감성돔(어초여밭 실시간) 4짜이하 마리수OK~거제대어2호 조황 (25일 예약)

신상품 소개


회원 랭킹


공지사항


NaverBand
점주/선장 > 가장 빠른!!  실시간 조황

감성돔(어초여밭 실시간) 4짜이하 마리수OK~거제대어2호 조황 (25일 예약)

거제대어낚시2호 1 100 2023.12.24 09:32
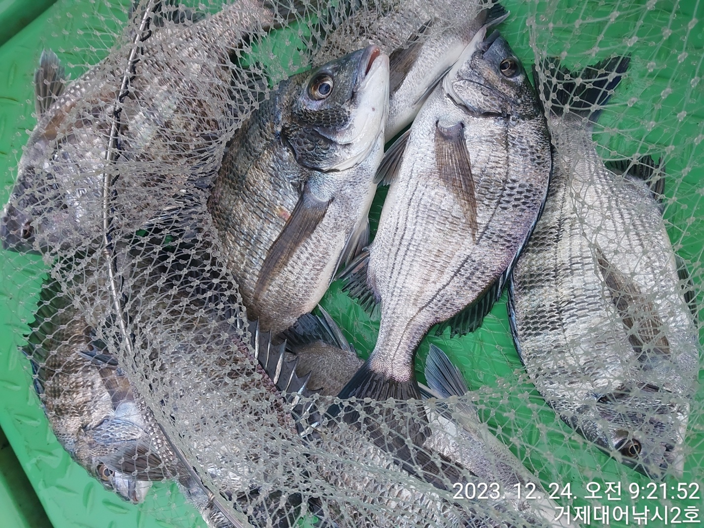
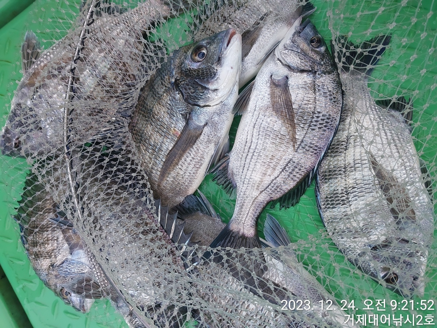
거제대어낚시2호 감성돔 어초, 여밭흘림 조황입니다.
물때가 살아는 구간이라 그런지 조류에 태운 어신찌가 순신간에 사라지면서
빵좋은 감성돔 4짜이하 마리수로 손맛중입니다. 남은시간 즐겨 보겠습니다.
내일 예약 가능합니다.

내일부터 물때가 살아나는 구간부터 주말 사리물때까지 최고의 손맛 물때로 돌입
합니다. 승율높은 구간이라 꼭 도전 해 보시길 바랍니다.

▣ 거제대어낚시 참돔/감성돔낚시 일정 안내 ▣
감성돔(내만)/참돔 (먼바다)/선외기(어장) 전용선체제 운영.
★숙박+낚시배를 동시에 이용하고자 하는 분들은 할인혜택도 짱~짱~★
★ 12월 25일(월) 감성돔낚시 참돔낚시 선외기대여 "예약가능
★ 12월 26일(화) 감성돔낚시 참돔낚시 선외기대여 "예약가능
★ 12월 27일(수) 감성돔낚시 참돔낚시 선외기대여 "예약가능
★ 12월 28일(목) 감성돔낚시 참돔낚시 선외기대여 "예약가능
※ 좋은 포인트 선정을 위해 예약을 미리미리 서둘러 주십시요.

☎ 거제대어낚시 선상낚시 예약(독채 민박) 문의☎
☎ 010-6400-2082 / ☎ 010-4547-3937
ㅁ선외기: ☎ 010-6400-2082
■ 밴드:  https://band.us/@geojedaeeofishing
0

좋은 글이라고 생각되시면 "추천(좋아요)"을 눌러주세요!


, , , , , , , , , , , , , , , , , , , , , , , , , , , , , , , , , , , , , ,

  • 페이스북으로 보내기
  • 트위터로 보내기
  • 구글플러스로 보내기
  • 카카오스토리로 보내기
  • 네이버밴드로 보내기
  • 네이버로 보내기
  • 텀블러로 보내기
  • 핀터레스트로 보내기
1 댓글
거제대어낚시2호 23-12-24 09:32 0  
25일 거제도권 감성돔낚시 예약 가능합니다. 감사합니다
 
포토 제목
 

인낚 최신글


인낚 최신댓글


온라인 문의 안내


월~금 : 9:00 ~ 18:00
토/일/공휴일 휴무
점심시간 : 12:00 ~ 13:00