한산도 감성돔 마리수

신상품 소개


회원 랭킹


공지사항


NaverBand
낚시인 > 번개조황

한산도 감성돔 마리수

26 카니발 19 3,088 2023.02.26 10:01
14 https://youtu.be/NhXnSc7M7Jw

 

안녕하세요
카니발
입니다..


벵에돔 수온이 다시 하락하여 한산도 감성돔 카고를 다녀 왔습니다..

최근에 한산도권에서 감성돔이 나온다고 하여 날씨가 좋지 않아도 출발 합니다..

오전에는 파도가 심해서 영상을 찍지 못하고 점심먹고 영상을 담아 봅니다..

183d2d588f2e3e7c48e61b89bdf9aef5_1677373012_878.jpg

 

오전에는 날씨가 좋지 않아도 입질을 하였는데 

오후에는 물이 빨라 재대로 낚시를 하지 못했네요..

오늘은 쏙과 옥수수 크릴로 낚시를 하였습니다..

183d2d588f2e3e7c48e61b89bdf9aef5_1677373175_4144.jpg

하나파워3봉 크릴 6개 보리 10봉으로 카고라 수심 20매타 바닥을 노리고 낚시를 하였습니다..

183d2d588f2e3e7c48e61b89bdf9aef5_1677373341_6806.jpg

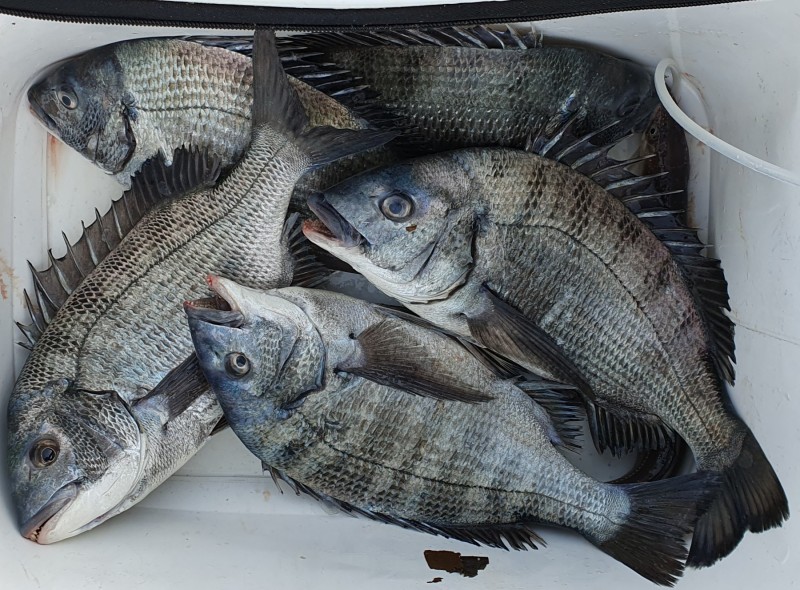
5마리 감성돔을 구경하고 왔네요..

183d2d588f2e3e7c48e61b89bdf9aef5_1677373387_4359.jpg
한마리 감성돔 양이 많네요..

이상 한산도 감성돔 입니다..


편광은 싹3님 편광 물속 3매타 벵순이 잘 보입니다..

진주 탑마트 안경원 입니다
눈도 편안하고요...

벵순이 부상하면 목줄 50센치 이내로 해보세요..
후회 안합니다..

바칸 기포기 가동시 발생하는 거품은 새우깡 3개만 넣어면

거품 발생을 방지하여 오래동안 벵순이 살릴수 있어요..

https://band.us/band/60895717







 

1

좋은 글이라고 생각되시면 "추천(좋아요)"을 눌러주세요!


  • 페이스북으로 보내기
  • 트위터로 보내기
  • 구글플러스로 보내기
  • 카카오스토리로 보내기
  • 네이버밴드로 보내기
  • 네이버로 보내기
  • 텀블러로 보내기
  • 핀터레스트로 보내기
19 댓글
32 멧돌이 23-02-26 11:51 0  
간만에 손맛 축하 드려요!!!!

축하합니다! 행운의 바늘에 당첨! 262점 적립되었습니다!

25 무쌍 23-02-26 12:28 0  
요즈음 시기.
귀한 감성돔을 마릿수로 잡으셨네요.
축하드립니다.
1 전방에감시 23-02-26 23:10 0  
대단하십니다, 카고도 한번 배워보고싶어지네요.
26 카니발 23-02-27 12:26 0  

감사합니다
즐거운 하루 보내세요

축하합니다! 행운의 바늘에 당첨! 392점 적립되었습니다!

2 소코바리 23-04-23 14:04 0  
새우깡3개 명심하겠습니다^^
잘보고갑니다~
 
포토 제목
 

인낚 최신글


인낚 최신댓글


온라인 문의 안내


월~금 : 9:00 ~ 18:00
토/일/공휴일 휴무
점심시간 : 12:00 ~ 13:00