여서도 타이라바 다녀 왔습니다

신상품 소개


회원 랭킹


공지사항


NaverBand
낚시인 > 번개조황

여서도 타이라바 다녀 왔습니다

26 카니발 13 1,044 2023.02.10 11:16

안녕하세요 

카니발입니다 


내만은 고기 구경하기 힘든시기라 거문도 타이라바 출조를 하였습니다  

거문도 수온이 뚝 떨어저 선장님이 여서도로 달리기 합니다

선비 14만윈 점심과 간식은 재공 합니다

4시간을 달려포인트 도착 바람이 좀 있네요 

d3928a002fbc08d0e4f57af7ae9fd9f6_1675994936_7384.jpg

수심 85매타  바람이 불어서 금방 100매타까지 타이가 날아 가네요

바닥에서 뿌띠만 물다가 

d3928a002fbc08d0e4f57af7ae9fd9f6_1675995049_0447.jpg
신발짝 갑오징어가 올라 옵니다

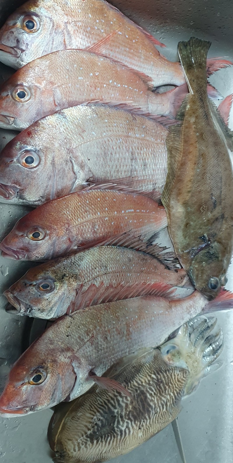
간혹 잡어도 나오고 4짜 참돔이 날물에 피딩도 오네요

d3928a002fbc08d0e4f57af7ae9fd9f6_1675995163_8312.jpg

큰씨아른 잡지 못하고 3짜 4짜급 마리수  구경하고 왔어요 

날씨가 좋지 않아 마리수는 하지 못하고 즐거운 하루  보내고 왔습니다 

d3928a002fbc08d0e4f57af7ae9fd9f6_1675995278_021.jpg
이상 타이라바 조황 입니다




편광은 싹3님 편광 물속 3매타 벵순이 잘 보입니다..

진주 탑마트 안경원 입니다
눈도 편안하고요...

벵순이 부상하면 목줄 50센치 이내로 해보세요..
후회 안합니다..

바칸 기포기 가동시 발생하는 거품은 새우깡 3개만 넣어면

거품 발생을 방지하여 오래동안 벵순이 살릴수 있어요..

https://band.us/band/60895717


0

좋은 글이라고 생각되시면 "추천(좋아요)"을 눌러주세요!


  • 페이스북으로 보내기
  • 트위터로 보내기
  • 구글플러스로 보내기
  • 카카오스토리로 보내기
  • 네이버밴드로 보내기
  • 네이버로 보내기
  • 텀블러로 보내기
  • 핀터레스트로 보내기
13 댓글
26 카니발 23-02-12 12:50 0  

감사합니다
씨알이 장난 아니네요
즐거운 하루 보내세요
25 게토레이 23-02-10 21:29 0  
손맛 입맛 먹방까지 축하드립니다
32 신속배달 23-02-11 08:02 0  
멋진 조항 축하드려요

축하합니다! 행운의 바늘에 당첨! 350점 적립되었습니다!

21 K무사시 23-02-13 00:47 0  
즐거운 손맛과 다양한 어종까지 굿입니다
배멀미 심한 저는 그냥 부럽기만ㅎ
32 멧돌이 23-02-13 08:05 0  
갑돌이 좋아하는데!!!!
2 제림여 23-02-13 18:34 0  
참돔사진 보니 참돔흘림이 하고싶네요
3월달은 되어야 될텐데요
손맛 축하드립니다
 
포토 제목
게시물이 없습니다.
 

인낚 최신글


인낚 최신댓글


온라인 문의 안내


월~금 : 9:00 ~ 18:00
토/일/공휴일 휴무
점심시간 : 12:00 ~ 13:00