네임
카드
카드
정판수낚시마트
경상남도 사천시 한내4길 112
01038450377
01045805078
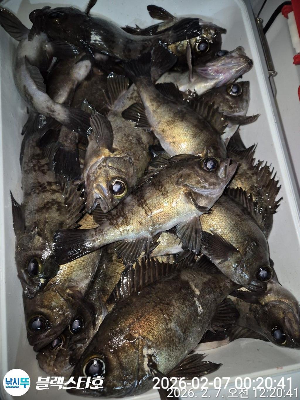
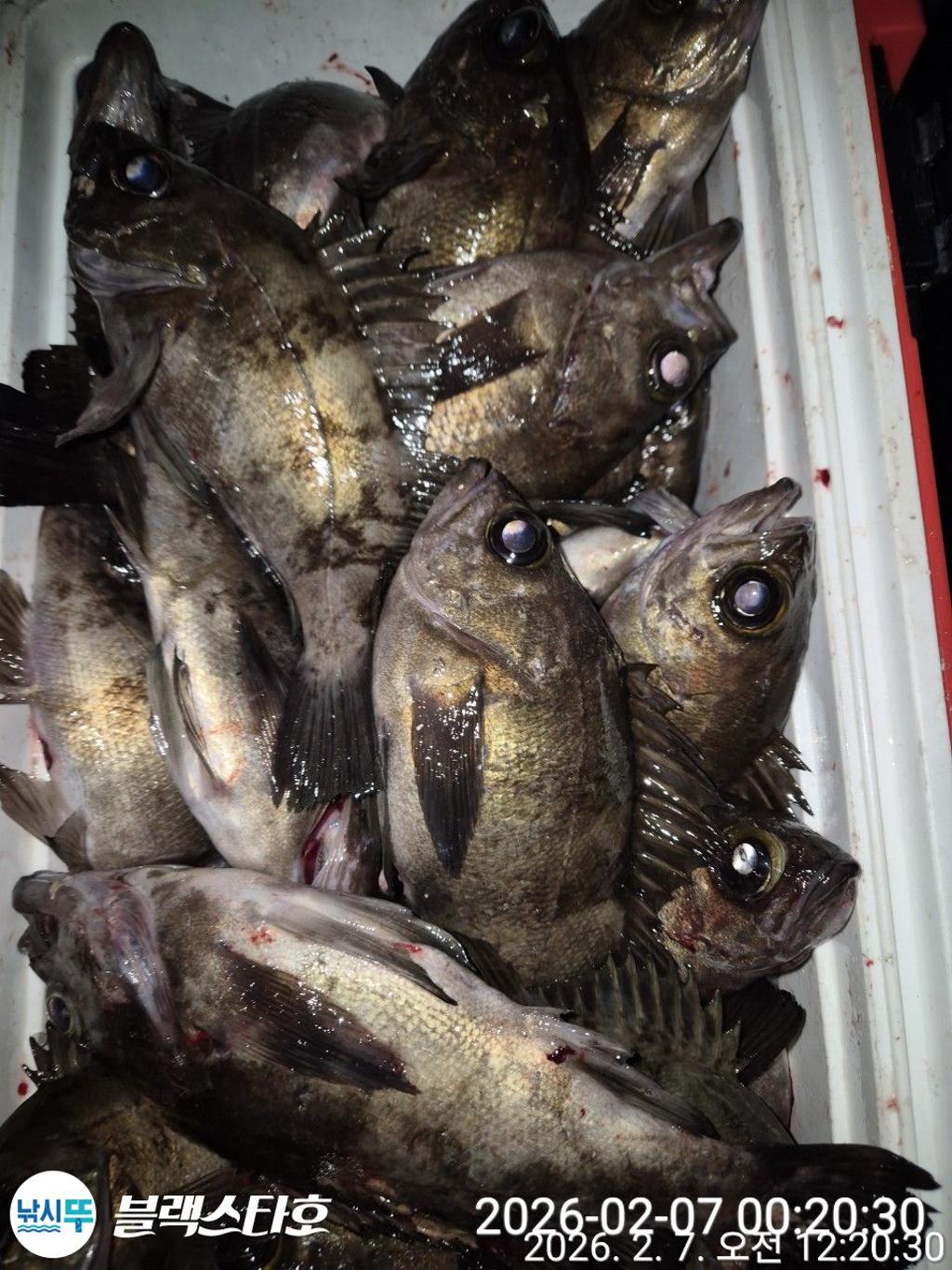
볼락조황 굿~월요일 출동~
경상남도 사천시 한내4길 112
낚시뚜에서 인낚으로 보내는 자동조황
| |||||||||||||||||||
정판수낚시마트 블랙스타호(22인승) 남해안 No1. 선상낚시전문 볼락|문어|갈치|쭈꾸미|생활낚시 전문
055-835-5077~8 010-3845-0377 010-4580-5078
경남 사천시 벌리동 한내4길 112
농협 897-01-138173 정판수
NAVER BAND 바로가기
*** 돌문어 출조 *** 출조시간 새벽 5시 정도 선비: 70,000원 출조지 내만,남해,고성,사량도,하동,두미도 등 * 개인 구명동의 지참하시기 바랍니다. (없으신 조사님은 선내 비치된 구명동의 착용) * 장비 없으신 조사님들은 그냥 오시면 선내 비치된 장비 무료사용하시면 됩니다. * 음료수, 커피, 시원한 문어물회, 물등 무료제공 @@ 가족, 단체, 야유회 등 환영, 남녀노소 누구나 하실수 있습니다. 초보자님도 도전해 보십시오~ 언제든지 문의 저화주시면 친절히 답해드리겠습니다. | |||||||||||||||||||
![]() ![]() ![]() ![]() ![]() ![]() ![]() ![]() ![]() | |||||||||||||||||||
정판수낚시마트 블랙스타호(22인승)
남해안 No1.선상낚시전문 볼락|문어|갈치|쭈꾸미|생활낚시 전문 055-835-5077~8 010-3845-0377 010-4580-5078
경남 사천시 벌리동 한내4길 112
농협 897-01-138173 정판수
(승선시 지켜야할 사항) 1.신분증 필히 챙겨오세요 2.선내 승객 음주:과태료 100만원 3.구명복 필히 착용하십시요 미착용시 과태료 100만원 | |||||||||||||||||||
| |||||||||||||||||||
![]() |