간달프호 감성돔 흘림) 실시간 4짜4짜4짜4짜
인낚ㅣ인터넷바다낚시
어종별선상
어종별갯바위
낚시인조황
점주선장조황
출조정보
낚시광장
낚시지식인
낚시교실
중고장터
휴게실
인낚도서관
인낚몰
0
홈
어종별선상
어종별갯바위
낚시인조황
점주선장조황
출조정보
낚시광장
낚시지식인
낚시교실
중고장터
휴게실
인낚도서관
인낚몰
어종별선상
어종별갯바위
낚시인조황
점주선장조황
출조정보
낚시광장
낚시지식인
낚시교실
중고장터
휴게실
인낚도서관
인낚몰
어종별선상
어종별 선상조황
4대돔 조황
먹물 조황
갈치 조황
볼락&전갱이
빅게임 지깅&파핑
외줄&외수질
기타 어종
어종별 갯바위조황
4대돔 조황
먹물 조황
갈치 조황
볼락&전갱이
농어&삼치&방어&부시리
기타 어종
어종별갯바위
어종별 선상조황
4대돔 조황
먹물 조황
갈치 조황
볼락&전갱이
빅게임 지깅&파핑
외줄&외수질
기타 어종
어종별 갯바위조황
4대돔 조황
먹물 조황
갈치 조황
볼락&전갱이
농어&삼치&방어&부시리
기타 어종
낚시인조황
낚시인 번개조황
낚시인조행기
스탭조행기
우리낚시동호회이야기
전국낚시동호회소개
동호회갤러리
지난 조황자료보기(년도별 조황 자료)
점주선장조황
전국 실시간 조황
선상(배)+좌대 조황
갯바위+방파제 조황
점주선장전용 공지사항
지난 조황자료보기(년도별 조황 자료)
출조정보
낚시인동행출조
점주선장 갯바위 출조
점주선장 선상출조
기상파고정보(기상청)
해상예보
물때표
파고예보(일본)
실시간해양관측예보
스마트조석예보
낚시광장
낚시계뉴스
대회 및 낚시관련 홍보
제품평가단
신상품소개
낚시지식인
Q&A 묻고 답하기
지식인 베스트
조황/포인트 문의
낚시용품 사용기
낚시투표
토론방
新어류도감
낚시교실
낚시기법소개
어종별 낚시교실
입문자교실
중급자교실
낚시용어사전
중고장터
중고장터 이용후기
더치트 사기피해 검색
팝니다
삽니다
교환합시다
무료로 드립니다
부품팝니다
부품삽니다
일반 생활용품 사고 팔기
휴게실
출석부
낚시갤러리
세상사는 이야기(자유게시판)
낚시이야기 마당
먹고사는 이야기
구인구직
칭찬합니다
어째이런일이
습득물 찾기
인낚도서관
인낚 유튜브
인낚 칼럼
블루, 그것이 알고싶다
더블테일의 두 눈으로 보는 세상
입질의추억의 피싱다이어리
나無의 바다 이야기
전문강좌
海巖의 바다낚시 이야기
이성규의 전유동낚시 강좌
조성민의 금요루어클럽
인낚몰
홈소개
공지사항
자주 묻는 질문
운영진에게
광고/제휴문의
로그인
자동로그인
회원가입
|
정보찾기
점주선장조황
전국 실시간 조황
선상(배)+좌대 조황
갯바위+방파제 조황
점주선장전용 공지사항
지난 조황자료보기(년도별 조황 자료)
신상품 소개
낚시고 미장구레 VIP 대본류 벵에돔 파우더
낚시고 위력 벵에돔 파우더
천류 카모 피싱백
천류 레자 피싱백
zzis 찌스 전자기울찌 호리존탈 전유동전용 출시!
ZZIS 찌스 다이브 에이 (Dive-A) 전자 캐스팅볼 숏타입 출시!
회원 랭킹
27
1
마루미르
15
2
가덕천성진양좌대
14
3
오또다
14
4
긴꼬리벵에돔55
13
5
포항대박이
12
6
울트
11
7
감시밥줄
11
8
카데바
11
9
쌩기똥기
10
10
백곰
10
11
앵그리정
9
12
아나구릉
9
13
페드로
9
14
오사마리
9
15
여조사
9
16
짱규
9
17
새벽물때
8
18
4계절벵에
8
19
띠조
8
20
아직들물안됐나
8
21
부시리우스2022
8
22
6짜긴꼬리
8
23
시그니처latte
8
24
진해숭어
8
25
사하주민
8
26
김갈치
8
27
타짜감시
8
28
레이아빠
8
29
전생엔검사
7
30
이무시라
7
31
추풍령졸음쉼터
7
32
PROKILLER
7
33
망상어전문
7
34
락찌
7
35
김열정
7
36
감시야
7
37
일벌백계
7
38
옥자몽
7
39
번영
7
40
배부르면졸림
7
41
모카사랑해
6
42
낚시김
6
43
감시마을
6
44
단영
6
45
시작하는채비와장비
6
46
감성사자
6
47
낚시가좋아1100
6
48
검은바다
6
49
간다이형
6
50
신용대
6
51
큰아범
6
52
낑깔라
6
53
복사초등대
6
54
김해장유아디다스
6
55
도선사
6
56
짱가아
6
57
최리무진
6
58
거제그놈
6
59
푸푸헐
5
60
헤리티지
5
61
거제꾼님
5
62
emfjaj
5
63
남해동부물공
5
64
나무사랑쫑
5
65
지누50
5
66
사냥꾼끝판대장
5
67
풍낚TV
5
68
경성피스톨
5
69
용궁의추억
5
70
Nike1972
5
71
Vora
5
72
구을비도
5
73
상석바위
5
74
꽝의기운
5
75
그래서그대는
5
76
윈드스토퍼
5
77
센바주루
5
78
흙운
5
79
요리하는아빠
5
80
닉초이
5
81
헛탕만
5
82
안녕감시야
5
83
리시안
5
84
잡아젖문가
5
85
칼리또
5
86
미니미래
5
87
행주
5
88
리치망고제주
5
89
무릅고배이
5
90
감생이냉장고
5
91
잡어바글바글
5
92
노화도에산다
5
93
플레져
5
94
dudtnr
4
95
원투꾼89
4
96
하쿠샘
4
97
감시좀도
4
98
겨울감시기
4
99
거제최강피싱
4
100
나돔
공지사항
09.01
★ 2025년 9월 5일 사이트 리뉴얼 오픈 안내
06.09
★ "Connect Error: No such file or directory" 에러가 발생시
05.29
★ 카이퍼넷 방화벽 차단시 설정방법
07.03
★ 사이트 정상운영 ★ 24.07.03
06.19
★ 사이트 정상운영 ★ 24.06.19
06.17
★ 사이트 정상운영 ★
06.14
★ 서비스 일시정지 - 서버이전작업 ★
07.14
★ 112차 제품평가단 위촉 명단 발표
07.07
★ 112차 제품평가단모집 - 1차
11.01
★ 111차 제품평가단 위촉 명단 발표
점주/선장 > 가장 빠른!!
실시간 조황
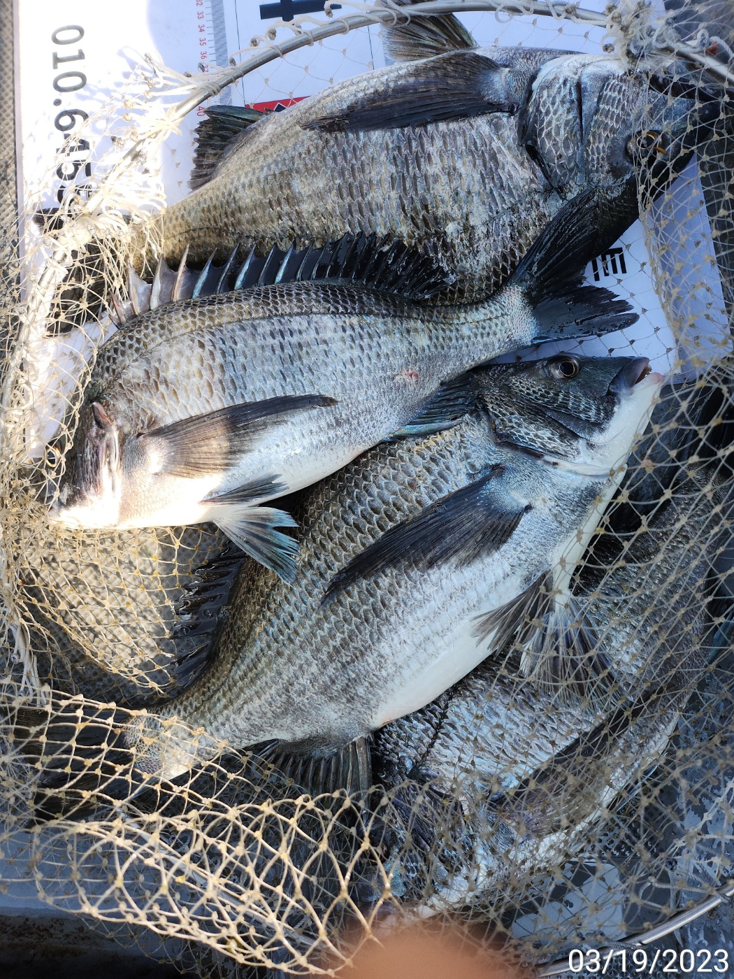
간달프호 감성돔 흘림) 실시간 4짜4짜4짜4짜
간달프거제
거제
0
246
2023.03.19 11:00
네임
카드
간달프거제
경남 거제시 거제면 산달길 703번지 출항지
010-6455-3914
실시간 예약
홈페이지
밴드 바로가기
유튜브/SNS
4짜4짜4짜4짜
예약 가능합니다.
▶출조시 구명조끼/신분증은 반드시 지참해주세요.
▶ 예약문의: 간달프호 선장 010-6455-3914
- 부재시 문자주시면 빠른연락 드리겠습니다.
▶ 배타는곳: 경남 거제시 거제면 법동리 1056번지
(방파제 중간)
▶ 선비 입금하실때
수협 차행우 0010 6455 3914
▶ 밴드" 간달프 거제" 검색
https://band.us/band/72256733
0
좋은 글이라고 생각되시면 "추천(좋아요)"을 눌러주세요!
게시물 신고
목록
0
댓글
로그인한 회원만 댓글 등록이 가능합니다.
×
Image Upload
로그인한 회원만 등록가능합니다.
목록
번호
포토
제목
이름
날짜
*
3
★필독★ 실시간 조황 이용 규칙 - 2021.07.20 변경
3
인터넷바다낚시
2020.11.05
30499
12일 굵은 씨알 왕.알주꾸미 조황(선비할인 이벤트중)
삼천포스피드피싱
19
12.12
삼천포스피드피싱
12.12
30498
다래호 씨알좋은 왕쭈꾸미 우당탕탕탕!!! 쫙 ~~쫙 달라붙습니다…
다래호
15
12.12
다래호
12.12
30497
12일 녹동알쭈꾸미 실시간 ~
1고흥녹동장보고호1
12
12.12
1고흥녹동장보고호1
12.12
30496
12일 다섯분 전원 아침부터 쭈꾸미 피딩 받고 마리수 햇습니다
진우호선장
30
12.12
진우호선장
12.12
30495
12일 왕.알쭈꾸미 사이즈~굿(선비 할인.주말 선수모집)
삼천포스피드피싱
14
12.12
삼천포스피드피싱
12.12
30494
원도권 대물감성돔 흘림 달립니다
사천뉴경원피싱
23
12.12
사천뉴경원피싱
12.12
30493
(은별호)감성돔선상 내일자리여유있습니다
여수은별호
15
12.12
여수은별호
12.12
30492
쭈꾸미 초대박 선비5만 식사 일요일 1자리여유
재영피싱
16
12.12
재영피싱
12.12
30491
친구야가자호))갈치낚시 대갈치낚시 월요일부터 다시 출동합니다 예…
친구야가자
14
12.12
친구야가자
12.12
30490
(실시간)왕문어 뜰채 필수~1.8K 1.5KKKK~순항 中~고고…
고고피싱호
10
12.12
고고피싱호
12.12
30489
통영 금정호 주말 흘림자리 있습니다^^
유촌금정낚시
8
12.12
유촌금정낚시
12.12
30488
호래기 토요일 예약가능합니다
진해해원피싱
29
12.12
진해해원피싱
12.12
30487
^12일(금) 실시간 왕쭈 조황 좋습니다 "선비할인" 주말/평일…
삼천포태진피싱
14
12.12
삼천포태진피싱
12.12
30486
감성돔 현재 4짜외
거제인성낚시
31
12.12
거제인성낚시
12.12
30485
(실시간)왕문어 2명 두 자릿수 통과~K전후 쩍 쩍~현서피싱(1…
현서피싱
13
12.12
현서피싱
12.12
30484
사천피싱스타 주꾸미 실시간 조황입니다 내일 자리여유
사천피싱스타
13
12.12
사천피싱스타
12.12
30483
11일 사이즈 좋은 여수 알쭈 조황/ 월.화 자리 여유!
여수찰리호
8
12.12
여수찰리호
12.12
30482
(실시간)감성돔 어초여밭 4짜4짜급들 10여수 中~젠틀호(15일…
거제젠틀호
35
12.12
거제젠틀호
12.12
30481
실시간조황 오전7시 5k급 어마무시한 대물돌문어 포획성공~ 초…
베테랑피싱
15
12.12
베테랑피싱
12.12
30480
(돌문어) 졸업식 ... 3.43kg !! ... 12월 10…
딜라이트호
13
12.11
딜라이트호
12.11
30479
(감성돔) 테크늄 이벤 ... 42cm, 38, 37, 37 등…
딜라이트호
20
12.11
딜라이트호
12.11
30478
감성돔 조황ᆢ거제 장목
두리호
45
12.11
두리호
12.11
30477
다래호 씨알좋은 왕쭈꾸미 우당탕탕탕!!! 호조황 계속 이어집니다…
다래호
18
12.11
다래호
12.11
30476
(은별호) 감성돔 선상조황입니다
여수은별호
22
12.11
여수은별호
12.11
30475
11일 열한분 전원 쪼꾸미 따북 따북에 피딩도 살짝 받고 마리…
진우호선장
31
12.11
진우호선장
12.11
30474
통영 금정호 대물감성돔 흘림 마릿수 사이즈좋습니다!! 주말자리있…
유촌금정낚시
27
12.11
유촌금정낚시
12.11
30473
10일 여수 문꾸미 조황/금(12일) 급 1자리!
여수찰리호
24
12.11
여수찰리호
12.11
30472
문어 원도권
삼천포대물
17
12.11
삼천포대물
12.11
30471
(실시간)大문어 맛집 OPEN~2.6K 외 KKKKK~고고피싱호…
고고피싱호
18
12.11
고고피싱호
12.11
30470
선비 5만원.철없는 쭈꾸이는 날궂이에도 올라옵니다.건지러 가실분…
삼천포모개섬피싱
28
12.11
삼천포모개섬피싱
12.11
초기화
날짜순
조회순
검색
1
2
3
4
5
6
7
8
9
10
Search
검색대상
제목
내용
제목+내용
회원아이디
회원아이디(코)
글쓴이
글쓴이(코)
또는
그리고
검색어
필수
검색
닫기
인낚 최신글
02:05
바다낚시 뜰채 추천
02:02
시마노 라이암bg 3-500 삽니다.
02:01
가마가츠 아몽자2 3-530 삽니다.
01:26
리미티드 프로 동계 내피만 판매 / 사이즈 L
00:26
감성돔 (카고) ㅡ우당탕탈! 5짜, 4짜중.후반.초반급 마릿수로 손맛 굿굿(예약가능)
00:15
<여수뉴피닉스호> 12월12일 왕쭈꾸미조황입니다. 내일과모레(토,일) 자리있습니다.
00:13
365 쎄제 T 낚시대
12.12
주선코리아 마스터모델2 2-H530대 2호대팜
12.12
[왕오징어.준내만텐빈갈치 ]병행출조~월요일부터 예약가능합니다
12.12
원더랜드 그랜드마스터2 AR2-500 삽니다.
12.12
토너먼트 조끼 m사이즈 구합니다
12.12
토요일 주간문어 예약가능~ 키로오버잡으러 고고~
12.12
12일,입항<주간쭈꾸미>&<야간낙지>토,일 예약가능
12.12
가마가츠 슈퍼프리시드1.5-50
12.12
"가거도 , 상태도" 다음주 주중,주말 출항 공지 해드립니다.
12.12
[여수헌터호] 12월12일 쭈갑 멋진 조황 14일 펑크자리 생겼습니다~
12.12
12일/야간낙지 보양식 잡으로오세에요~월요일.예약가능
12.12
야간낙지 왕낙지들 쭉쭉~!!문어,쭈꾸미까지~!!(예약가능)
12.12
왕쭈조황굿(.일욜. 5만)일욜 8자리여유.예약받습니다~
12.12
니신 제로섬 x4 1.5-515 궁금점
12.12
무너대박~황금물때 3.4K외 K K K ( 토,일~주간예약가능
12.12
왕쭈꾸미 씨알굿~조항 시즌 빅3 EVENT START! ~15일 월욜(출조확정)7자리 예약가능 합니다
12.12
구형 블랙스타 1.2 신천옹f 알바트로스 0.8 팝니다
12.12
어느 아파트의 따듯한 축하
12.12
타이라바낚시대릴
12.12
토요일 주간문어 예약가능~ 키로오버잡으러오세요~
12.12
[신조선]원도권문어1.430g1350g1200g급장원21수마릿수굿~
12.12
금일 주꾸미 호조황///월.화 달립니다./5만원
12.12
금요일.ㅡ망탱이조황~~월요일.화요일 ~~~~그랜드맥스호 쭈꾸미 졸업식에 함께 해주실분들 예약주셔요.
12.12
✅️[여수오션스타] 12월12일 대왕주꾸미 조황!! 다음주 수목금 선비인하 모집중
12.12
김해 장유 북신만 선외기 동출 가실분 12/13일 내일
12.12
가마가츠 구레경기 스페샬4 1.25-530
12.12
12일 굵은 씨알 왕.알주꾸미 조황(선비할인 이벤트중)
12.12
12일 굵은 씨알 왕.알주꾸미 조황(선비할인 이벤트중)
12.12
가마가츠 마스터모델2 구태MH53 보증서 삽니다
12.12
다이와 낚시복 dw-1122 2XL 삽니다
12.12
통영백가피싱)씨알좋습니다.월요일 왕열기출조/화요일은 갈치&한치&오징어 다잡아출조
12.12
가마가츠 G5 1-50대 삽니다
12.12
신천옹 ps 50T 팝니다
12.12
선라인신형내피 suw-01501 LL팝니다
12.12
감성돔 거제인성낚시 4짜외
12.12
진해 안골슬기호 감성돔!!월욜부터예약중4명
12.12
18토너 경기 팝니다.(정공품)
12.12
왕알쭈구미 우당탕탕
12.12
DJ-2025T (M) 새상품 -->DJ-2025T (L) 새상품 교환 합니다
12.12
고성드래곤 감시 흘림 호조황 토욜 자리여유
12.12
시마노낚시복 RA-112U.RT-133Y
12.12
22시마노베이시스 1.2-500대 팝니다.
12.12
돌문어 키로급 많이잡고~~~(내일자리여유)
12.12
시마노 Sz3 1.5 530
인낚 최신댓글
00:34
앗 감사합니다! 이번에 여수 5박다녀왔는데 곧 또 갈예정인데 저곳으로 한번 가봐야겠네요 궁금했던 정보인데 다…
00:11
저도 135rd 있는데 돌돔가방따로 사기 귀찮아서 하나로 해결볼려고요..145 실측은 몇cm 인가요?
12.12
여치기나 직벽같은 협소한 장소에 짝대기를 뜰채에 벨크로로 묶고 뜰채 로프를 매고 다니라고 만든거라 생각하고 …
12.12
부산이면 학장에 창신산업이 잘 하더군요
12.12
강제집행은 콜트나이트가 좋고 재미있게 낚시할려면 어텐더3이 좋습니다
12.12
동네 구두방& 간혹 장비 있는데서 박음질 해주는곳 있습니다. 단, 흔치는 않고요.. ㅎㅎ;; 공업용재봉기? …
12.12
뜰채 어깨끈은 워킹포인트 갈적에 필요한 용도입니다요.. 종선/사선타고 갯바우 진입시엔 거추장스러우니 뜰채 어…
12.12
대형스피닝릴 경우.. 서로 호환되는 스풀들은? 단지 스풀(내/외경) 사이즈는같지만 스풀깊이가 깊고.. 얕고.…
12.12
그니까요.. 보증서에 찍혀있는 년도수(ex: '26년 경우) 다음해 '27년도 12월말까지는 무조껀 보증처리…
12.12
요즘은 뜰채 앞을 당겨서 뒤로 넣는게 아니라 뒷부분을 앞으로 넣으면서 랜딩하시는 분들이 많은거 같습니니다. …
12.12
오늘 알데나 직수 한대 우체국택배로 도착 투명봉지에 종이 보증서 들어가 있네요. 26년 찍혀 있습니다. 27…
12.12
이렇게 쓰시는분들도 있으시네요...
12.12
플로팅 씁니다
12.12
메고 다니고 하는거지만 갯바위 이동시 줄로 이용해 걸고 다녀요 뜰채 는 잡는 위치가 안 일정 하기에 줄로 어…
12.12
어텐더3 1표하고갑니다.
12.12
얼추 30년 정도 뜰채 사용했는데 어깨끈 사용을 한 경우가 없습니다. 해서 어깨끈 용도가 저도 궁금하네요.
12.12
사용할때 너무 걸리적거려서 떼고 사용합니다. 일부러 달고 해봤는데 많이 걸리적거리더라구요
12.12
m대로 감성돔은 싱거운가봐요 ㅎㅎ 후기 감사 합니다
12.12
사용하시는 낚시대 대비 성향은 어텐더3가 더 가깝고 사용하시기 편하실듯하네요 어3 한표~
12.12
동네 구두방에 가시면 적은비용으로 해줍니다
12.12
12.12
12.12
12.12
말씀 감사합니다.
12.12
12.12
아 그런가요? 세미 쓰시나요?!
12.12
20221206 욕지도
12.12
가고 싶네요ㅠ
12.12
20221027 욕지권 갯바위
12.12
끄심바리조법에서는 일부러 싱킹줄 사용하기도 합니다.
12.12
20220620 지심도
12.12
가마조끼가 모델마다 사이즈가 조금씩 달라요 176/89인데 어떤모델은 LL이 잘맞고 어떤연식은 LL이 작았습…
12.12
255g 으로 알고있습니다
12.12
예전에는 쯔리겐 강흑,정흑,m16 등등 좋다는 구멍찌 사모았는데 어느순간 귀찮기도하고 조과에 큰차이도 없는거…
12.12
저도 떼고 사용합니다. 거추장스러울때가 더 많더라구요.
12.12
자중이 얼마나 되나요?
12.12
시마노 04 bb-x type2 라는 명칭의 릴입니다 테크늄 바로 아래등급 모델로 현행 하이퍼포스 급 릴이라…
12.12
동행출조 마감입니다.^^
12.12
내일예약가능 합니다
12.12
뜰채 어께끈이 뜰채질할때 작은싸이즈는 기본적으로 들어뽕하지만 큰사이즈는 무게감도 있고 하니 어께끈을 말그대로…
12.12
제게 파세요 ㅠ
12.12
금오도 섬 안에 펜션에서 낚시배 같이 하는곳 있는데 이곳에서는 자유 출조 입니다. 철수도 5시 하구요오도 섬…
12.12
저는 박가B찌 3호줄 쓰는데 별 차이 없이 내려가던데요 박프로는 원래 원줄 약하게 쓰시는 분이구요
12.12
물때와 날씨는 말 그대로 물때와 날씨만 보시면 맞습니다. 어신은 예전에 업데이트를 안하는지 만조 간조가 거꾸…
12.12
발판 좋으네요
12.12
https://store.boafit.com/ko-kr/warranty 신청하셔서 직접수리하면 됩니다
12.12
제가 사용중인데요 재질이 기스가 이빠이 납니다. 처음엔 커버씌워 다녔는데 귀찮아서 그냥들고 다니니 완전 걸레…
12.12
네이버에 아네론직구 로 검색하면 파는 사이트 많이 나옵니다
12.12
저는m53 사용중인데 무게는 조금나가지만 만족하며 쓰고 있어요.캐스팅후 옆구리 끼고있으니까 무거운줄 모르겠네…
12.12
선상낚시면 모를까 원줄관리가 필요한 갯바위서는 불편하지않을까요
온라인 문의 안내
*운영진에게 문의
*광고/제휴 문의
월~금 : 9:00 ~ 18:00
토/일/공휴일 휴무
점심시간 : 12:00 ~ 13:00
인낚몰 초특가
★500★ W쿠션 멀티 수중찌 M L - 전유동 반유동 끄심바리 필수품 수중쿠션
★5,900★ 여러개 있으면 아주 좋은 EVA 시스템 백
★ 1+1 플로팅, 세미, 카본 낚시줄 행사 호수선택가능 / 택상 1+1 원줄, 목줄 행사
★6,000★ 예민함의 끝판왕 애니원찌 벵에돔찌 학공치찌
★15,000★ 오동목 구멍찌 5개 + 메쉬 찌케이스 세트
★22만원★ 40W 집어등을 이 가격에!
★5,000★ 전층쿠션 15세트입 S / L 사이즈
★2,000★ 전층쿠션 5세트입 S / L 사이즈
★10,000 미니집어등5개 + 425배터리 1개 + 스토퍼고무 10개
★13,500 深海 심해대물 갈치집어등 3개 5LED 오색 집어등 갈치낚시 필수품 건전지3개 포함 수중집어등
★9,900★ 수제공방 갈치 풀치 잔치세트 짬낚시 필수 하나로 끝
★8,650~★ 아부가르시아 카치카치다마 유동식 타이라바 - 80g / 100g / 120g / 140g