오랜만에 인사드립니다
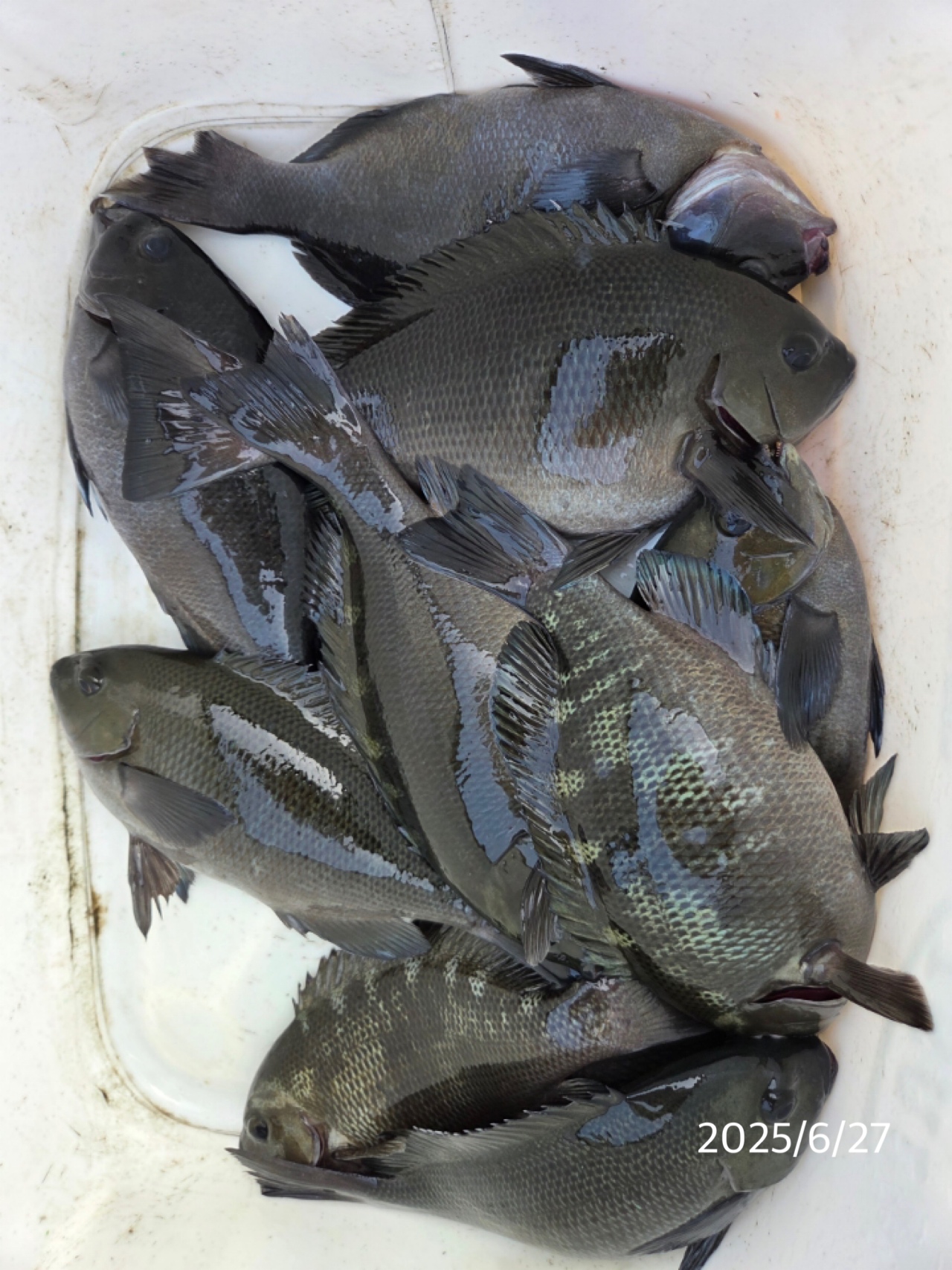
금일 서생권 방파제에서는
마릿수 벵에돔이 올라와
단골 조우님께서 손맛 보시고
소식 전해주셨네요
감사합니다 ^^
늘 안낚 즐낚 하시기 바랍니다
일광은파낚시 051-721-7898
일광은파낚시
로그인한 회원만 등록가능합니다.