동해안 감성돔 시즌 시작

회원랭킹(월 글등록)


공지사항


NaverBand
낚시인 > 조행기

동해안 감성돔 시즌 시작

3 피싱온더비치 3 1,762 2023.02.10 09:54
31 https://m.blog.naver.com/syj7344

fcc67a230e3ea482c6e29ad736e2cdcd_1675990361_5857.jpg



fcc67a230e3ea482c6e29ad736e2cdcd_1675990363_4734.jpg


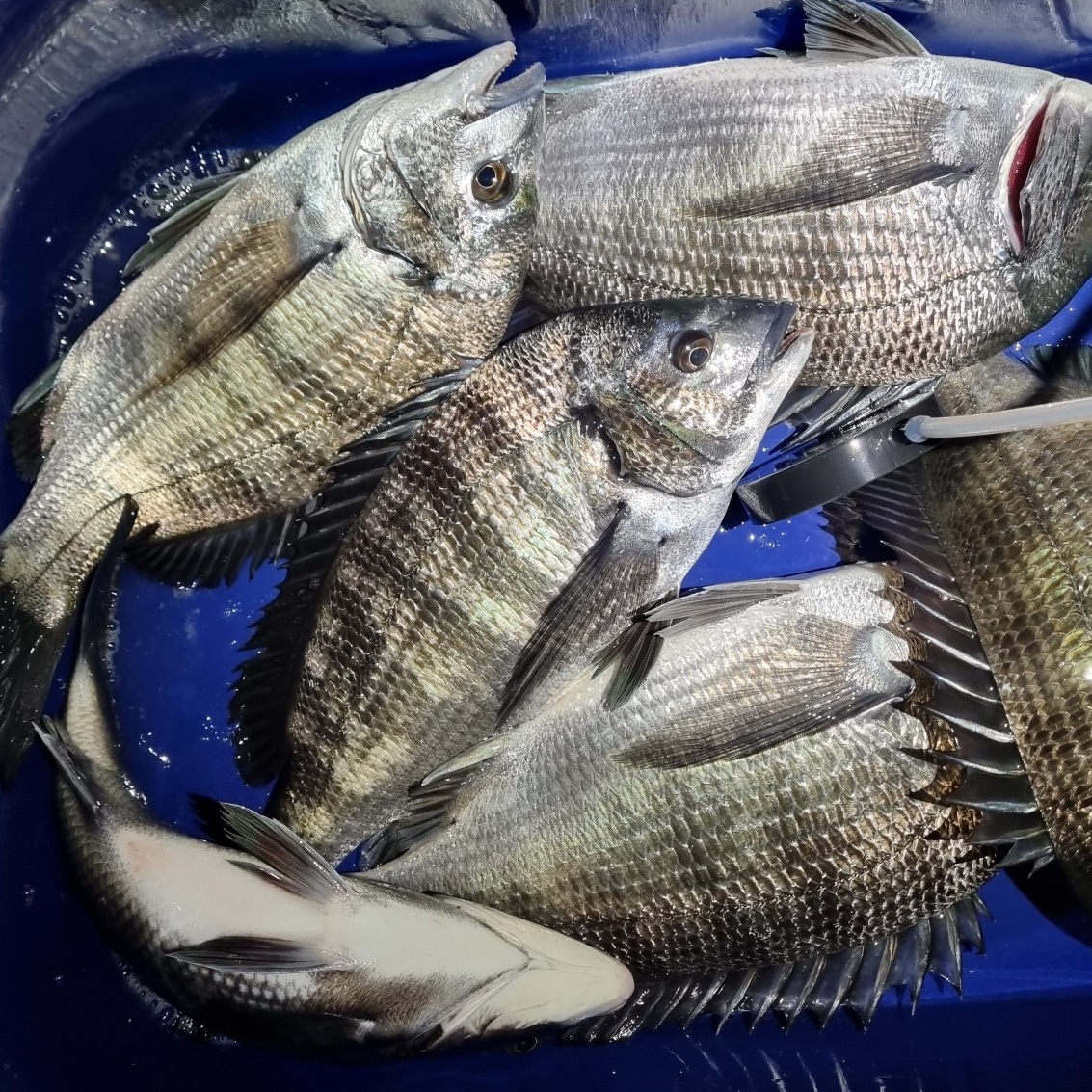
안녕하세요 인낚회원분들


요즘 동해안 감성돔이 제법 나오는거 같아 정보드립니다


조행기는 블로그 들어오시면 볼수 있습니다


좋은 하루 되세요



https://m.blog.naver.com/syj7344

3

좋은 글이라고 생각되시면 "추천(좋아요)"을 눌러주세요!


  • 페이스북으로 보내기
  • 트위터로 보내기
  • 구글플러스로 보내기
  • 카카오스토리로 보내기
  • 네이버밴드로 보내기
  • 네이버로 보내기
  • 텀블러로 보내기
  • 핀터레스트로 보내기
3 댓글
 
포토 제목
 

인낚 최신글


인낚 최신댓글


온라인 문의 안내


월~금 : 9:00 ~ 18:00
토/일/공휴일 휴무
점심시간 : 12:00 ~ 13:00