포항영일만항 뜬방조황
① 출 조 일 :
② 출 조 지 :
③ 출조 인원 :
④ 물 때 :
⑤ 바다 상황 :
⑥ 조황 요약 :
안녕하세요ㆍ영일만항에 위치한 낚시꾼의집 등대낚시입니다
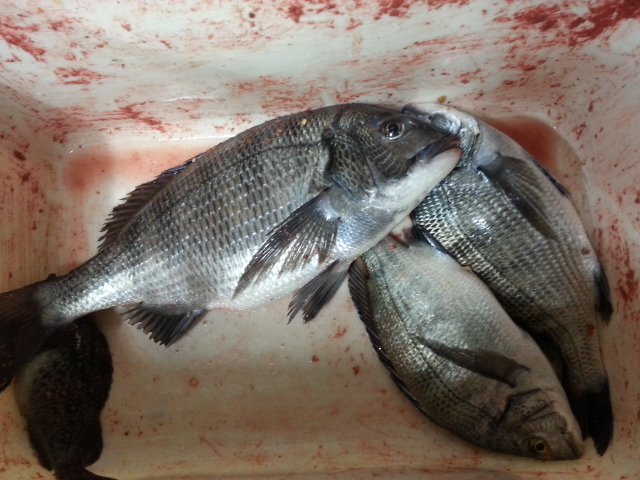
먼저 사진 조황은 어제 오후에 잡은 감성돔입니다
고등어 조황은 수온이 안정되는 오전에 활성도가 좋읍니다
고등어 손맛보실분은 07시까지 출조하세요
감성돔조황은 아직까지는 꾸준하게 나오고 있읍니다
오늘은 예보상 남서풍이 약하게 불며
낚시하기에는 좋은 바다상황 을 보이고 있읍니다
자세한 사항은 본점에 문의 하세요
조황문의 054ㅡ252ㅡ6474
010ㅡ3516ㅡ4429 등대낚시
② 출 조 지 :
③ 출조 인원 :
④ 물 때 :
⑤ 바다 상황 :
⑥ 조황 요약 :
안녕하세요ㆍ영일만항에 위치한 낚시꾼의집 등대낚시입니다
먼저 사진 조황은 어제 오후에 잡은 감성돔입니다
고등어 조황은 수온이 안정되는 오전에 활성도가 좋읍니다
고등어 손맛보실분은 07시까지 출조하세요
감성돔조황은 아직까지는 꾸준하게 나오고 있읍니다
오늘은 예보상 남서풍이 약하게 불며
낚시하기에는 좋은 바다상황 을 보이고 있읍니다
자세한 사항은 본점에 문의 하세요
조황문의 054ㅡ252ㅡ6474
010ㅡ3516ㅡ4429 등대낚시






