상태도,하태도 최고의 조황!! 연일 출항!!/가거도 수,목,금 2박 3일 출항합니다.
● 출발지: 서망항/목포항
● 목적지: 가거도,태도
● 대상어종:
● 비용: 목포신안낚시문의
안녕하세요!!
목포 신안 낚시 김평호입니다.
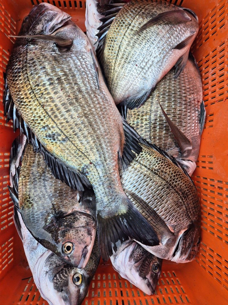
위 사진은 가거도 1구 섬 민박 임성인 선장님께서
오늘 감성돔과 돌돔 ,벵에돔소식 입니다.
가거도 또한 서서히 겨울 감성돔 시작을 알려주고 있네요!!
1) 상태도, 하태도
1. 7 ~ 9일 일,화,수 2박 3일
2. 8 ~ 10일 화,수,목 2박 3일
3. 10 ~ 12일 수,목,금 2박 3일
2) 가 거 도 출항합니다.
1. 10 ~ 12일 수,목,금 2박 3일
2, 15 ~ 17일 월,화,수 2박 3일
* 최소 10명 이상 출항 할려고 합니다.*
* 사전 예약 부탁 드립니다. *
예약 문의 :
목포 신안 낚시 : 010 - 4606 - 7041
목포 신안 낚시 김평호입니다.
위 사진은 가거도 1구 섬 민박 임성인 선장님께서
오늘 감성돔과 돌돔 ,벵에돔소식 입니다.
가거도 또한 서서히 겨울 감성돔 시작을 알려주고 있네요!!
1) 상태도, 하태도
1. 7 ~ 9일 일,화,수 2박 3일
2. 8 ~ 10일 화,수,목 2박 3일
3. 10 ~ 12일 수,목,금 2박 3일
2) 가 거 도 출항합니다.
1. 10 ~ 12일 수,목,금 2박 3일
2, 15 ~ 17일 월,화,수 2박 3일
* 최소 10명 이상 출항 할려고 합니다.*
* 사전 예약 부탁 드립니다. *
예약 문의 :
목포 신안 낚시 : 010 - 4606 - 7041



















