통영한바다호ㅡ감성돔 카고 5짜 외 설날 전 조황
02월 17일(화)
인낚 현재접속자
4,761명 (
193
)
공지사항
인낚도서관
점주선장전용 공지사항
로그인
광고/제휴 문의
운영진에게
인낚ㅣ인터넷바다낚시
0
어종별선상
어종별갯바위
낚시인조황
점주선장조황
출조정보
낚시광장
낚시지식인
낚시교실
중고장터
휴게실
인낚도서관
인낚몰
0
어종별선상
4대돔 조황
먹물 조황
갈치 조황
볼락&전갱이
빅게임 지깅&파핑
외줄&외수질
기타 어종
어종별갯바위
4대돔 조황
먹물 조황
갈치 조황
볼락&전갱이
농어&삼치&방어&부시리
기타 어종
낚시인조황
낚시인 번개조황
낚시인조행기
스탭조행기
우리낚시동호회이야기
전국낚시동호회소개
동호회갤러리
지난 조황자료보기(년도별 조황 자료)
점주선장조황
전국 실시간 조황
선상(배)+좌대 조황
갯바위+방파제 조황
점주선장전용 공지사항
지난 조황자료보기(년도별 조황 자료)
출조정보
낚시인동행출조
점주선장 갯바위 출조
점주선장 선상출조
기상파고정보(기상청)
해상예보
물때표
파고예보(일본)
실시간해양관측예보
스마트조석예보
낚시광장
낚시계뉴스
대회 및 낚시관련 홍보
제품평가단
신상품소개
낚시지식인
Q&A 묻고 답하기
지식인 베스트
조황/포인트 문의
낚시용품 사용기
낚시투표
토론방
新어류도감
낚시교실
낚시기법소개
어종별 낚시교실
입문자교실
중급자교실
낚시용어사전
중고장터
중고장터 이용후기
더치트 사기피해 검색
팝니다
삽니다
교환합시다
무료로 드립니다
부품팝니다
부품삽니다
일반 생활용품 사고 팔기
휴게실
출석부
낚시갤러리
세상사는 이야기(자유게시판)
낚시이야기 마당
먹고사는 이야기
구인구직
칭찬합니다
어째이런일이
습득물 찾기
인낚도서관
인낚 유튜브
인낚 칼럼
블루, 그것이 알고싶다
더블테일의 두 눈으로 보는 세상
입질의추억의 피싱다이어리
나無의 바다 이야기
전문강좌
海巖의 바다낚시 이야기
이성규의 전유동낚시 강좌
조성민의 금요루어클럽
메인
어종별선상
어종별갯바위
낚시인조황
점주선장조황
출조정보
낚시광장
낚시지식인
낚시교실
중고장터
휴게실
인낚도서관
인낚몰
0
전국 실시간 조황
선상(배)+좌대 조황
갯바위+방파제 조황
점주선장전용 공지사항
지난 조황자료보기(년도별 조황 자료)
점주/선장 >
선상 + 좌대 조황
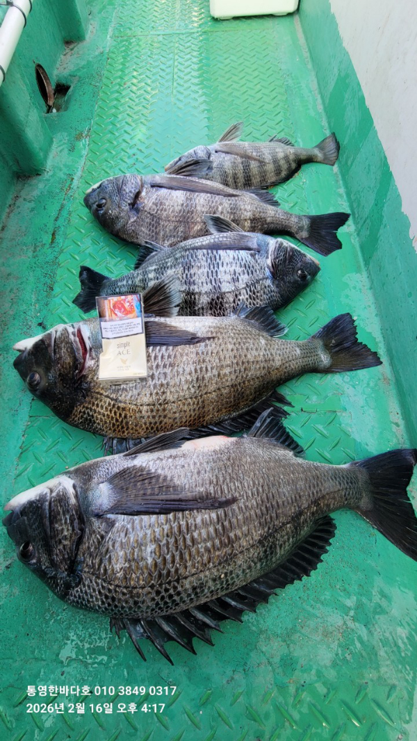
통영한바다호ㅡ감성돔 카고 5짜 외 설날 전 조황
통영한바다호
0
39
6시간전
● 출항지 : 통영
● 출조인원 : 3~5명
네임
카드
한바다호
경남 통영시 도산면 도산일주로 2209
010-3849-0317
실시간 예약
홈페이지
밴드 바로가기
유튜브/SNS
지난주 바람.물때 안좋아서 며칠 쉬고 설날 전 출조
5짜 외 조황입니다
오늘은 설날 가족들과~~내일부터 일요일까지 예약완료
다음주 월요일부터 예약가능합니다
새해 복 많이 받으시고 어복충만 한해 되세요
*** 통영 한바다호 예약 안내 ***
예약문의 : 010-3849-0317
오시는길 : 경남 통영시 도산면 도산일주로 2209
홈페이지 : https://hanbadaho.sunsang24.com/
☆☆북통영 ic에서 5분 거리입니다
0
신고
목록
0
댓글
로그인한 회원만 댓글 등록이 가능합니다.
×
Image Upload
로그인한 회원만 등록가능합니다.
포토
제목
이름
날짜
[진해] 감성돔흘림4짜4짜4짜조황(내일1분예약가능)
출항지 : 진해 / 출조지 : 진해
진해뉴스피드호
8
8분전
진해뉴스피드호
17:08
[부산] 쭈꾸미 ~야간낙지 손맛 최고~!!(수요일 예약중)
출항지 : 부산 / 출조지 : 진해
진해라코피싱
7
12분전
진해라코피싱
17:03
[진해] "봄도다리&푸짐한해산물밥상" 잡고~먹고 선상만찬까지 ~놀러오세요…
출항지 : 진해 / 출조지 : 진해
진해뽀빠이피싱
6
15분전
진해뽀빠이피싱
17:01
[부산] 진진-오늘도 손맛 몸맛 찐하게! 7짜8짜 부시리 방어 퍽퍽퍽!
출항지 : 부산 / 출조지 : 부산
진진낚시
7
17분전
진진낚시
16:58
[사천] 감성돔 잡으러 갑시다~~
출항지 : 사천 / 출조지 :
삼천포강백호
10
18분전
삼천포강백호
16:58
[통영] 통영 금정호 대물감성돔 카고 조황! 자리있습니다
출항지 : 통영 / 출조지 :
유촌금정낚시
7
18분전
유촌금정낚시
16:57
[사천] 내일 감성돔카고 출동운동장 ~
출항지 : 사천 / 출조지 :
재영피싱
11
25분전
재영피싱
16:50
[진해] [야간 감성돔 흘림]5짜,4짜, 소나기 피딩 뜰채2개가 모잘라!…
출항지 : 진해 / 출조지 : 거제
진해빅마마호
141
26분전
진해빅마마호
16:50
[진해] (풍산)도다리! 배 터지게 먹고! 잡고! (예약가능)
출항지 : 진해 / 출조지 :
진해풍산호
44
31분전
진해풍산호
16:45
[통영] 경동레저(신광) 선외기낚시 흘림 카고 감성돔 조황
출항지 : 통영 / 출조지 :
경동레져
15
37분전
경동레져
16:39
[거제] [감성돔]47외4짜들~~~
출항지 : 거제 / 출조지 : 거제
거제여명호
11
37분전
거제여명호
16:39
[거제] #거제어구수성호#감성돔 도다리 등 금일조황
출항지 : 거제 / 출조지 : 거제
거제어구항수성호
11
38분전
거제어구항수성호
16:38
[진해] 씨알대빵 왕도다리 마릿수 많습니다~!! 내일 예약가능
출항지 : 진해 / 출조지 : 진해
진해도시어부
14
40분전
진해도시어부
16:35
[통영] 해양레저 설날 카고 54감성돔 조황
출항지 : 통영 / 출조지 :
통영궁항레저
13
41분전
통영궁항레저
16:35
[고성] 어초대물 카고감성돔 마릿수 조황 입니다
출항지 : 고성 / 출조지 : 통영
마리스호풍어피싱
16
45분전
마리스호풍어피싱
16:31
초기화
날짜순
조회순
검색
1
2
3
4
5
Search
검색대상
제목
내용
제목+내용
회원아이디
회원아이디(댓글)
글쓴이
글쓴이(댓글)
또는
그리고
검색어
필수
검색
닫기
검색조건
제목
내용
제목+내용
회원아이디
회원아이디(코)
글쓴이
글쓴이(코)
검색어
또는
그리고
검색
인낚몰 초특가
★설특가 190,000★ 파직스 자동팽창식 구명의 PL-181+원줄+장갑
★설특가 99,000★ 디캡스 자동팽창식 구명복+원줄+장갑
★설특가 8,000부터★ ISF 바칸 삼나무 테이블
★설특가 4,000★ FF 블리츠 전자캐스팅볼 점등 점멸 + 구매수량만큼 425배터리 증정 / 4개단위로 구매시 케이스 증정
★설특가 12,000★ 티렉스 미니 일렉볼 + BR322 배터리 1개 증정
★설특가 6,000★ 티렉스 일렉트로볼 점등 점멸
★설특가 18,000부터★ 1+1 플로팅, 세미, 카본 낚시줄 행사 호수선택가능 / 택상 1+1 원줄, 목줄 행사
★3,000★ MAEK 맥 호래기 대바늘 호래기콕 J타입 (카본바디 2입)
★5,000★ 어부공방 NEW 호래전
★4,500★ 야마시타 SB 호래기 대바늘
★3,000★ 하야부사 6단 볼락 전갱이 카드채비 SD724 볼락채비
★1,000★볼락낚시에 최적인 메바트로볼 - 캐스팅볼, 메바볼