싱호
12:50
[거제] 인공어초 (흘림)5짜 46 45 44 40 조황 ~
출항지 : 거제 / 출조지 :
지중해호
12
20분전
지중해호
12:49
[진해] 도다리 출조합니다!~ 예약중~
출항지 : 진해 / 출조지 : 진해
필바다호
7
22분전
필바다호
12:48
[마산] 봄도다리 사이즈마리수 소수인원도 매일출항
출항지 : 마산 / 출조지 :
재연호
11
22분전
재연호
12:47
[마산] 감성돔 어초흘림 4짜4짜4짜4짜4짜4짜4짜외조황 출조예약받습니다
출항지 : 마산 / 출조지 : 마산
혜인호
13
22분전
혜인호
12:47
[진해] 감성돔 어초흘림 4짜4짜4짜4짜4짜4짜4짜조황 출조예약받습니다
출항지 : 진해 / 출조지 : 진해
혜인호
15
27분전
혜인호
12:42
초기화
날짜순
조회순
검색
1
2
3
4
5
Search
검색대상
제목
내용
제목+내용
회원아이디
회원아이디(댓글)
글쓴이
글쓴이(댓글)
또는
그리고
검색어
필수
검색
닫기
검색조건
제목
내용
제목+내용
회원아이디
회원아이디(코)
글쓴이
글쓴이(코)
검색어
또는
그리고
검색
인낚몰 초특가
MAEK 맥 호래기 대바늘 호래기콕 J타입 (카본바디 2입)
어부공방 NEW 호래전
야마시타 SB 호래기 대바늘
★3,000★ 하야부사 6단 볼락 전갱이 카드채비 SD724 볼락채비
★1,000★볼락낚시에 최적인 메바트로볼 - 캐스팅볼, 메바볼
★13,000~★3NO 일본 오리지날 직수입 극강 멀티 무광 마크사 원줄
★500★ W쿠션 멀티 수중찌 M L - 전유동 반유동 끄심바리 필수품 수중쿠션
★5,900★ 여러개 있으면 아주 좋은 EVA 시스템 백
★ 1+1 플로팅, 세미, 카본 낚시줄 행사 호수선택가능 / 택상 1+1 원줄, 목줄 행사
★6,000★ 예민함의 끝판왕 애니원찌 벵에돔찌 학공치찌
★15,000★ 오동목 구멍찌 5개 + 메쉬 찌케이스 세트
★22만원★ 40W 집어등을 이 가격에!