낚시뚜에서 인낚으로 보내는 자동조황
| |||||||||||||||||||
구룡포 미르호 문의 010-8580-5336
포항 남구 구룡포읍 병포길 75번길 20 농협 302-8580-533641 김경록 NAVER BAND 바로가기 CLICK ->>
| |||||||||||||||||||
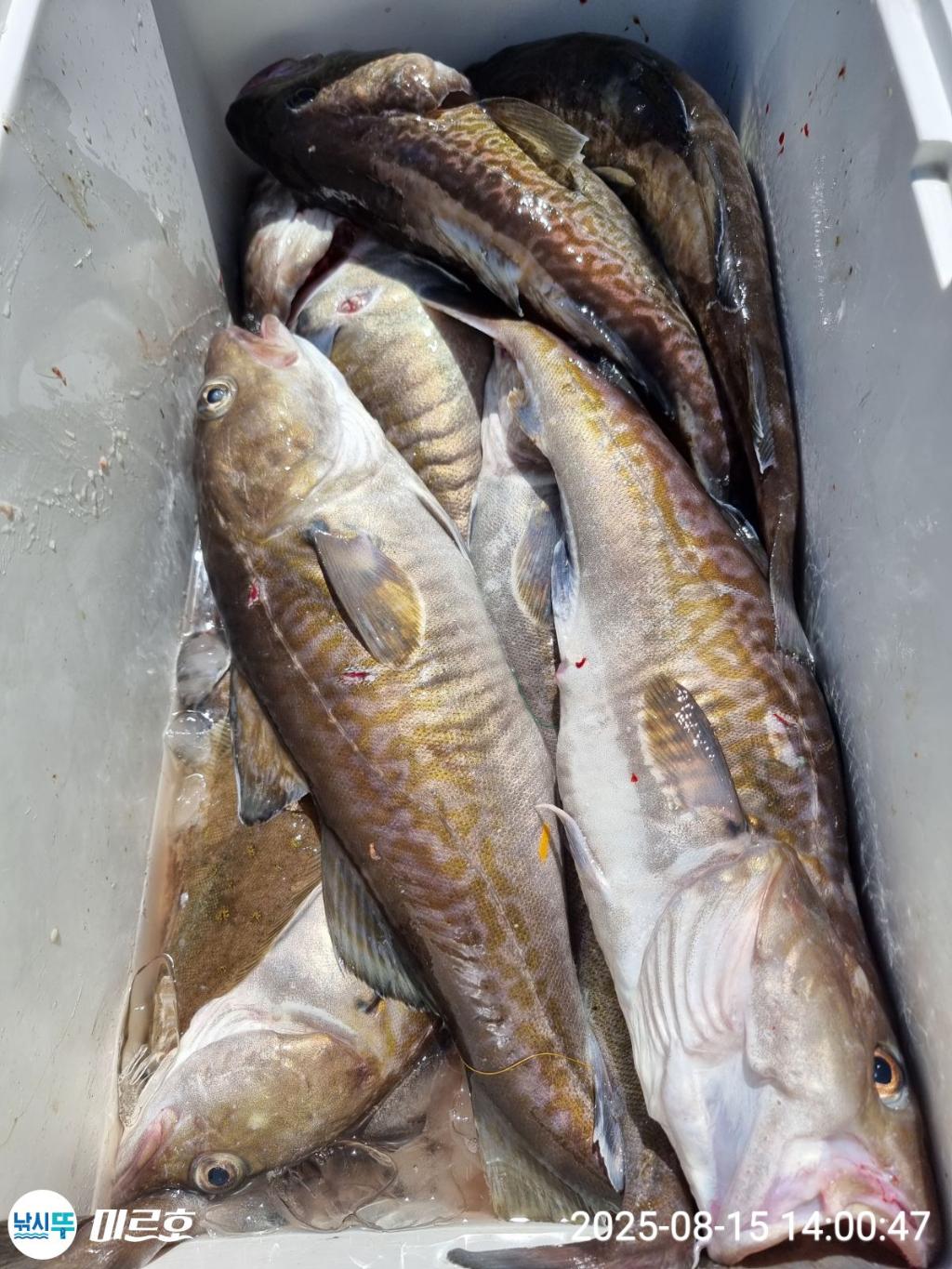
오늘 광복절 나라위해 일 하신분 제사상에 올릴 왕대구 준비 하러 출조 다녀 왔습니다. 내일도 출발 합니다. 언제든지 연락만주세요 16일 토요일 자리 많습니다. 17일 일요일 자리 많습니다. 차주 계속 자리 많습니다 . 연락만주세요 무료제공 ᆞ 얼음 커피 컵라면 시원한생수 간단 중식제공 | |||||||||||||||||||
![]() ![]() ![]() ![]() ![]() ![]() ![]() ![]() ![]() | |||||||||||||||||||
구룡포 미르호 문의 010-8580-5336
포항 남구 구룡포읍 병포길 75번길 20 농협 302-8580-533641 김경록 NAVER BAND 바로가기 CLICK ->> | |||||||||||||||||||
| |||||||||||||||||||
![]() |
|
|
|
|














