사부님 스타일 벵에돔편^^

신상품 소개


회원 랭킹


공지사항


NaverBand
낚시인 > 번개조황

사부님 스타일 벵에돔편^^

2 벵에야까꿍 5 1,211 2022.05.28 15:10
27 https://youtu.be/H_hXiUFn2lo

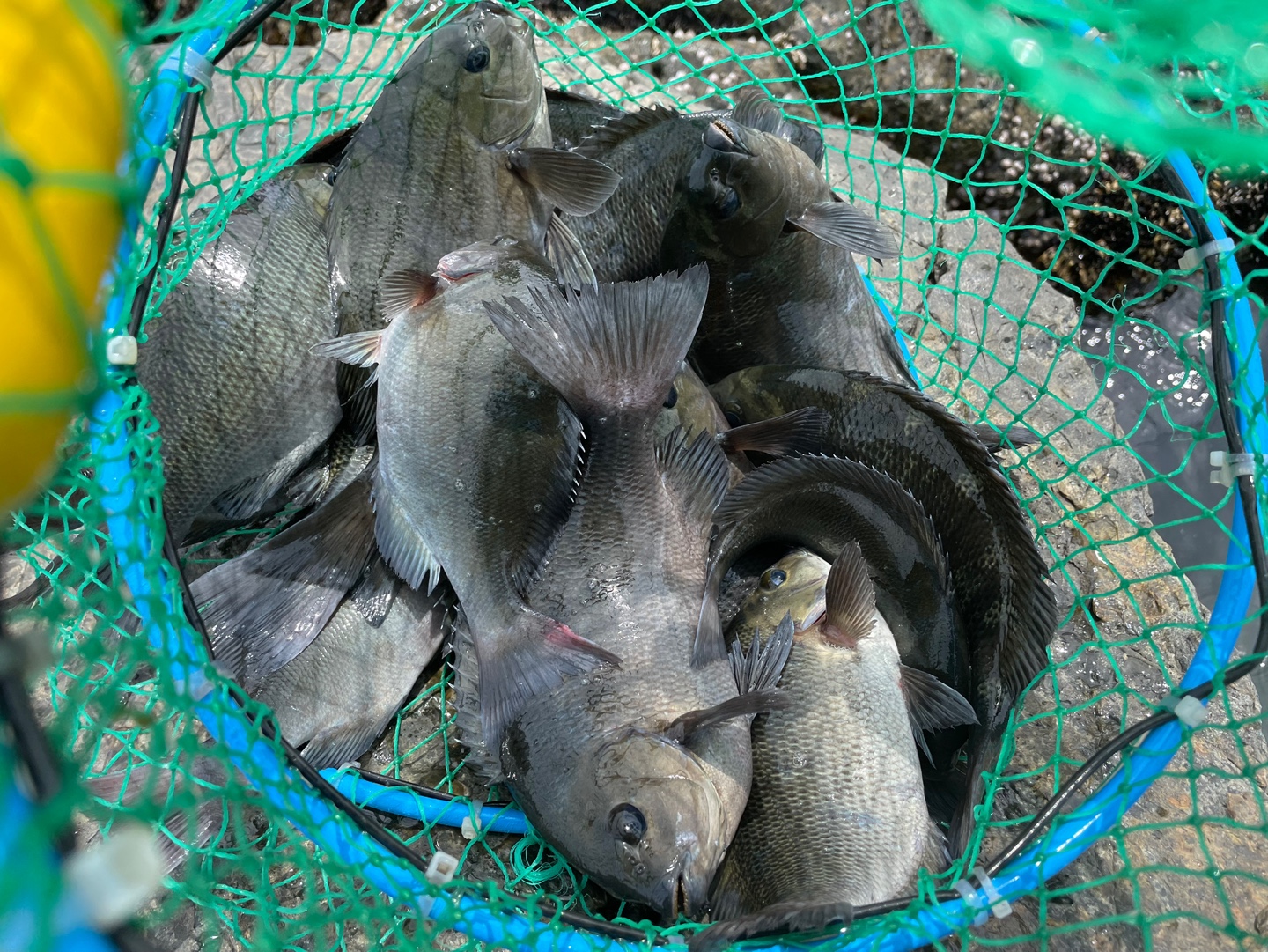
안녕하세요. 


오늘은 울산 도보권 갯바위 사부님 조황및 사부님 조과  알려 드릴까합니다.


미끼는 빵가루 쌍바늘 2단 잠수찌채비 랍니다.


바다위를 자리돔이 덮듯이 아가야 벵에돔들이 너무 극성으로 낮에는


힘든 낚시를 하시고 해창이 되야지 30전후 급들이 설치기 시작하면


아가야들은 빠지는 모습이였습니다 ^^  낮에도 30전후급들이 있지만


아가야 벵에돔 밑에서 놀다보니 아가야 피하는게 쉽지가 않습니다~


채비를 알고 계시는 분들도 계실수있지만 


사부님은 원줄이나,목줄에 좁살봉돌을 달지않으시고


다른것으로 다른방법으로 사용하고 계신답니다.


저또한 그렇구요 채비는 다음차에 상세 설명드리고


울산 동구권 벵에돔 소식 전해드리며 물러납니다.


다들 손맛보시고 안전이 최고 입니다.


감사합니다^^

1

좋은 글이라고 생각되시면 "추천(좋아요)"을 눌러주세요!


  • 페이스북으로 보내기
  • 트위터로 보내기
  • 구글플러스로 보내기
  • 카카오스토리로 보내기
  • 네이버밴드로 보내기
  • 네이버로 보내기
  • 텀블러로 보내기
  • 핀터레스트로 보내기
5 댓글
1 호떡쒸 22-05-29 09:58 0  

축하합니다! 행운의 바늘에 당첨! 423점 적립되었습니다!

32 장해 22-05-29 20:14 0  
         
 
포토 제목
 

인낚 최신글


인낚 최신댓글


온라인 문의 안내


월~금 : 9:00 ~ 18:00
토/일/공휴일 휴무
점심시간 : 12:00 ~ 13:00