가족 여행도 너무 좋아 보입니다.
즐감하고 갑니다.
수고하셨습니다. ^^
축하합니다! 행운의 바늘에 당첨! 463점 적립되었습니다!
예전에는 명절에 할아버지, 할머니 찾아뵈러 몇 시간 씩 다니고 했는데, 요즘은 미리 찾아 뵙거나 전화로 인사 드리는 경우가 많아졌네요.
다른 방식이긴 해도 명절에 가족들과 함께 한다면 장소가 굳이 중요하지 않다는 생각이 들었습니다. 가족들도 다들 좋아했고요 ^^
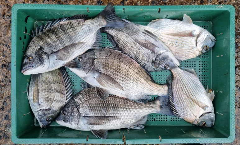
명절 대목을 노리는 뻥치기만 아니었다면 추자도 조황이 더 좋았을 텐데......전통 어업 방식이긴 해도 아쉬운 부분이 남는 건 어쩔 수가 없네요. 수온이 바닥을 치고 올라가는 3월이 되면 조금 나아졌으면 좋겠습니다.
즐거운 한 주 보내시기 바랍니다. 항상 소중한 댓글 남겨주셔서 감사합니다!


































