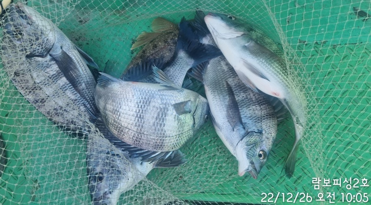
감성돔 어초흘림 실시간 활성도 좋구요 람보피싱2호 조황 27일 예약

신상품 소개


회원 랭킹


공지사항


NaverBand
점주/선장 > 가장 빠른!!  실시간 조황

감성돔 어초흘림 실시간 활성도 좋구요 람보피싱2호 조황 27일 예약

람보피싱2호 1 122 2022.12.26 10:55
거제도 감성돔낚시와 참돔 선상낚시 전문출조점 람보피싱 2호입니다.
오랜만에 일조량이 충분한 기상상태, 봄날같은 따스함도 느껴 질 정도입니다.
새벽보다는 아침시간대 조류가 서서히 움직이기 시작하면서 4짜급까지 마릿수
손맛이 이어지고 있습니다. 주중 물때와 조류, 바람방향이 좋아 대물감성돔을
물론, 마릿수도 기대를 해 볼만한 환경이 수중어초권에 조성되고 있습니다.
람보피싱은 가장 승율높은
자연 어초권을 전문적으로 출조합니다.

▦ 자연 어초권 감성돔 & 먼바다 참돔낚시 일정 안내 ▦
★ 27일 (화) 어초권 감성돔낚시 & 먼바다 참돔낚시 전문 "예약가능"
★ 28일 (수) 어초권 감성돔낚시 & 먼바다 참돔낚시 전문 "예약가능"
★ 29일 (목) 어초권 감성돔낚시 & 먼바다 참돔낚시 전문 "예약가능"
★ 30일 (금) 어초권 감성돔낚시 & 먼바다 참돔낚시 전문 "예약가능"
★ 31일 (토) 어초권 감성돔낚시 & 먼바다 참돔낚시 전문 "예약가능"
- 금요일/토요일/일요일 주말 예약은 서둘러 예약해주세요

▦ 람보피싱
(출조 문의) ☎010.8387.0331 (부재시) ☎010.9046.1156
(출항지/주소) 경남 거제시 거제면 법동리 1056번지
0

좋은 글이라고 생각되시면 "추천(좋아요)"을 눌러주세요!


, , , , , , , , , , , , , , , , , , , , , , , , , , , , , ,

  • 페이스북으로 보내기
  • 트위터로 보내기
  • 구글플러스로 보내기
  • 카카오스토리로 보내기
  • 네이버밴드로 보내기
  • 네이버로 보내기
  • 텀블러로 보내기
  • 핀터레스트로 보내기
1 댓글
람보피싱2호 22-12-26 10:55 0  
27일 감성돔낚시 예약가능합니다. 감사합니다.
 
b_hot_innakmall_200x80_240307.jpg b_hot_nios_200x80.gif b_hot_ggsusan_hongeu_160x100.gif b_hot_innakmall_200x80_211203.gif
포토 제목
 

인낚 최신글


인낚 최신댓글


온라인 문의 안내


월~금 : 9:00 ~ 18:00
토/일/공휴일 휴무
점심시간 : 12:00 ~ 13:00