구산면 썬피싱 ㅡ 봄도다리 조황!
02월 19일(목)
인낚 현재접속자
3,030명 (
152
)
공지사항
인낚도서관
점주선장전용 공지사항
로그인
광고/제휴 문의
운영진에게
인낚ㅣ인터넷바다낚시
0
어종별선상
어종별갯바위
낚시인조황
점주선장조황
출조정보
낚시광장
낚시지식인
낚시교실
중고장터
휴게실
인낚도서관
인낚몰
0
어종별선상
4대돔 조황
먹물 조황
갈치 조황
볼락&전갱이
빅게임 지깅&파핑
외줄&외수질
기타 어종
어종별갯바위
4대돔 조황
먹물 조황
갈치 조황
볼락&전갱이
농어&삼치&방어&부시리
기타 어종
낚시인조황
낚시인 번개조황
낚시인조행기
스탭조행기
우리낚시동호회이야기
전국낚시동호회소개
동호회갤러리
지난 조황자료보기(년도별 조황 자료)
점주선장조황
전국 실시간 조황
선상(배)+좌대 조황
갯바위+방파제 조황
점주선장전용 공지사항
지난 조황자료보기(년도별 조황 자료)
출조정보
낚시인동행출조
점주선장 갯바위 출조
점주선장 선상출조
기상파고정보(기상청)
해상예보
물때표
파고예보(일본)
실시간해양관측예보
스마트조석예보
낚시광장
낚시계뉴스
대회 및 낚시관련 홍보
제품평가단
신상품소개
낚시지식인
Q&A 묻고 답하기
지식인 베스트
조황/포인트 문의
낚시용품 사용기
낚시투표
토론방
新어류도감
낚시교실
낚시기법소개
어종별 낚시교실
입문자교실
중급자교실
낚시용어사전
중고장터
중고장터 이용후기
더치트 사기피해 검색
팝니다
삽니다
교환합시다
무료로 드립니다
부품팝니다
부품삽니다
일반 생활용품 사고 팔기
휴게실
출석부
낚시갤러리
세상사는 이야기(자유게시판)
낚시이야기 마당
먹고사는 이야기
구인구직
칭찬합니다
어째이런일이
습득물 찾기
인낚도서관
인낚 유튜브
인낚 칼럼
블루, 그것이 알고싶다
더블테일의 두 눈으로 보는 세상
입질의추억의 피싱다이어리
나無의 바다 이야기
전문강좌
海巖의 바다낚시 이야기
이성규의 전유동낚시 강좌
조성민의 금요루어클럽
메인
어종별선상
어종별갯바위
낚시인조황
점주선장조황
출조정보
낚시광장
낚시지식인
낚시교실
중고장터
휴게실
인낚도서관
인낚몰
0
전국 실시간 조황
선상(배)+좌대 조황
갯바위+방파제 조황
점주선장전용 공지사항
지난 조황자료보기(년도별 조황 자료)
점주/선장 >
선상 + 좌대 조황
구산면 썬피싱 ㅡ 봄도다리 조황!
구산면썬피싱
0
79
02.18 14:46
● 출항지 : 마산
● 출조지 : 마산
● 출조인원 : 3~5명
네임
카드
구산면썬피싱
실시간 예약
홈페이지
밴드 바로가기
유튜브/SNS
[썬피싱 출조 안내]
※ 안전을 위한 기본 수칙 꼭 지켜주세요!
신분증 필수 지참
구명조끼 반드시 착용
음주 및 주류 반입 절대 금지
※ 위반 시 승선이 제한될 수 있습니다
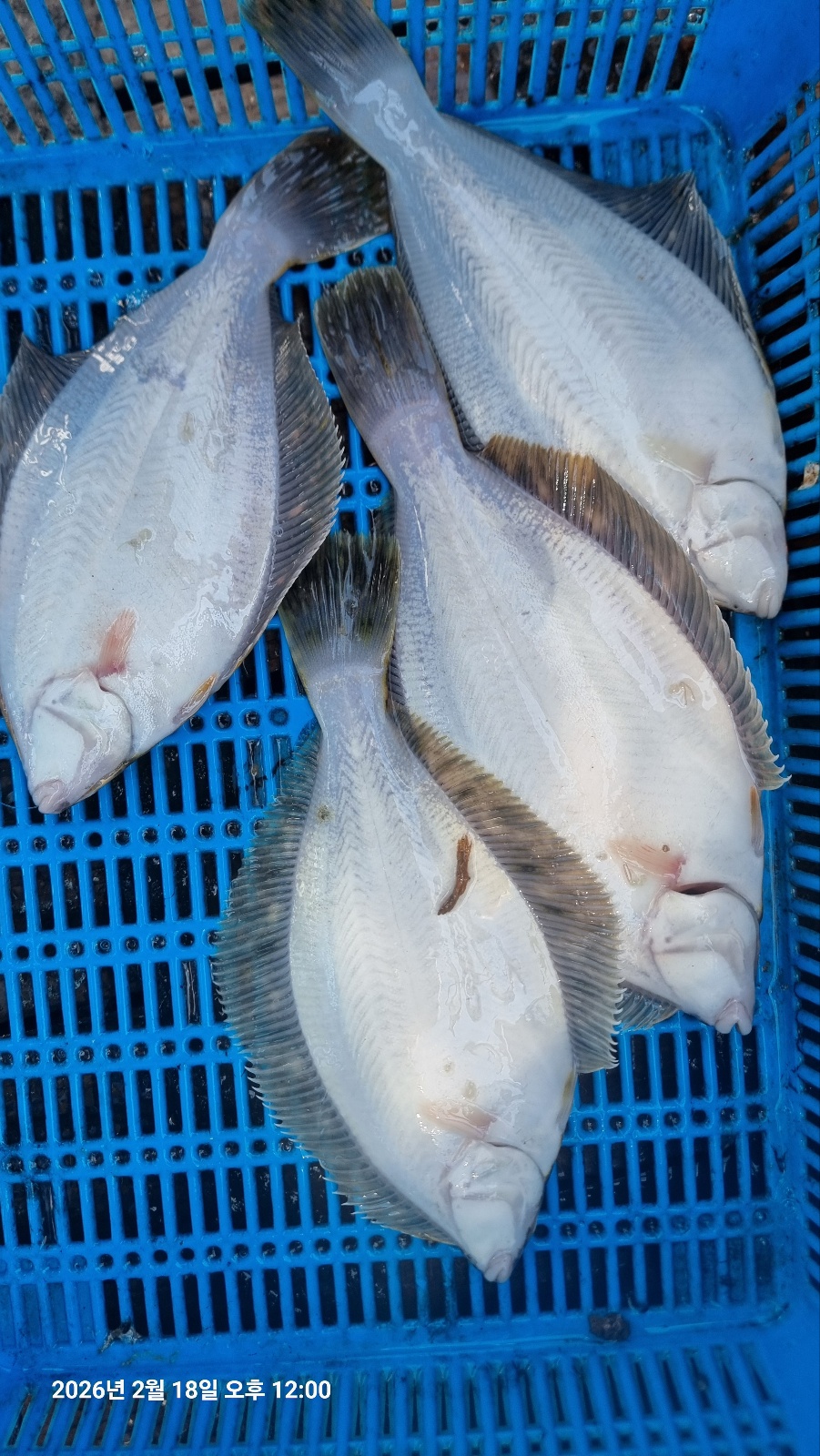
[오늘의 조황 소식]
도다리
출조인원 4명
오늘도 맛좋은 봄도다리 다녀왔습니다ㆍ
초반부터 쌍걸이 연속으로 올라와서 많은 조과 기대하였으나 조류가 바뀌어서부터 입질이 완전 저조하여 일찍철수하였습니다ㆍ
맛좋은 봄도다리 매일출조합니다ㆍ
자리는 완전넉넉합니다ㆍ출조연락부탁드립니다ㆍ
이번주 토요일인 예약완료되었습니다ㆍ
참고하시면합니다ㆍ
낚싯대도 반응이 제법들어오니 조금긴낚싯대 준비하시면 도움될것같 습니다ㆍ
오늘도 함께즐거운 시간보내주신 조사님들께 감사인사드립니다ㆍ
ㅡ감사합니다ㅡ
[출조 정보]
대상 어종
도다리
내만갈치
돌장어
돌문어
호래기
출조 시간
도다리 : 출항 오전 7시 ㅡ 입항 오후 12시 30분
내만갈치 · 돌장어 : 오후 6시 30분 출항 / 익일 새벽 1시 전후 입항
주간 돌문어 : 오전 6시 출항 / 오후 12시 30분 입항
호래기 : 오후 5시 30분 출항 / 익일 새벽 1시 전후 입항
요금
내만권 : 6만 원
고성 · 거제권 : 7만 원
[위치 및 예약]
위치
경남 창원시 마산합포구 구산면 반동리 611-6
(반동굴구이 지나서 두 번째 방파제)
예약 문의
: 010-2587-1506
밴드 안내
: https://band.us/band/9271028092710280
계좌 번호
: 농협 821072 52 046 049 진만석
예약금 안내
: 처음 오시는 조사님들은 예약금을 받고 예약을 확정합니다.
환불 규정
당일 취소 : 환불 불가
전날(출조 전일) 취소 : 50% 환불
2일 전 취소 : 100% 환불
기상 불량 및 선박 정비 시 : 100% 환불
0
신고
목록
0
댓글
로그인한 회원만 댓글 등록이 가능합니다.
×
Image Upload
로그인한 회원만 등록가능합니다.
포토
제목
이름
날짜
[통영] 통영비너스.....왕볼락.왕열기 목.금 기상좋아 출조합니다...…
출항지 : 통영 / 출조지 : 통영
통영비너스
19
02.18
통영비너스
02.18
[진해] (풍산)도다리! 배 터지게 먹고! 잡고! (예약가능)
출항지 : 진해 / 출조지 :
진해풍산호
47
02.18
진해풍산호
02.18
[진해] <주간도다리>&<야간낙지>목,금,토,일 예약가능
출항지 : 진해 / 출조지 :
썬플라워호10톤
39
02.18
썬플라워호10톤
02.18
[진해] 문어) 내일 원도권문어 예약가능(출항확정)~ 연락주세요~
출항지 : 진해 / 출조지 : 거제
진해제네시스호
57
02.18
진해제네시스호
02.18
[진해] 18일 조항.계속 K.K.K.Kg급으로 올라와 잡고온 원도권~…
출항지 : 진해 / 출조지 : 거제
성진피싱
29
02.18
성진피싱
02.18
[진해] 17일 야간낙지 왕낙지들 롱다리 쭉~쭉~!!(목,금,토,일 예약…
출항지 : 진해 / 출조지 : 진해
진해라코피싱
36
02.18
진해라코피싱
02.18
[진해] (선비 5 만원) 망태기 터지도록 야간~왕 낙지 잡으러 출조 갑…
출항지 : 진해 / 출조지 : 거제
성진피싱
63
02.18
성진피싱
02.18
[진해] 도다리 예약받습니다
출항지 : 진해 / 출조지 : 진해
필바다호
17
02.18
필바다호
02.18
[진해] [봄도다리]씨알급손맛에~ 푸짐한회밥상차림까지~!! 기깔납니다~!…
출항지 : 진해 / 출조지 :
진해매일호
64
02.18
진해매일호
02.18
[마산] [바다마을호] 감성돔 조황(2/15)
출항지 : 마산 / 출조지 : 마산
바다마을호
29
02.18
바다마을호
02.18
[거제] 감성돔 거제인성낚시 4짜외
출항지 : 거제 / 출조지 : 통영
거제인성낚시
33
02.18
거제인성낚시
02.18
[진해] 감성돔(흘림)~대물빅싸이즈!5짜와4짜!우당탕탕(일,월,화,수쭉~…
출항지 : 진해 / 출조지 : 거제
진해여명피싱
93
02.18
진해여명피싱
02.18
[마산] 설 당일 카고 감성돔 조항입니다
출항지 : 마산 / 출조지 : 거제
마산심리호야피싱
37
02.18
마산심리호야피싱
02.18
[진해] 16일 낮열기 조황~참돔타이 목,금,토~ 예약가능합니다
출항지 : 진해 / 출조지 :
진해김해낚시비타민
23
02.18
진해김해낚시비타민
02.18
[진해] "대물감성돔" 55짜5짜4짜외 제수 돌문어까지 성공~^^
출항지 : 진해 / 출조지 : 거제
창원사랑호
103
02.18
창원사랑호
02.18
초기화
날짜순
조회순
검색
1
2
3
4
5
Search
검색대상
제목
내용
제목+내용
회원아이디
회원아이디(댓글)
글쓴이
글쓴이(댓글)
또는
그리고
검색어
필수
검색
닫기
검색조건
제목
내용
제목+내용
회원아이디
회원아이디(코)
글쓴이
글쓴이(코)
검색어
또는
그리고
검색
인낚몰 초특가
★설특가 190,000★ 파직스 자동팽창식 구명의 PL-181+원줄+장갑
★설특가 99,000★ 디캡스 자동팽창식 구명복+원줄+장갑
★설특가 8,000부터★ ISF 바칸 삼나무 테이블
★설특가 4,000★ FF 블리츠 전자캐스팅볼 점등 점멸 + 구매수량만큼 425배터리 증정 / 4개단위로 구매시 케이스 증정
★설특가 12,000★ 티렉스 미니 일렉볼 + BR322 배터리 1개 증정
★설특가 6,000★ 티렉스 일렉트로볼 점등 점멸
★설특가 18,000부터★ 1+1 플로팅, 세미, 카본 낚시줄 행사 호수선택가능 / 택상 1+1 원줄, 목줄 행사
★3,000★ MAEK 맥 호래기 대바늘 호래기콕 J타입 (카본바디 2입)
★5,000★ 어부공방 NEW 호래전
★4,500★ 야마시타 SB 호래기 대바늘
★3,000★ 하야부사 6단 볼락 전갱이 카드채비 SD724 볼락채비
★1,000★볼락낚시에 최적인 메바트로볼 - 캐스팅볼, 메바볼