주간 솽열기 조황입니다
02월 11일(수)
인낚 현재접속자
4,177명 (
265
)
공지사항
인낚도서관
점주선장전용 공지사항
로그인
광고/제휴 문의
운영진에게
인낚ㅣ인터넷바다낚시
0
어종별선상
어종별갯바위
낚시인조황
점주선장조황
출조정보
낚시광장
낚시지식인
낚시교실
중고장터
휴게실
인낚도서관
인낚몰
0
어종별선상
4대돔 조황
먹물 조황
갈치 조황
볼락&전갱이
빅게임 지깅&파핑
외줄&외수질
기타 어종
어종별갯바위
4대돔 조황
먹물 조황
갈치 조황
볼락&전갱이
농어&삼치&방어&부시리
기타 어종
낚시인조황
낚시인 번개조황
낚시인조행기
스탭조행기
우리낚시동호회이야기
전국낚시동호회소개
동호회갤러리
지난 조황자료보기(년도별 조황 자료)
점주선장조황
전국 실시간 조황
선상(배)+좌대 조황
갯바위+방파제 조황
점주선장전용 공지사항
지난 조황자료보기(년도별 조황 자료)
출조정보
낚시인동행출조
점주선장 갯바위 출조
점주선장 선상출조
기상파고정보(기상청)
해상예보
물때표
파고예보(일본)
실시간해양관측예보
스마트조석예보
낚시광장
낚시계뉴스
대회 및 낚시관련 홍보
제품평가단
신상품소개
낚시지식인
Q&A 묻고 답하기
지식인 베스트
조황/포인트 문의
낚시용품 사용기
낚시투표
토론방
新어류도감
낚시교실
낚시기법소개
어종별 낚시교실
입문자교실
중급자교실
낚시용어사전
중고장터
중고장터 이용후기
더치트 사기피해 검색
팝니다
삽니다
교환합시다
무료로 드립니다
부품팝니다
부품삽니다
일반 생활용품 사고 팔기
휴게실
출석부
낚시갤러리
세상사는 이야기(자유게시판)
낚시이야기 마당
먹고사는 이야기
구인구직
칭찬합니다
어째이런일이
습득물 찾기
인낚도서관
인낚 유튜브
인낚 칼럼
블루, 그것이 알고싶다
더블테일의 두 눈으로 보는 세상
입질의추억의 피싱다이어리
나無의 바다 이야기
전문강좌
海巖의 바다낚시 이야기
이성규의 전유동낚시 강좌
조성민의 금요루어클럽
메인
어종별선상
어종별갯바위
낚시인조황
점주선장조황
출조정보
낚시광장
낚시지식인
낚시교실
중고장터
휴게실
인낚도서관
인낚몰
0
전국 실시간 조황
선상(배)+좌대 조황
갯바위+방파제 조황
점주선장전용 공지사항
지난 조황자료보기(년도별 조황 자료)
점주/선장 >
선상 + 좌대 조황
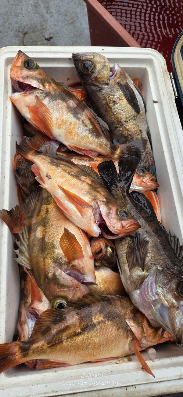
주간 솽열기 조황입니다
금바다피싱
0
39
11시간전
● 출항지 : 통영
● 출조인원 : 6~10명
네임
카드
금바다피싱
경남 통영시 산양읍 풍화일주로 448
010-3539-2105
실시간 예약
홈페이지
밴드 바로가기
유튜브/SNS
안녕하세요
금바다피싱 입니다
어제 조황 못올려 이제 올립니다
어제는 초반에 주춤하더니
시간이 지날수을타네요
씨알좋은 왕열기 많이 하신분은
쿨러조황 까지~
오늘은 기상관계로 쉽니다
내일 12일 12자리여유
13일 10자리여유
14일 3자리여유
15잏 10자리여유
16일부터 이후로 비어있습니다
출조하실분이나 궁금하신점
언제든 전화주세요
감사합니다
*** 통영 금바다피싱 예약 안내 ***
예약문의 : 010-3539-2105
오시는길 : 경남 통영시 산양읍 풍화일주로 448
홈페이지 : https://seagoldfishing.sunsang24.com/
0
신고
목록
0
댓글
로그인한 회원만 댓글 등록이 가능합니다.
×
Image Upload
로그인한 회원만 등록가능합니다.
포토
제목
이름
날짜
[사천] 설연휴 원도권 대물감성돔 흘림 달립니다 예약중입니다 자리여유 많…
출항지 : 사천 / 출조지 :
사천뉴경원피싱
36
3분전
사천뉴경원피싱
20:10
[진해] 원도권돌문어 올해최고5.2K외 KKK퍽퍽( 금요일,월요일예약중
출항지 : 진해 / 출조지 : 통영
진해골드스타2
36
3분전
진해골드스타2
20:10
[진해] 감성돔(카고)ㅡ5짜,4짜급으로 손맛 굿굿(예약가능)
출항지 : 진해 / 출조지 : 거제
진해레져
45
3분전
진해레져
20:10
[진해] 열기볼락,만쿨잔치, 쭉 예약가능,봄도다리퍽퍽매일출항 목,금,토…
출항지 : 진해 / 출조지 : 통영
진해대성낚시
6
8분전
진해대성낚시
20:05
[진해] 토욜부터 열뽈 출조함니다
출항지 : 진해 / 출조지 :
진해포시즌피싱
4
10분전
진해포시즌피싱
20:02
[거제] 감성돔흘림 !!! 5짜4짜등등!!! 주말 자리여유!!
출항지 : 거제 / 출조지 : 거제
거제나폴리호
9
11분전
거제나폴리호
20:01
[진해] [감성돔 흘림]52,50,44,42,43 우당탕 터지고!! 예약…
출항지 : 진해 / 출조지 : 진해
진해빅마마호
13
12분전
진해빅마마호
20:00
[진해] 11일 봄 도다리 마릿수 굿.씨알 굿~!! 금요일부터 예약가능
출항지 : 진해 / 출조지 : 진해
진해도시어부
9
12분전
진해도시어부
20:00
[진해] 감성돔(흘림)~5짜와4짜!우르르쾅쾅!총25수(금요일예약가능)
출항지 : 진해 / 출조지 : 거제
진해여명피싱
14
13분전
진해여명피싱
19:59
[진해] 왕~도다리 여기저기 쌍걸이~~(내일예약가능)
출항지 : 진해 / 출조지 : 진해
진해나이스피싱
9
16분전
진해나이스피싱
19:56
[통영] ((곰발왕열기 왕뽈))완전곰발 왕열기부터 떵떵 내일도 떵떵 목ㆍ…
출항지 : 통영 / 출조지 :
통영짱낚시
90
28분전
통영짱낚시
19:45
[진해] (원도권)王문어 조황~3.6K2.8K 외 2K~K오버 초대박~강…
출항지 : 진해 / 출조지 : 진해
진해강민호
48
28분전
진해강민호
19:45
[진해] 한치.대포왕오징어~먹물 맞으로~금요일부터 출조합니다~예약가능합니…
출항지 : 진해 / 출조지 : 진해
엿쟁이낚시
43
38분전
엿쟁이낚시
19:35
[부산] 낫개방파제 <나리호 >타이라바 조황입니다
출항지 : 부산 / 출조지 : 부산
부산나리호
19
39분전
부산나리호
19:33
[진해] 신발짝 돼지~열기 떵떵떵 만쿨행진중(내일예약가능/금요일예약
출항지 : 진해 / 출조지 :
진해최강리드
67
48분전
진해최강리드
19:25
초기화
날짜순
조회순
검색
1
2
3
4
5
Search
검색대상
제목
내용
제목+내용
회원아이디
회원아이디(댓글)
글쓴이
글쓴이(댓글)
또는
그리고
검색어
필수
검색
닫기
검색조건
제목
내용
제목+내용
회원아이디
회원아이디(코)
글쓴이
글쓴이(코)
검색어
또는
그리고
검색
인낚몰 초특가
new
★설특가 190,000★ 파직스 자동팽창식 구명의 PL-181+원줄+장갑
new
★설특가 99,000★ 디캡스 자동팽창식 구명복+원줄+장갑
new
★설특가 8,000부터★ ISF 바칸 삼나무 테이블
new
★설특가 4,000★ FF 블리츠 전자캐스팅볼 점등 점멸 + 구매수량만큼 425배터리 증정 / 4개단위로 구매시 케이스 증정
new
★설특가 12,000★ 티렉스 미니 일렉볼 + BR322 배터리 1개 증정
new
★설특가 6,000★ 티렉스 일렉트로볼 점등 점멸
★설특가 18,000부터★ 1+1 플로팅, 세미, 카본 낚시줄 행사 호수선택가능 / 택상 1+1 원줄, 목줄 행사
★3,000★ MAEK 맥 호래기 대바늘 호래기콕 J타입 (카본바디 2입)
★5,000★ 어부공방 NEW 호래전
★4,500★ 야마시타 SB 호래기 대바늘
★3,000★ 하야부사 6단 볼락 전갱이 카드채비 SD724 볼락채비
★1,000★볼락낚시에 최적인 메바트로볼 - 캐스팅볼, 메바볼