지난조황 거제홍포
① 출 조 일 : 2016,12,17-18일
② 출 조 지 : 거제홍포
③ 출조 인원 : 2
④ 물 때 : 11-12물
⑤ 바다 상황 : 양호
⑥ 조황 요약 : 밤12시배로 출조 간간히 볼락이 물어주는 가운데
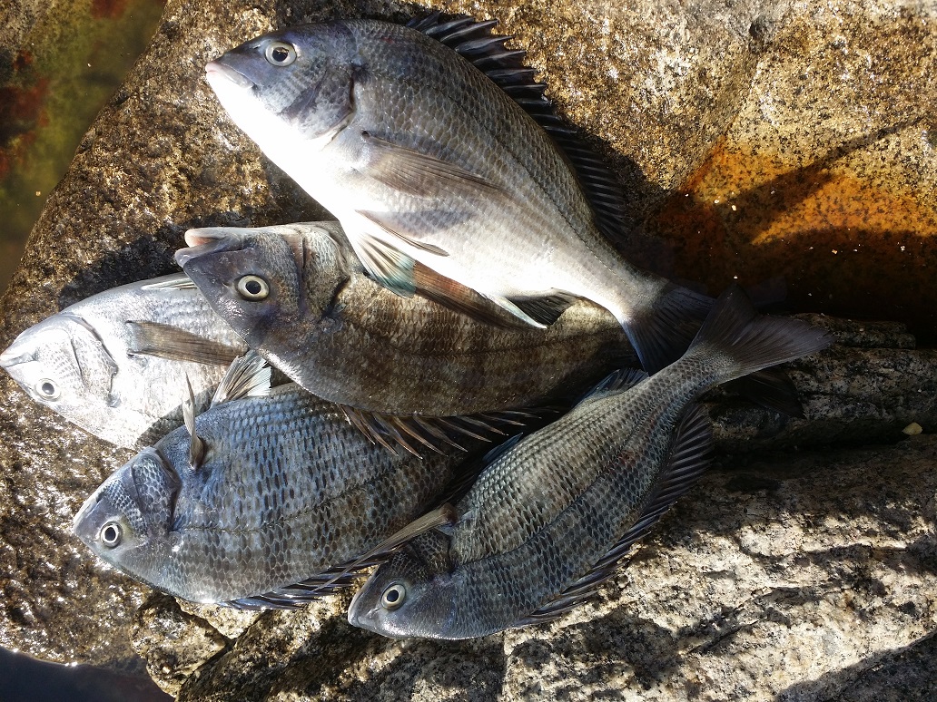
잡은 조과물
② 출 조 지 : 거제홍포
③ 출조 인원 : 2
④ 물 때 : 11-12물
⑤ 바다 상황 : 양호
⑥ 조황 요약 : 밤12시배로 출조 간간히 볼락이 물어주는 가운데
잡은 조과물

