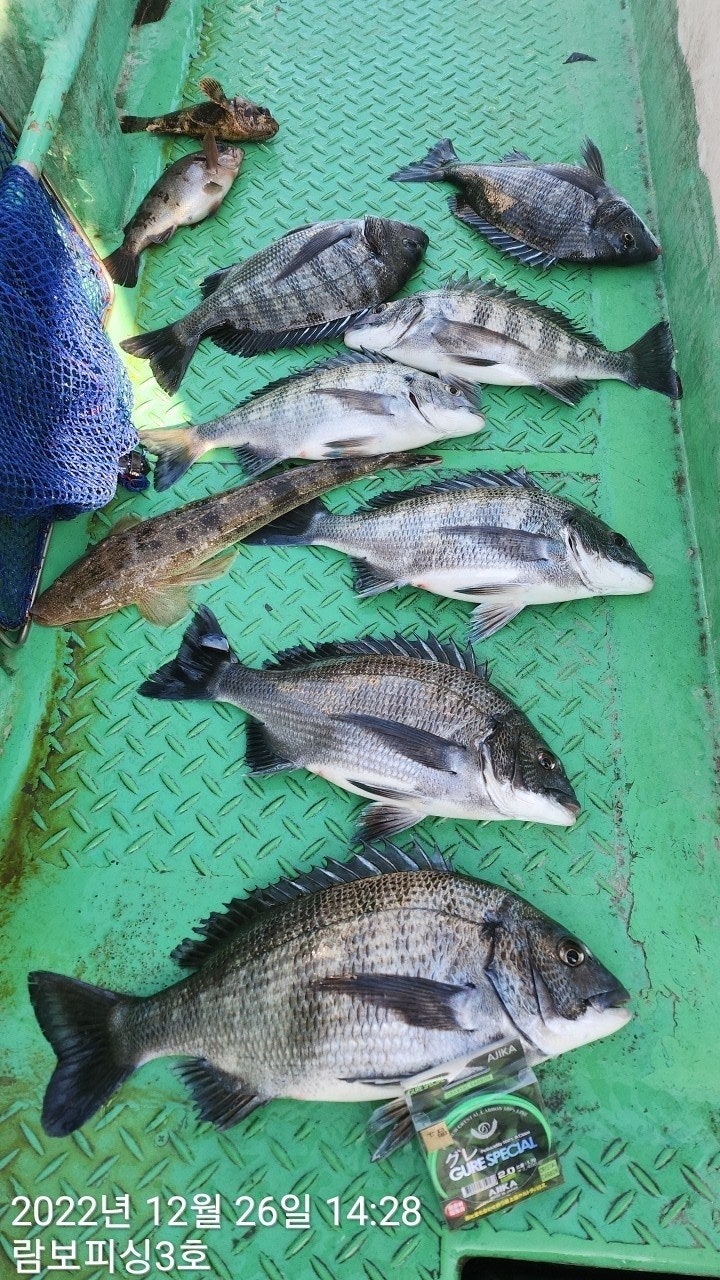
감성돔(수중 어초 흘림) 람보피싱 3호 조황 (예약가능)