동해남부권 냉수대속 벵에돔낚시.

신상품 소개


회원 랭킹


공지사항


NaverBand
낚시인 > 번개조황

동해남부권 냉수대속 벵에돔낚시.

50 꿈의사냥5짜 6 1,826 2024.05.15 12:00

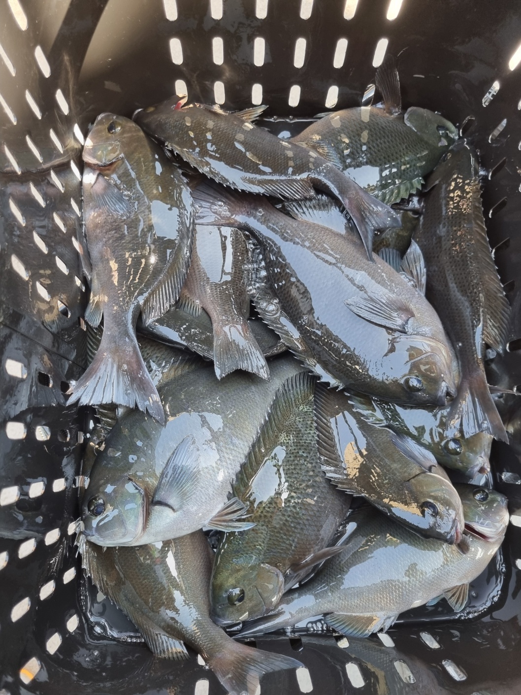
안녕하세요 꿈의사냥5짜 이천희 입니다.


어제  가까운 동네방파제로 벵에돔낚시 3분과 같이 다녀왔습니다.


이른아침 4-6m권 에서 30오버급 몇수가 나오더니


이후 잔챙이 20급들이 많이 부상하네요.


오후 남풍이 불더니 냉수대까지 들어옵니다.


오후 4시경 부터 5시사이 사이즈25-29사이 


잠시 2m권에서 후다닥 나오더니 상황 종료!


참 힘든 낚시였습니다.


날씨는 더운데 물속은 냉수대유입으로 바람이 시원하네요!


철수후 4마리만 챙기고 나눔하고


지인 밴드회원님들과  저희집에서  작년잡은 1.6kg 무늬오징어도


꺼내서 식사후. 해산하였습니다!



ps 이른아침시간 또는 해질녘 집중공략 하시는게


좋을듯 합니다!


냉수대가 있어야 큰사이즈를 낚을 확률이 높습니다.


냉수대가 지나가면 사이즈급 잡기가 더어려우니


참고하세요!



[밴드 초대]

★루이피싱★

https://band.us/n/aea40eG7W9rcL


0

좋은 글이라고 생각되시면 "추천(좋아요)"을 눌러주세요!


  • 페이스북으로 보내기
  • 트위터로 보내기
  • 구글플러스로 보내기
  • 카카오스토리로 보내기
  • 네이버밴드로 보내기
  • 네이버로 보내기
  • 텀블러로 보내기
  • 핀터레스트로 보내기
6 댓글
6 루크페리 24-05-16 09:46 1  
손맛 축하드립니다.^^

축하합니다! 행운의 바늘에 당첨! 35점 적립되었습니다!

50 꿈의사냥5짜 24-05-17 01:20 0  
감사합니다!
깨바즐낚 하세요!

축하합니다! 행운의 바늘에 당첨! 497점 적립되었습니다!

23 다이와MAN 24-05-17 12:11 1  
우아~
손맛보고 입맛까지
직이네요 ㅎㅎ
1 꼭햄 24-05-18 16:49 1  
축하합니다 저도 얼마전 1시간에 32급 3마리 연타로 잡았는데 그뒤론 고기가 없거나 잔챙이네요
 
b_hot_innakmall_200x80_240307.jpg b_hot_nios_200x80.gif b_hot_ggsusan_hongeu_160x100.gif b_hot_innakmall_200x80_211203.gif
포토 제목
 

인낚 최신글


인낚 최신댓글


온라인 문의 안내


월~금 : 9:00 ~ 18:00
토/일/공휴일 휴무
점심시간 : 12:00 ~ 13:00