하동대치좌대 조황
12월 24일(수)
인낚 현재접속자
4,487명 (
312
)
공지사항
인낚도서관
점주선장전용 공지사항
로그인
광고/제휴 문의
운영진에게
인낚ㅣ인터넷바다낚시
0
어종별선상
어종별갯바위
낚시인조황
점주선장조황
출조정보
낚시광장
낚시지식인
낚시교실
중고장터
휴게실
인낚도서관
인낚몰
0
어종별선상
어종별 선상조황
4대돔 조황
먹물 조황
갈치 조황
볼락&전갱이
빅게임 지깅&파핑
외줄&외수질
기타 어종
어종별 갯바위조황
4대돔 조황
먹물 조황
갈치 조황
볼락&전갱이
농어&삼치&방어&부시리
기타 어종
어종별갯바위
어종별 선상조황
4대돔 조황
먹물 조황
갈치 조황
볼락&전갱이
빅게임 지깅&파핑
외줄&외수질
기타 어종
어종별 갯바위조황
4대돔 조황
먹물 조황
갈치 조황
볼락&전갱이
농어&삼치&방어&부시리
기타 어종
낚시인조황
낚시인 번개조황
낚시인조행기
스탭조행기
우리낚시동호회이야기
전국낚시동호회소개
동호회갤러리
지난 조황자료보기(년도별 조황 자료)
점주선장조황
전국 실시간 조황
선상(배)+좌대 조황
갯바위+방파제 조황
점주선장전용 공지사항
지난 조황자료보기(년도별 조황 자료)
출조정보
낚시인동행출조
점주선장 갯바위 출조
점주선장 선상출조
기상파고정보(기상청)
해상예보
물때표
파고예보(일본)
실시간해양관측예보
스마트조석예보
낚시광장
낚시계뉴스
대회 및 낚시관련 홍보
제품평가단
신상품소개
낚시지식인
Q&A 묻고 답하기
지식인 베스트
조황/포인트 문의
낚시용품 사용기
낚시투표
토론방
新어류도감
낚시교실
낚시기법소개
어종별 낚시교실
입문자교실
중급자교실
낚시용어사전
중고장터
중고장터 이용후기
더치트 사기피해 검색
팝니다
삽니다
교환합시다
무료로 드립니다
부품팝니다
부품삽니다
일반 생활용품 사고 팔기
휴게실
출석부
낚시갤러리
세상사는 이야기(자유게시판)
낚시이야기 마당
먹고사는 이야기
구인구직
칭찬합니다
어째이런일이
습득물 찾기
인낚도서관
인낚 유튜브
인낚 칼럼
블루, 그것이 알고싶다
더블테일의 두 눈으로 보는 세상
입질의추억의 피싱다이어리
나無의 바다 이야기
전문강좌
海巖의 바다낚시 이야기
이성규의 전유동낚시 강좌
조성민의 금요루어클럽
메인
어종별선상
어종별갯바위
낚시인조황
점주선장조황
출조정보
낚시광장
낚시지식인
낚시교실
중고장터
휴게실
인낚도서관
인낚몰
0
점주/선장 >
좌대/유료터 조황
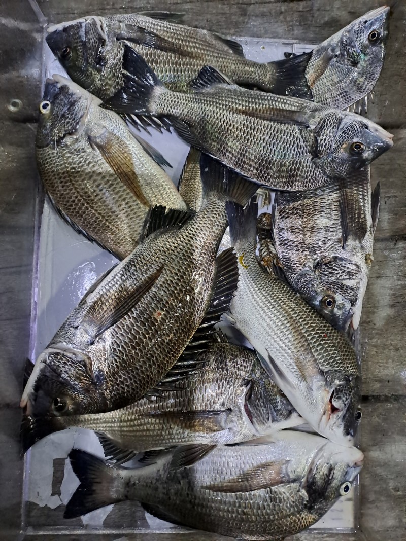
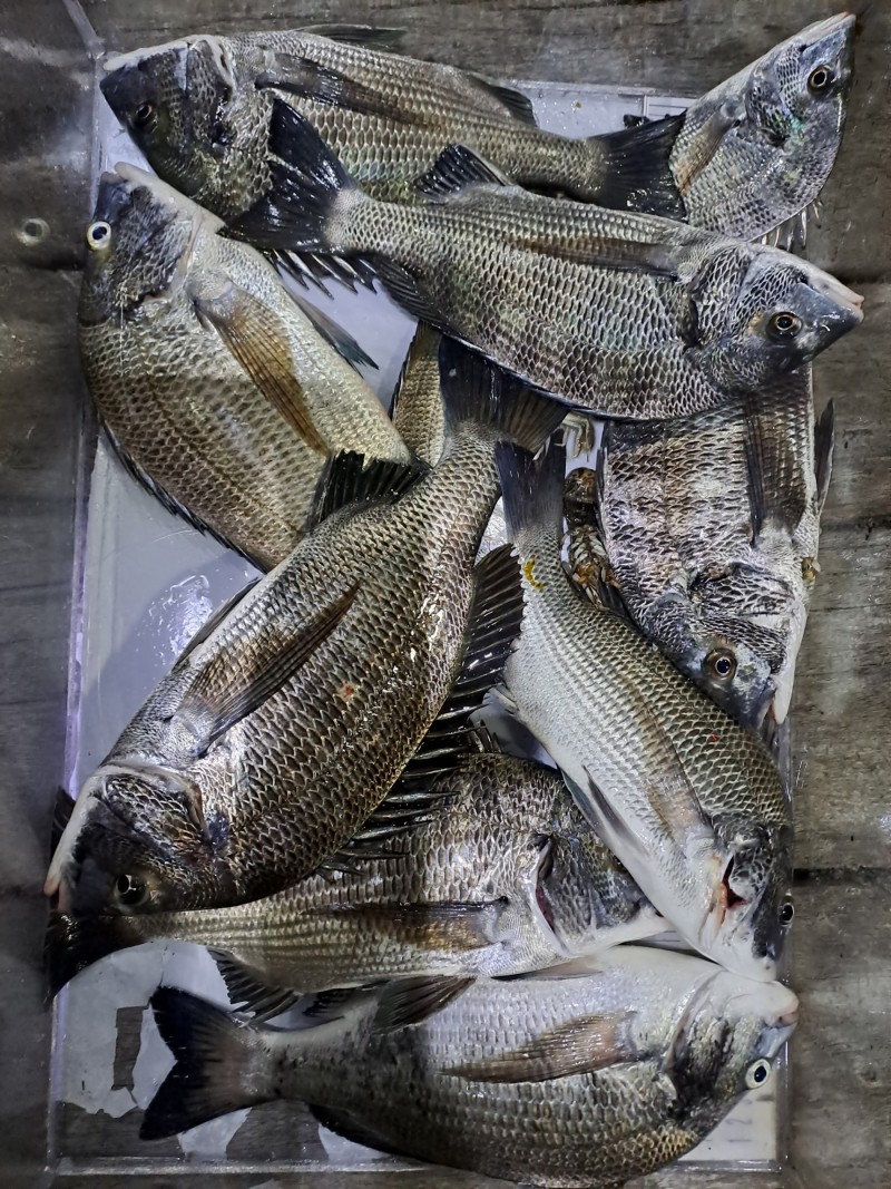
하동대치좌대 조황
하동대치좌대낚시터
0
911
2023.10.10 15:11
● 출항지 : 남해
● 출조인원 : 3~5명
안녕하세요 하동대치좌대 입니다
금일 조황 올려드립니다
0
신고
목록
글쓴이
1
2
Lv.1
하동대치좌대낚시터
점주선장
842 (8.4%)
하동대치낚시터입니다
12.24
쏨뱅이 선상조황
12.19
하동대치좌대 시즌마감 및 쏨벵이 선상낚시
12.10
하동대치좌대 조황 + 쏨벵이
12.08
하동대치좌대 조황 +쏨벵이
12.07
하동대치좌대 조황 +쏨벵이
0
댓글
로그인한 회원만 댓글 등록이 가능합니다.
×
Image Upload
로그인한 회원만 등록가능합니다.
포토
제목
이름
날짜
[거제] 감성돔에 쥐치 볼락 학꽁치등등 넉넉하게 올라오네요
출항지 : 거제 / 출조지 :
탑포바다사랑
685
2023.11.15
탑포바다사랑
2023.11.15
1
[거제] 뗏마(감성돔 초대박) 5짜 4짜 쏟아 졌습니다~가고파호 핫조황 …
1
출항지 : 거제 / 출조지 :
거제가고파
735
2023.11.15
거제가고파
2023.11.15
[사천] 이용시간 조정 / 삼천포 산분령 유료 낚시터 11/15 조황현황
출항지 : 사천 / 출조지 :
원양호
550
2023.11.15
원양호
2023.11.15
[남해] 하동대치좌대 조황
출항지 : 남해 / 출조지 :
하동대치좌대낚시터
496
2023.11.15
하동대치좌대낚시터
2023.11.15
[마산] [11/14 야간] 삼정해상낚시터 구산면 일대 #갈치 조황
출항지 : 마산 / 출조지 :
심리왔다낚시
523
2023.11.15
심리왔다낚시
2023.11.15
[사천] 삼천포 저도(딱섬)11월 14일조황 입니다
출항지 : 사천 / 출조지 :
저도좌대펜션
603
2023.11.14
저도좌대펜션
2023.11.14
[사천] 이용시간 조정 / 삼천포 산분령 유료 낚시터 11/14 조황현황
출항지 : 사천 / 출조지 :
원양호
506
2023.11.14
원양호
2023.11.14
[거제] 뗏마권(감성돔) 마리수 쏟아져요~거제 가고파호 핫조황(15일 예…
출항지 : 거제 / 출조지 :
거제가고파
423
2023.11.14
거제가고파
2023.11.14
[통영] 노대,욕지 좌대] 굵은 전갱이에 참돔까지 ~~ (주중,주말 예약…
출항지 : 통영 / 출조지 :
나드리2호
1022
2023.11.14
나드리2호
2023.11.14
[거제] 감성돔과뱅어돔 그리고 뽈락 등입니다^^
출항지 : 거제 / 출조지 :
탑포피싱리조트
494
2023.11.14
탑포피싱리조트
2023.11.14
[남해] 하동대치좌대 조황
출항지 : 남해 / 출조지 :
하동대치좌대낚시터
513
2023.11.14
하동대치좌대낚시터
2023.11.14
[사천] 삼천포 저도(딱섬)11월 13일조황 입니다
출항지 : 사천 / 출조지 :
저도좌대펜션
535
2023.11.13
저도좌대펜션
2023.11.13
[울산] 11월 13일 조황 소식입니다
출항지 : 울산 / 출조지 :
불샤크
156
2023.11.13
불샤크
2023.11.13
1
[거제] 뗏마권(감성돔) 빵좋은 녀석들 퍽~퍽~퍽~거제 가고파호 핫조황(…
1
출항지 : 거제 / 출조지 :
거제가고파
307
2023.11.13
거제가고파
2023.11.13
[사천] 이용시간 조정 / 삼천포 산분령 유료 낚시터 11/13 조황현황
출항지 : 사천 / 출조지 :
원양호
484
2023.11.13
원양호
2023.11.13
초기화
날짜순
조회순
검색
16
17
18
19
20
Search
검색대상
제목
내용
제목+내용
회원아이디
회원아이디(댓글)
글쓴이
글쓴이(댓글)
또는
그리고
검색어
필수
검색
닫기
검색조건
제목
내용
제목+내용
회원아이디
회원아이디(코)
글쓴이
글쓴이(코)
검색어
또는
그리고
검색
인낚몰 초특가
★3,000★ 하야부사 6단 볼락 전갱이 카드채비 SD724 볼락채비
★1,000★볼락낚시에 최적인 메바트로볼 - 캐스팅볼, 메바볼
★13,000~★3NO 일본 오리지날 직수입 극강 멀티 무광 마크사 원줄
★500★ W쿠션 멀티 수중찌 M L - 전유동 반유동 끄심바리 필수품 수중쿠션
★5,900★ 여러개 있으면 아주 좋은 EVA 시스템 백
★ 1+1 플로팅, 세미, 카본 낚시줄 행사 호수선택가능 / 택상 1+1 원줄, 목줄 행사
★6,000★ 예민함의 끝판왕 애니원찌 벵에돔찌 학공치찌
★15,000★ 오동목 구멍찌 5개 + 메쉬 찌케이스 세트
★22만원★ 40W 집어등을 이 가격에!
★5,000★ 전층쿠션 15세트입 S / L 사이즈
★2,000★ 전층쿠션 5세트입 S / L 사이즈
★10,000 미니집어등5개 + 425배터리 1개 + 스토퍼고무 10개