11월 17일 여수 금오열도의 대부도로 낚시를 다녀왔다.
낚싯배를 타고 가려다가 비렁길 여행을 하고 싶다는 회사후배가 있어 백야도에서 여객선을 타고 가기로 했다.
난 낚시하고 후배는 비렁길 걷고, 또다른 후배는 갑오징어 낚시를 한다고 했다.

백야도에서 첫배가 7시 20분이다.
개도를 들리고, 금오도까지 40분 소요된다.
평일이라 관광객들이 없어 객실은 텅텅 비어서 간다.
.
비렁길 걷는다는 후배는 직포에서 장지마을까지 6시간을 걷는다는데, 그길을 다 걷고 우리 낚시하는 대부도까지 걸어왔으니
무려 7시간 이상을 걸었다고 한다.
군대에서 행군하는 것도 아니고 ㅎㅎㅎ

약 9시 30분이 되어서야 첫 캐스팅을 하였다.
오늘 낚시는 날물에는 감성돔 낚시를 하고, 들물엔 벵에돔 낚시를 할 생각이었다.

이곳은 대부도 방파제 위에 위치한 갯바위다.
유료 낚시터 조성을 위해 서고지와 대부도를 연결하는 교각을 만들었기에 도보로 갈수 있다.
다만 길이가 상당하여 짐을 카트에 실어 날라야 한다. 그러나 이것도 유료낚시터 허가가 떨어지면 요금을 낸 유료터만 갈수 있다고 한다.
.
어느정도 밑밥이 쌓인 11시경부터 입질이 이어진다. 첫고기는 랜딩중 바늘이 빠지는 사고가 ㅠ.ㅠ
이날 조류가 쎄지 않아 입질이 약은건지, 2단 입질을 하는 경우가 많았다. 심지어 농어도 그런 입질을 하였다.
또한 이상하게도 잡어가 없어 크릴로만 낚시를 했다.
갑오징어 낚시를 한다던 후배가 사진과 동영상을 찍어 줘서 내가 주인공이 되는 조행기가 나오게 되었다. ㅎㅎ
.
주구장창 벵에돔 낚시만 하다가 감성돔 손맛을 보니 감성돔의 초반 힘이 천하장사였다.

3짜 초중반들의 고기가 뭔 힘을 그렇게나 쓰는지, 꾸~~욱~~~~꾹 하는 당찬 감성돔의 손맛을 오랜만에 느낄수 있었다.

간조가 되니 수심이 5미터 정도.
12시경 점심을 먹고 난 후 부터 입질이 집중되었다.

50 중반의 나이가 되니 체력이 딸린다.
하루종일 서서 낚시하는 것이 쉽지 않다. 쉬엄쉬엄해야 하는데, 막상 집중해서 낚시하다보니 쉬엄쉬엄이 없다.
때문에 낚시 다녀온 날은 밤에 시체가 되어 잠을 잔다.
이날도 민박집에서 누운지 1분도 안되어 곯아 떨어졌다고 한다.

오후 1시 30분경, 잠깐 딴짓하는 사이 낚싯대를 확 가져가는강력한 입질을 받았다.
여태껏 한번도 경험해 보지 못한 파워에 이건 못 먹겠구나 라는 생각을 하였다.
어떻게든 버텨보자고 스스로에게 용기를 주며 낚싯대를 두손으로 받치고 버틴다.
엘비를 줘야 한다는 생각은 하였으나 수심이 깊지 않아, 줄을 주면 갯바위에 원줄이나 목줄이 쓸릴 것으로 생각되어, 스플을 조금 풀어 주기로 하였다. 스플을 두바퀴정도 풀어주는데 낚싯대가 힘없이 펴진다.
아 ~~~~ 내 인생고기가 날아 갔구나.
좀전에 바닥을 걸어 채비를 회수하기 위해 스플을 꽉 잠가 놓았던 것이 이런 낭패를 볼줄이야. ㅠ.ㅠ
고기를 걸었을때 여뿌리를 피하기 위해 왼쪽으로 이동해서 버텼으면 어땠을까? 라는 자책도 들고......,
고기 걸어서 터진 일이 한두번이 아닌데도 이날 터진것은 두고두고 생각 많이 날 듯 하다.
숭어 7짜 걸었다고 생각하라는 후배의 말에 그렇게 생각하자고 접어두긴 했어도 정말 아쉽다.

그 뒤로 입질은 계속 이어진다.
오전까진 한 마리도 나오지 않던 감생이가 오후에 되니, 벵에돔을 포함하여 짧은 시간에 많이도 낚았다.

오후 3시부터는 방파제 앞에 낮은자리라고 부르는 포인트로 옮겨서 빵가루로 벵에돔 낚시를 해 보았다.
밑밥 한 주걱에 까맣게 몰려드는 독가시치가 엄청나다.
먹을 만큼 잡았으니 4시 30분경 미련없이 철수를 결정하였다.

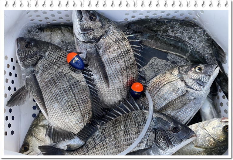
감성돔 4마리, 벵에 1마리. 농어 9마리를 잡았다.
민박집 앞의 빠지에서 고기 손질하며, 주변에서 낚시하는 어르신들한테 회 떠 드시라고 나눔도 하였다.

감성돔 몇 마리 회 떠 놓으니 한상 푸짐하다.
김밥에 단촛물 찍어서 감성돔 한 점 올려 놓고 소주 한 잔 목구멍으로 넘기면
캬~~~~ 이 맛에 낚시하고 즐기는 거지, 인생 뭐 있나~~~~ 라는 생각이

아쉬움을 뒤로 하고 일상으로 복귀
이젠 계절상 벵에돔을 보내 줘야 하는 것인지, 본 시즌을 맞이한 제주도로 가야 하는지......,