11월 28일 금요일 밤7시 출발 11월 30일 일요일 오전 철수(야영) 전남 초도로 감성돔 참돔 출조합니다
● 출발지: 부산 사상구 모라동
● 목적지: 전남 초도
● 대상어종:
● 비용: 문의
안녕하십니까^^
부산 사상구 모라동
갯바위 원도 출조
부산낙동낚시에서 갯바위 야영출조합니다
11월 28일 금요일 밤7시 출발
11월 30일 일요일 오전 철수(야영)
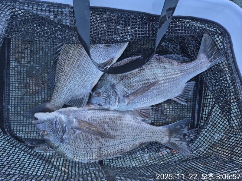
전남 초도로 감성돔 참돔 출조합니다
갯바위 출조에
손맛 같이 하실 조사님들께서는
빠르게 예약 부탁드립니다.
▶▶▶갯바위 출조 일정◀◀
※ 일시 :
☞ 11월 28일 금요일 밤7시 출발
11월 30일 일요일 오전 철수(야영)
※ 출조지 : 전남 초도
※ 어종 : 감성돔 참돔
※ 회비 : 비용문의
함께 하실 조사님들께서는 미리미리 예약부탁드립니다.^0^
※출조당일, 반드시 신분증지참, 구명조끼 착용 필수!!
★28 인승 리무진버스로 목적지까지 편안하게 모십니다 ★
마산 창원 내서 진주 조사님들도 픽업가능합니다 ^^**
*사전 안내 : 출조 시간은 변경 될 수 있습니다.
1층 부산 낙동낚시
24시간 친절상담 !!
개인/단체/동호회예약환영
기타 문의사항은 전화로 문의해주세요
친절히 답변 해 드립니다!!
****부산낙동낚시****





















