| ▶전국 각 지역을 기준으로 낚싯배 정보(소개글)를 올리는 공간입니다. ▶글 작성은 아이디 1개에 1개 가능합니다. ▶내용 수정은 자유로이 가능하며, 필요시 삭제하고 다시 소개글을 작성할 수 있습니다. |
[ 인사 & 소개글 ]
출조관련
출조선박 : 제이제이 피싱
┗ 22년식 신조선 (얀마엔진)
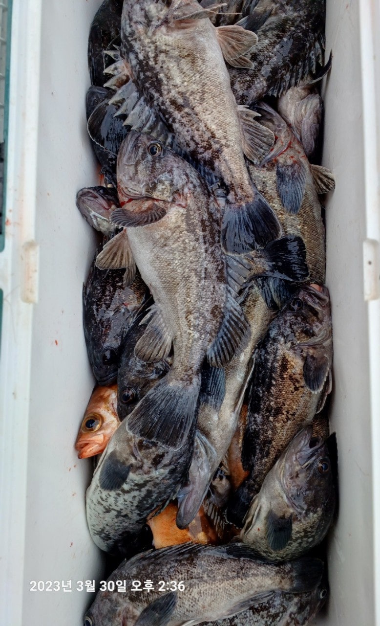
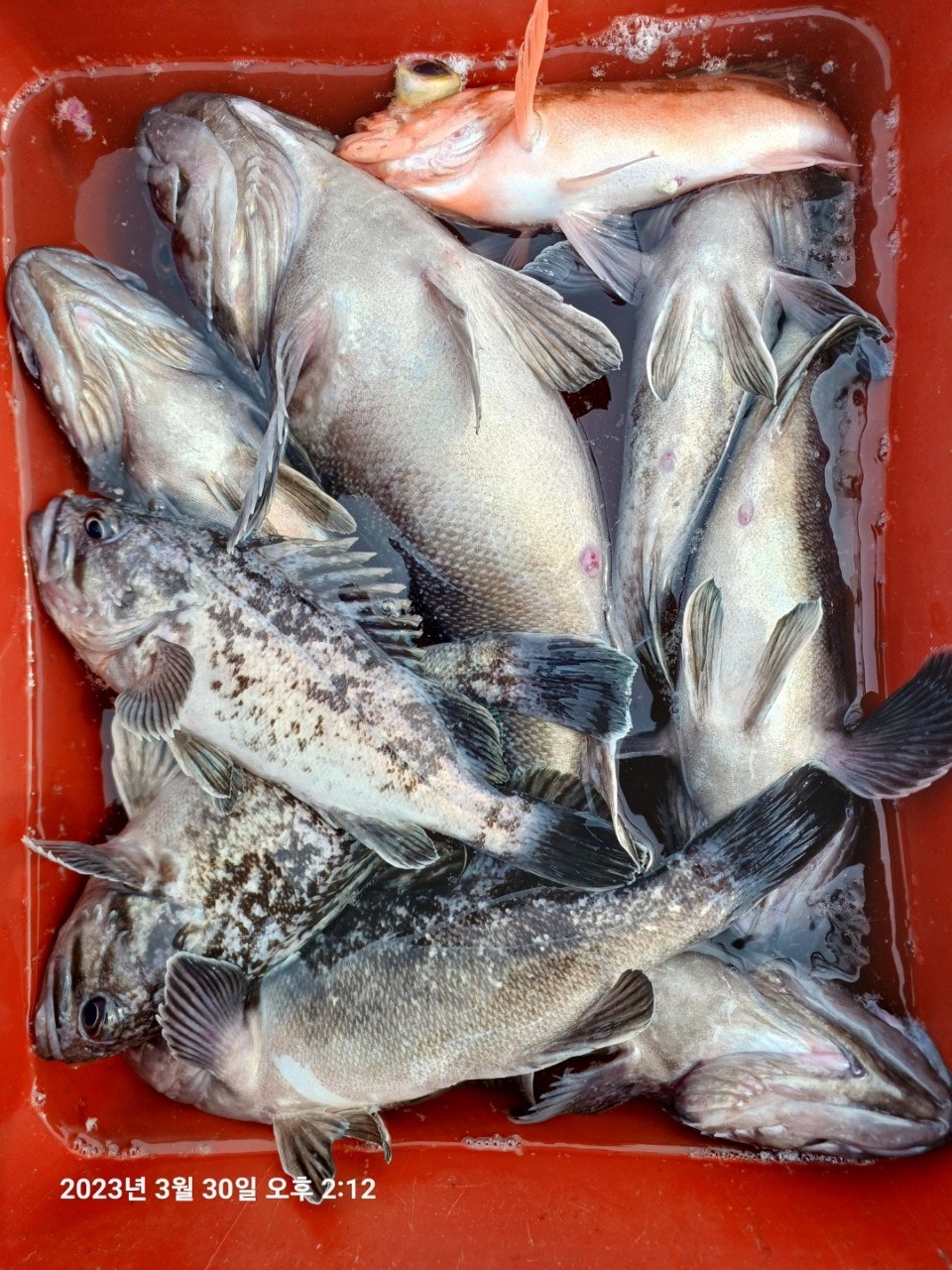
대상어종 : 왕우럭/왕열기/한치/갈치
┗ 갈치 5월 ~ 11월
갈치 금어기 7월은 한치
출발장소 : 진도 서망항
┗ 해경파출소 옆으로 배선착장
출조시간 : 일출/일몰 상황에 출조및입항
시간 변동이 있습니다.
┗ 갈치 출조시간은 오후2시 입항시간은 익일 오전7시 입니다.
┗ 우럭 열기 출조시간 오전3시 / 입항시간 오후6~7시
┗ 손님분들은 오전2시 30분까지 항에 도착해주세요.
자리배정 : 랜덤배정
┗ 단체분들은 한줄 배정해드립니다.
┗ 본인 확인을 위한 신분증 지참
준비물 : 개인지참
┗ 우럭준비물 : 6단 우럭채비 22호 바늘 , 봉돌120호 , 미끼 ,
┗ 열기준비물 : 10~20단 열기채비 17호 바늘 , 봉돌 120호 , 미끼 ,
┗ 갈치준비물 : 8~12단 갈치채비 , 개인칼 , 면장갑
지급품목
┗ 갈치 : 석식 , 야식 , 컵라면 , 생수 , 커피 등
┗ 우럭열기 : 중식 , 생수 , 커피 , 컵라면 등
--------------------------------------------
출조 문의 예약
카페 : http://jj.sunsang24.com/ship/info
┗ 예약 및 조황정보등 기재되어있습니다.
밴드 : https://band.us/band/86337796/album/total
┗ 예약 및 조황정보등 기재되어있습니다.
전화번호 : 010 - 5134 - 7572
010 - 4111 - 7572
갈치 / 우럭 / 열기 고정 출조점 모집합니다.
문의사항은 전화 주시면 됩니다.
|
|
































