네임
카드
카드
제일호
경남 거제시 사등면 청곡길
25-3
010-2522-6324
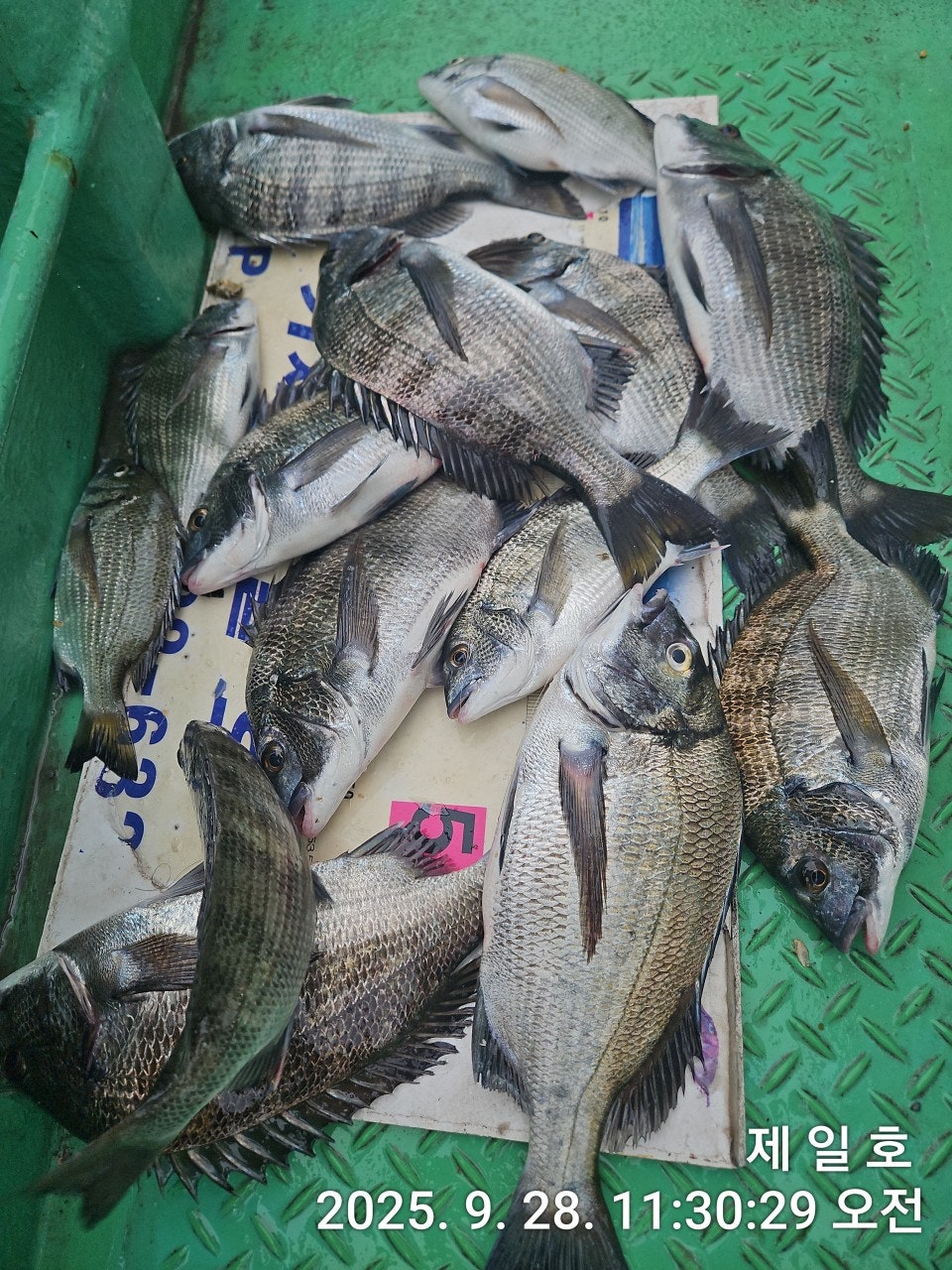
- 4대돔(감성돔,돌돔,참돔,벵에돔) 조황을 올리는 게시판입니다. 타 어종 등재시 예고없이 게시글 삭제 및 이용정지 됩니다. - 제목에 특수문자 사용하시면 안됩니다. (온점, 쉼표, 느낌표, 괄호, 물결만 허용) ☆ 공지사항에 조황등재시 유의사항을 꼭 확인하여 조황작성 부탁드리며, 가장 기본적인 규칙이 지켜지지 않을 시, 예고없이 삭제 및 이용정지 될 수 있음을 알려드립니다. |
![]() |
|
![]() |
![]() |
경남 거제시 사등면 청곡길
25-3









문어낚시, 문어, 문어조황, 거제도문어낚시, 문어낚시체험, 감성돔낚시, 어초낚시, 감성돔선상낚시, 거제도감성돔낚시, 거제배낚시, 거제감성돔, 감성돔흘림, 흘림낚시, 거제도감성돔출조, 감성돔출조, 남해감성돔, 감성돔선상흘림, 감성돔찌낚시, 릴찌낚시, 거제도제일호, 제일호, 감성돔낚시출조, 어초흘림낚시, 거제감성돔낚시, 감성돔, 감성돔채비, 감성돔전문, 거제제일호, 거제대교감성돔, 감성돔낚시추천, 감성돔배낚시, 돔낚시, 거제돔낚시, 감성돔조황, 거제도 조황
|
|
|
|





