어초흘림 》 예약가능합니다
02월 13일(금)
인낚 현재접속자
3,806명 (
208
)
공지사항
인낚도서관
점주선장전용 공지사항
로그인
광고/제휴 문의
운영진에게
인낚ㅣ인터넷바다낚시
0
어종별선상
어종별갯바위
낚시인조황
점주선장조황
출조정보
낚시광장
낚시지식인
낚시교실
중고장터
휴게실
인낚도서관
인낚몰
0
어종별선상
4대돔 조황
먹물 조황
갈치 조황
볼락&전갱이
빅게임 지깅&파핑
외줄&외수질
기타 어종
어종별갯바위
4대돔 조황
먹물 조황
갈치 조황
볼락&전갱이
농어&삼치&방어&부시리
기타 어종
낚시인조황
낚시인 번개조황
낚시인조행기
스탭조행기
우리낚시동호회이야기
전국낚시동호회소개
동호회갤러리
지난 조황자료보기(년도별 조황 자료)
점주선장조황
전국 실시간 조황
선상(배)+좌대 조황
갯바위+방파제 조황
점주선장전용 공지사항
지난 조황자료보기(년도별 조황 자료)
출조정보
낚시인동행출조
점주선장 갯바위 출조
점주선장 선상출조
기상파고정보(기상청)
해상예보
물때표
파고예보(일본)
실시간해양관측예보
스마트조석예보
낚시광장
낚시계뉴스
대회 및 낚시관련 홍보
제품평가단
신상품소개
낚시지식인
Q&A 묻고 답하기
지식인 베스트
조황/포인트 문의
낚시용품 사용기
낚시투표
토론방
新어류도감
낚시교실
낚시기법소개
어종별 낚시교실
입문자교실
중급자교실
낚시용어사전
중고장터
중고장터 이용후기
더치트 사기피해 검색
팝니다
삽니다
교환합시다
무료로 드립니다
부품팝니다
부품삽니다
일반 생활용품 사고 팔기
휴게실
출석부
낚시갤러리
세상사는 이야기(자유게시판)
낚시이야기 마당
먹고사는 이야기
구인구직
칭찬합니다
어째이런일이
습득물 찾기
인낚도서관
인낚 유튜브
인낚 칼럼
블루, 그것이 알고싶다
더블테일의 두 눈으로 보는 세상
입질의추억의 피싱다이어리
나無의 바다 이야기
전문강좌
海巖의 바다낚시 이야기
이성규의 전유동낚시 강좌
조성민의 금요루어클럽
메인
어종별선상
어종별갯바위
낚시인조황
점주선장조황
출조정보
낚시광장
낚시지식인
낚시교실
중고장터
휴게실
인낚도서관
인낚몰
0
전국 실시간 조황
선상(배)+좌대 조황
갯바위+방파제 조황
점주선장전용 공지사항
지난 조황자료보기(년도별 조황 자료)
점주/선장 >
선상 + 좌대 조황
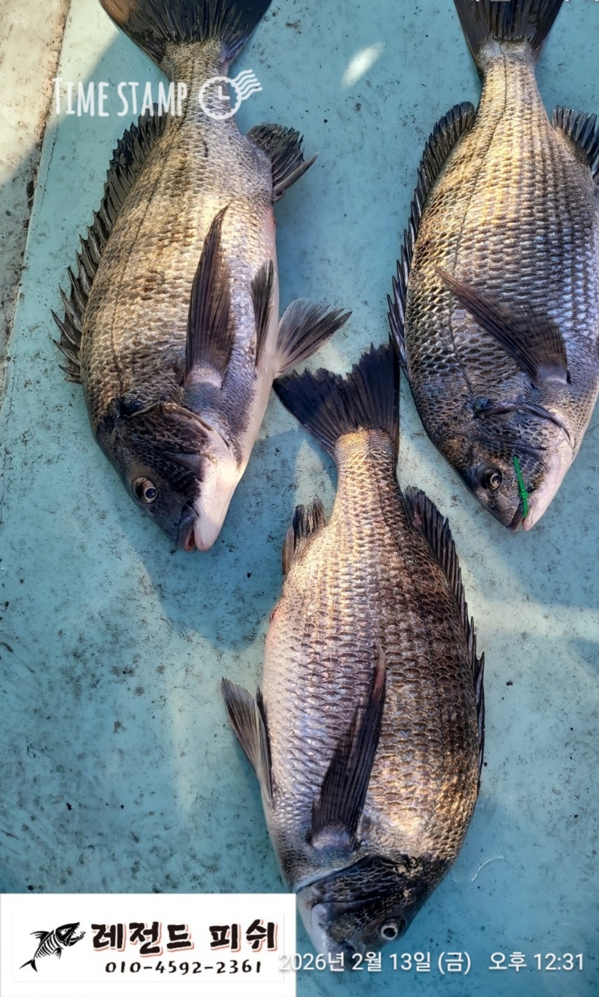
어초흘림 》 예약가능합니다
레전드피쉬
0
76
7시간전
● 출항지 : 거제
● 출조지 : 거제
● 출조인원 : 1~2명
네임
카드
레전드피쉬
실시간 예약
홈페이지
밴드 바로가기
유튜브/SNS
어초흘림》4짜들로 마무리 합니다.
한분 조사님과 어초 여밭에서 손맛 봤습니다.
대물사이즈급들이 원줄까지 끌고가는 입질 받았네요!
연휴간 여유자리 많이 있습니다.
예약 가능합니다.
010 4592 2361
《밴드에 오시면 더욱많은 조황정보가 있으니 가입하기 꼭 눌러주세요》
밴드 바로가기 : https://band.us/@legendfish
예약문의는 010 4592 2361
부재시 선장마눌레게노맘 010 2480 2361
☆☆☆☆☆☆☆☆☆☆☆☆☆☆☆☆☆☆☆☆☆☆☆☆☆
《 감성돔 찌낚시 》
감성돔흘림 : 11만원
*종일낚시: 출항시간기준 8시간 전.후입니다
※독배는 시간 조정 가능합니다.
안전한 운항을 위하여 예약문의는 저녁 9시까지 부탁드립니다!
예약 010 4592 2361
출항지 : 경남 거제시 거제면 산달1길 15-8
0
신고
목록
0
댓글
로그인한 회원만 댓글 등록이 가능합니다.
×
Image Upload
로그인한 회원만 등록가능합니다.
포토
제목
이름
날짜
[고성] 고성드래곤 어초 감시흘림 47.41외 월욜부터 자리여유
출항지 : 고성 / 출조지 : 통영
고성드래곤피싱
57
34분전
고성드래곤피싱
22:20
[진해] 봄 도다리 씨알굿 마릿수 조으네요~! 일요일부터 예약가능
출항지 : 진해 / 출조지 : 진해
진해도시어부
18
41분전
진해도시어부
22:13
[제주] 2월13일 제주엔에스호 심해갑오징어 조황안내
출항지 : 제주 / 출조지 :
엔에스호
8
55분전
엔에스호
21:58
[진해] 감성돔흘림!!월부터예약가능!!설연휴 쭉 정상출항
출항지 : 진해 / 출조지 : 거제
진해백호
114
1시간전
진해백호
21:45
[통영] 통영 송현호))돌문어 1.2K외 낙지까지 쭉쭉 올렸습니다
출항지 : 통영 / 출조지 :
통영송현피싱
14
1시간전
통영송현피싱
21:26
[고흥,녹동] 왕열기 쿨러채운분도 바닥아분도(고흥비너스)
출항지 : 고흥,녹동 / 출조지 :
거문도비너스호
21
2시간전
거문도비너스호
21:10
[고성] 어초대물 카고감성돔 조황 일요일 월요일 1자리식있습니다
출항지 : 고성 / 출조지 : 남해
마리스호풍어피싱
30
2시간전
마리스호풍어피싱
21:05
[진해] <주간도다리>토,일 예약중&<야간낙지>금,토 예약가능
출항지 : 진해 / 출조지 :
썬플라워호10톤
47
2시간전
썬플라워호10톤
20:55
[진해] "감성돔" 카고 독배조황 입니다~2수는 날아가고,,큰게 48입니…
출항지 : 진해 / 출조지 : 거제
창원사랑호
86
2시간전
창원사랑호
20:55
[진해] 문어) 원도권문어 수요일 예약가능~
출항지 : 진해 / 출조지 : 거제
진해제네시스호
33
2시간전
진해제네시스호
20:55
[경주] 2/13일)실시간 야간한치 입질시작-토(모집)
출항지 : 경주 / 출조지 :
읍천테크호
19
2시간전
읍천테크호
20:54
[진해] 야간낙지 롱다리 쭉~쭉~!!(토,일 예약중)쭈꾸미 일요일 예약중…
출항지 : 진해 / 출조지 : 진해
진해라코피싱
43
2시간전
진해라코피싱
20:50
[진해] [13일,도다리]4짜외3짜씨알급으로마릿수퍽퍽~!! 선상횟집~!!…
출항지 : 진해 / 출조지 :
진해매일호
52
2시간전
진해매일호
20:45
[속초,강릉] 피문어 잡고 왔슙니다 ~!
출항지 : 속초,강릉 / 출조지 :
강릉사화진호
10
2시간전
강릉사화진호
20:38
[해남,진도] 진도제이제이 2월13일 우럭.열기 조황입니다
출항지 : 해남,진도 / 출조지 :
진도제이제이
20
2시간전
진도제이제이
20:36
초기화
날짜순
조회순
검색
1
2
3
4
5
Search
검색대상
제목
내용
제목+내용
회원아이디
회원아이디(댓글)
글쓴이
글쓴이(댓글)
또는
그리고
검색어
필수
검색
닫기
검색조건
제목
내용
제목+내용
회원아이디
회원아이디(코)
글쓴이
글쓴이(코)
검색어
또는
그리고
검색
인낚몰 초특가
★설특가 190,000★ 파직스 자동팽창식 구명의 PL-181+원줄+장갑
★설특가 99,000★ 디캡스 자동팽창식 구명복+원줄+장갑
★설특가 8,000부터★ ISF 바칸 삼나무 테이블
★설특가 4,000★ FF 블리츠 전자캐스팅볼 점등 점멸 + 구매수량만큼 425배터리 증정 / 4개단위로 구매시 케이스 증정
★설특가 12,000★ 티렉스 미니 일렉볼 + BR322 배터리 1개 증정
★설특가 6,000★ 티렉스 일렉트로볼 점등 점멸
★설특가 18,000부터★ 1+1 플로팅, 세미, 카본 낚시줄 행사 호수선택가능 / 택상 1+1 원줄, 목줄 행사
★3,000★ MAEK 맥 호래기 대바늘 호래기콕 J타입 (카본바디 2입)
★5,000★ 어부공방 NEW 호래전
★4,500★ 야마시타 SB 호래기 대바늘
★3,000★ 하야부사 6단 볼락 전갱이 카드채비 SD724 볼락채비
★1,000★볼락낚시에 최적인 메바트로볼 - 캐스팅볼, 메바볼