삼덕항 뜬방] 47.46.46.42.40.40 외 감성돔 마릿수 조황 입니다 ~~
01월 04일(일)
인낚 현재접속자
4,491명 (
306
)
공지사항
인낚도서관
점주선장전용 공지사항
로그인
광고/제휴 문의
운영진에게
인낚ㅣ인터넷바다낚시
0
어종별선상
어종별갯바위
낚시인조황
점주선장조황
출조정보
낚시광장
낚시지식인
낚시교실
중고장터
휴게실
인낚도서관
인낚몰
0
어종별선상
어종별 선상조황
4대돔 조황
먹물 조황
갈치 조황
볼락&전갱이
빅게임 지깅&파핑
외줄&외수질
기타 어종
어종별 갯바위조황
4대돔 조황
먹물 조황
갈치 조황
볼락&전갱이
농어&삼치&방어&부시리
기타 어종
어종별갯바위
어종별 선상조황
4대돔 조황
먹물 조황
갈치 조황
볼락&전갱이
빅게임 지깅&파핑
외줄&외수질
기타 어종
어종별 갯바위조황
4대돔 조황
먹물 조황
갈치 조황
볼락&전갱이
농어&삼치&방어&부시리
기타 어종
낚시인조황
낚시인 번개조황
낚시인조행기
스탭조행기
우리낚시동호회이야기
전국낚시동호회소개
동호회갤러리
지난 조황자료보기(년도별 조황 자료)
점주선장조황
전국 실시간 조황
선상(배)+좌대 조황
갯바위+방파제 조황
점주선장전용 공지사항
지난 조황자료보기(년도별 조황 자료)
출조정보
낚시인동행출조
점주선장 갯바위 출조
점주선장 선상출조
기상파고정보(기상청)
해상예보
물때표
파고예보(일본)
실시간해양관측예보
스마트조석예보
낚시광장
낚시계뉴스
대회 및 낚시관련 홍보
제품평가단
신상품소개
낚시지식인
Q&A 묻고 답하기
지식인 베스트
조황/포인트 문의
낚시용품 사용기
낚시투표
토론방
新어류도감
낚시교실
낚시기법소개
어종별 낚시교실
입문자교실
중급자교실
낚시용어사전
중고장터
중고장터 이용후기
더치트 사기피해 검색
팝니다
삽니다
교환합시다
무료로 드립니다
부품팝니다
부품삽니다
일반 생활용품 사고 팔기
휴게실
출석부
낚시갤러리
세상사는 이야기(자유게시판)
낚시이야기 마당
먹고사는 이야기
구인구직
칭찬합니다
어째이런일이
습득물 찾기
인낚도서관
인낚 유튜브
인낚 칼럼
블루, 그것이 알고싶다
더블테일의 두 눈으로 보는 세상
입질의추억의 피싱다이어리
나無의 바다 이야기
전문강좌
海巖의 바다낚시 이야기
이성규의 전유동낚시 강좌
조성민의 금요루어클럽
메인
어종별선상
어종별갯바위
낚시인조황
점주선장조황
출조정보
낚시광장
낚시지식인
낚시교실
중고장터
휴게실
인낚도서관
인낚몰
0
점주/선장 >
방파제 조황
☆ 공지사항 '조황등재시 유의사항' 게시글 필독
☆
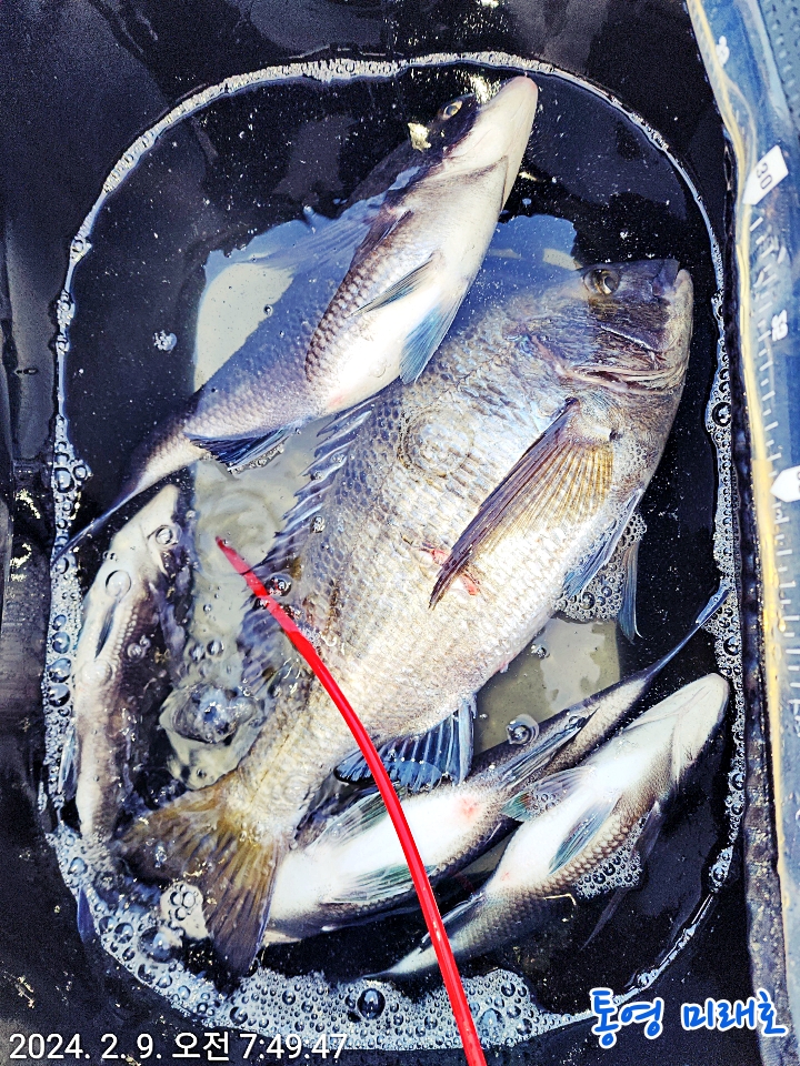
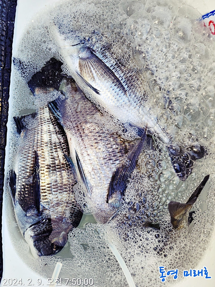
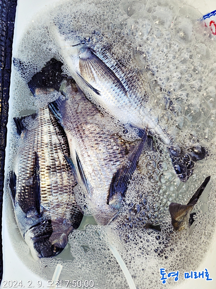
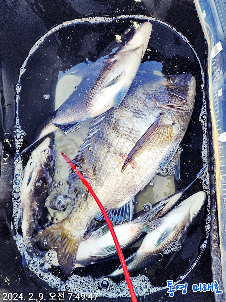
삼덕항 뜬방] 47.46.46.42.40.40 외 감성돔 마릿수 조황 입니다 ~~
통영미래낚시
0
550
2024.02.09 08:38
● 출항지 : 통영
● 출조인원 : 11~15명
안녕하세요~
미래호(통영 미래낚시)
입니다.
어제 출조하신 조사님들의 삼덕항 뜬 방파제
감성돔 조황으로 인사 드립니다.
4짜 중후반급 감성돔을 비롯해 마릿수의
감성돔으로 손맛 보시고 귀가 하셨습니다.
설연휴 기간 좋은 기상이 예보되어 있어
호조황은 계속 이어질거라 보여집니다.
오늘부터 이어지는 설연휴 기간에도
정상출항 하오니 참고 하시기 바랍니다.
잡어가 조금 있으니 출조시
경단,옥수수,혼무시등
대체미끼는
필수이니 이점 참고하시기 바랍니다.
어제 미래호를 찾아주신 조사님들께 진심으로
감사드리며 미래호는 아래 일정대로 계속해서
정상출항 하오니 출조계획 있으신 조사님들은
언제든지 문의 바랍니다.
※ 삼덕항 뜬방 출조안내 ※
매일 : 1항차 06시 ~ 07시
2항차 16시 ~ 17시
# 위 출조시간은 기본 정기출항 시간이며
계절이나 선장 출조 스케줄에 따라 출조시간이
변경될수 있으니 사전에 필히 선장과 통화후
출조시간을 예약하시기 바랍니다.
**********************************
※ 뜬방파제 출조의 장점 ※
-. 날씨의 영향을 거의 받지않고
주,야간..즐낚하실수 있습니다.
-. 삼덕항에서 최단거리(5분거리)위치하여
남녀노소 누구나 배멀미 걱정이 전혀 없습니다.
-. 저렴한 경비로서
바다낚시를 즐길수가 있습니다.
-. 가을,겨울엔 대물감성돔을...
봄,여름엔
마릿수 벵에돔 등...
계절에 따라서
다양한 어종들을 접할수가 있습니다.
-. 석축방파제이지만,
상단은 시멘트포장이므로
어느곳보다 안전하게
바다낚시를 즐기실수가 있습니다.
-. 간단한 의자를 준비하시면
신선낚시를 즐길수가 있습니다.
***********************************
※필 독※
철수10분전..쓰레기는
선장에게서 지급받은 종량제봉투에
반드시,철저히,수거하셔야됩니다.
0
신고
목록
글쓴이
4
0
Lv.1
통영미래호
점주선장
1,321 (13.2%)
반갑습니다 ~~ 통영 삼덕항에 위치한 미래호 입니다
10.17
삼덕항 뜬방] 감성돔 쏟아 집니다 ~~
10.16
삼덕항 뜬방] 감성돔,벵에돔 조황 입니다 ~~
10.13
삼덕항 뜬방] 5짜,4짜 감성돔 조황 입니다 ~~
10.12
삼덕항 뜬방] 감성돔 호조황은 계속 이어집니다 ~~
10.11
삼덕항 뜬방] 47.40.40.38 외 감성돔 마릿수 조황 입니다 ~~
0
댓글
로그인한 회원만 댓글 등록이 가능합니다.
×
Image Upload
로그인한 회원만 등록가능합니다.
포토
제목
이름
날짜
[울산] 8월11일 남구 장생포 동네낚시 떡전어 전갱이입니다
출항지 : 울산 / 출조지 :
장생포털보낚시
264
2024.08.12
장생포털보낚시
2024.08.12
[제주] 제주 뉴그린호(3호) 8월 10일 야간갈치 조황
출항지 : 제주 / 출조지 :
제주뉴그린
204
2024.08.11
제주뉴그린
2024.08.11
[경주] 감포바다 기상 및 조황정보
출항지 : 경주 / 출조지 :
감포동경주낚시
467
2024.08.11
감포동경주낚시
2024.08.11
[진해] 야간 백조기 오늘도 때가 되면 물어 주고 (일 월 화 예약가능)
출항지 : 진해 / 출조지 :
진해씨스타호
407
2024.08.11
진해씨스타호
2024.08.11
[영덕] 영덕권 벵에돔 마릿수 조황입니다.
출항지 : 영덕 / 출조지 :
영덕21c바다낚시
808
2024.08.10
영덕21c바다낚시
2024.08.10
[경주] 감포바다 기상 및 조황정보
출항지 : 경주 / 출조지 :
감포동경주낚시
384
2024.08.10
감포동경주낚시
2024.08.10
[울산] 8월9일 남구 장생포 동네낚시 떡전어입니다
출항지 : 울산 / 출조지 :
장생포털보낚시
214
2024.08.09
장생포털보낚시
2024.08.09
[경주] 감포바다 기상 및 조황정보
출항지 : 경주 / 출조지 :
감포동경주낚시
425
2024.08.09
감포동경주낚시
2024.08.09
[울산] 8월8일 남구 장생포 동네낚시입니다
출항지 : 울산 / 출조지 :
장생포털보낚시
202
2024.08.08
장생포털보낚시
2024.08.08
1
[통영] [삭제] 이용규정 위반
1
출항지 : 통영 / 출조지 :
통영블랙스타호
370
2024.08.08
통영블랙스타호
2024.08.08
[경주] 감포바다 기상 및 조황정보
출항지 : 경주 / 출조지 :
감포동경주낚시
366
2024.08.08
감포동경주낚시
2024.08.08
[울산] 8월7일 남구 장생포 동네낚시 전갱이입니다
출항지 : 울산 / 출조지 :
장생포털보낚시
337
2024.08.08
장생포털보낚시
2024.08.08
1
[군산] [삭제] 이용규정 위반
1
출항지 : 군산 / 출조지 :
군산대한낚시
130
2024.08.07
군산대한낚시
2024.08.07
[경주] 감포바다 기상 및 조황정보
출항지 : 경주 / 출조지 :
감포동경주낚시
374
2024.08.07
감포동경주낚시
2024.08.07
[울산] 8월6일 남구 장생포 야간 전갱이입니다
출항지 : 울산 / 출조지 :
장생포털보낚시
258
2024.08.07
장생포털보낚시
2024.08.07
초기화
날짜순
조회순
검색
26
27
28
29
30
Search
검색대상
제목
내용
제목+내용
회원아이디
회원아이디(댓글)
글쓴이
글쓴이(댓글)
또는
그리고
검색어
필수
검색
닫기
검색조건
제목
내용
제목+내용
회원아이디
회원아이디(코)
글쓴이
글쓴이(코)
검색어
또는
그리고
검색
인낚몰 초특가
★3,000★ 하야부사 6단 볼락 전갱이 카드채비 SD724 볼락채비
★1,000★볼락낚시에 최적인 메바트로볼 - 캐스팅볼, 메바볼
★13,000~★3NO 일본 오리지날 직수입 극강 멀티 무광 마크사 원줄
★500★ W쿠션 멀티 수중찌 M L - 전유동 반유동 끄심바리 필수품 수중쿠션
★5,900★ 여러개 있으면 아주 좋은 EVA 시스템 백
★ 1+1 플로팅, 세미, 카본 낚시줄 행사 호수선택가능 / 택상 1+1 원줄, 목줄 행사
★6,000★ 예민함의 끝판왕 애니원찌 벵에돔찌 학공치찌
★15,000★ 오동목 구멍찌 5개 + 메쉬 찌케이스 세트
★22만원★ 40W 집어등을 이 가격에!
★5,000★ 전층쿠션 15세트입 S / L 사이즈
★2,000★ 전층쿠션 5세트입 S / L 사이즈
★10,000 미니집어등5개 + 425배터리 1개 + 스토퍼고무 10개