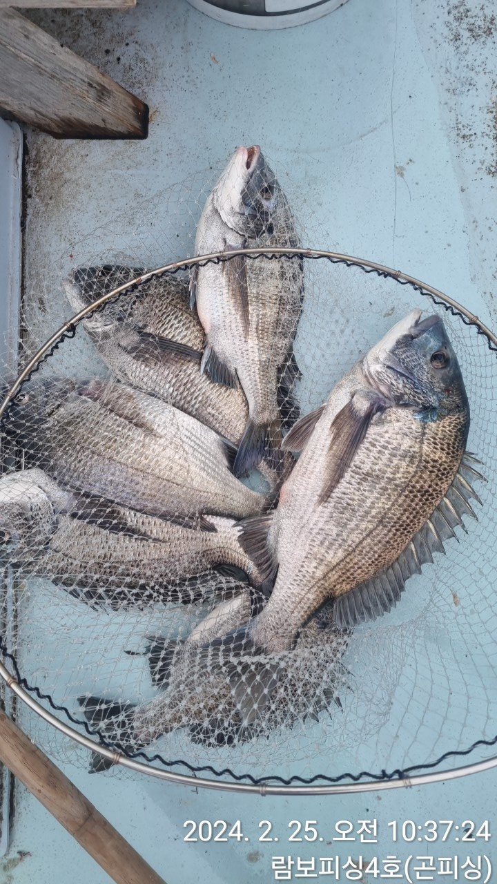
감성돔(어초 실시간) 45Cm 41Cm 빵좋습니다~람보4호 조황(26일 예약)

신상품 소개


회원 랭킹


공지사항


NaverBand
점주/선장 > 가장 빠른!!  실시간 조황

감성돔(어초 실시간) 45Cm 41Cm 빵좋습니다~람보4호 조황(26일 예약)

람보4호곤피싱호 1 167 2024.02.25 11:06
람보피싱4호입니다.
엄청난 체고를 자랑하는 어초여밭 수중여 텃박이 감성돔 45Cm 41Cm외
마리수 손맛을 이어가고 있습니다. 영등철초입을 가까이 하면서 씨알과
힘들이 상당히 좋아진 것 같습니다. 철수까지 집중해 보겠습니다.

26일 월요일부터 영등초입시즌, 대물감성돔들이 득실되는 거제 최상위
포인트 "어초 여밭 수중여"포인트로 직항합니다.

▦ 람보피싱 참돔낚시 & 감성돔낚시 출조 일정 안내 ▦
★26일(월)  9물/거제도 어초여밭 감성돔 참돔낚시 "예약가능"
★27일(화)10물/거제도 어초여밭 감성돔 참돔낚시 "예약가능"
★28일(수)10물/거제도 어초여밭 감성돔 참돔낚시 "예약가능"
★29일(목)12물/거제도 어초여밭 감성돔 참돔낚시 "예약가능"
★3월 1일(금) 예약완료.
★3월 2일(토) 14물/거제도 어초여밭 감성돔 참돔낚시 "예약가능"
※ 평일과 주말 예약은 서둘러 예약하시면 승율포인트로 우선 진입.

▦ 람보피싱 (참돔 / 감성돔 흘림낚시전문 출조)
(출조문의) 람보4호 ☎010 3522 0188
(출항지 주소) 경남 거제시 거제면 법동리 1056번지
▶람보피싱 밴드 :  https://band.us/@zzxx6954
0

좋은 글이라고 생각되시면 "추천(좋아요)"을 눌러주세요!


, , , , , , , , , , , , , , , , , , , , , , , , , , , , , ,

  • 페이스북으로 보내기
  • 트위터로 보내기
  • 구글플러스로 보내기
  • 카카오스토리로 보내기
  • 네이버밴드로 보내기
  • 네이버로 보내기
  • 텀블러로 보내기
  • 핀터레스트로 보내기
1 댓글
람보4호곤피싱호 24-02-25 11:06 0  
26일 월요일 감성돔 어초여밭 예약 가능합니다. 감사합니다.
 
b_hot_innakmall_200x80_240307.jpg b_hot_nios_200x80.gif b_hot_ggsusan_hongeu_160x100.gif b_hot_innakmall_200x80_211203.gif
포토 제목
 

인낚 최신글


인낚 최신댓글


온라인 문의 안내


월~금 : 9:00 ~ 18:00
토/일/공휴일 휴무
점심시간 : 12:00 ~ 13:00