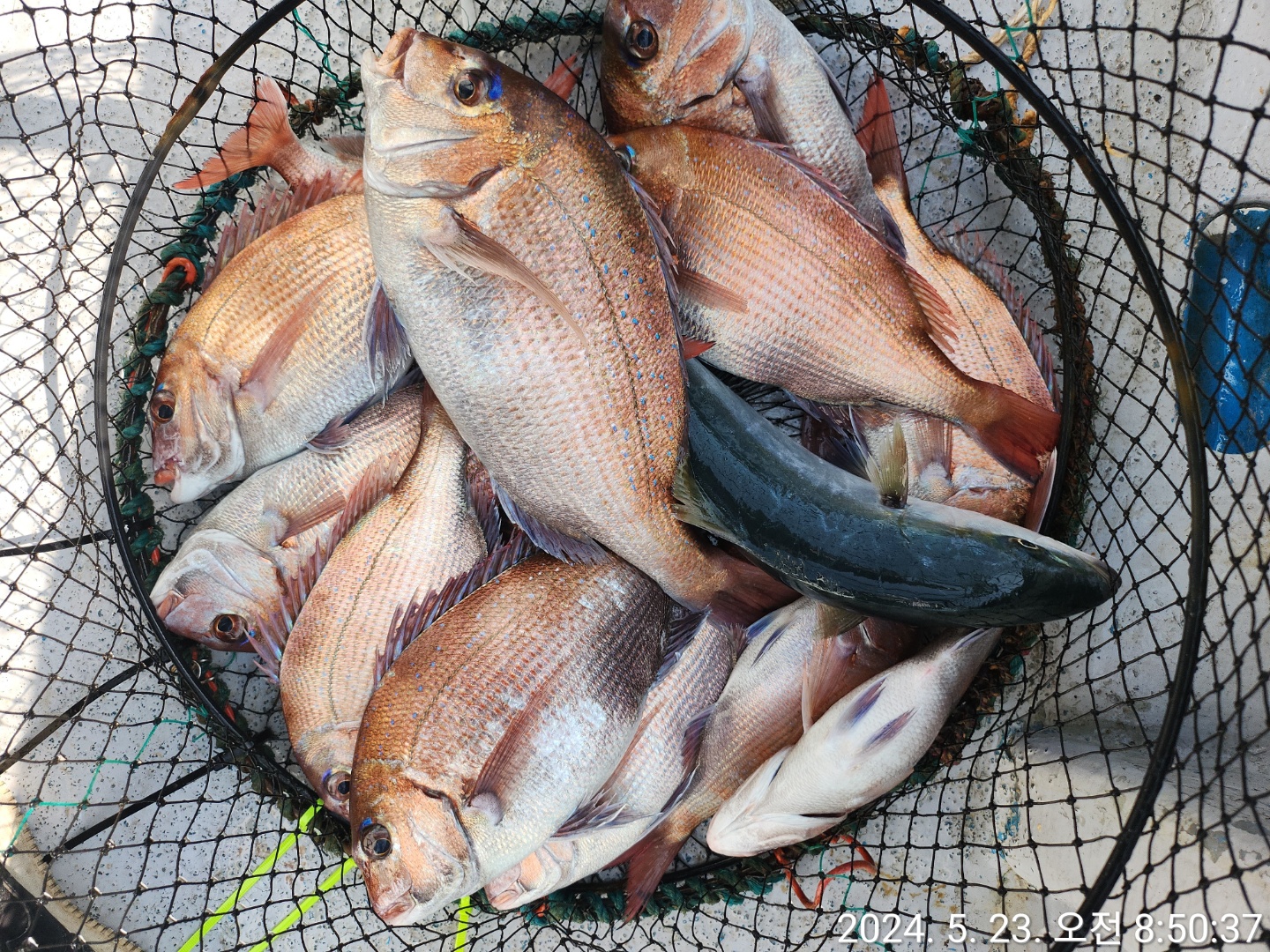
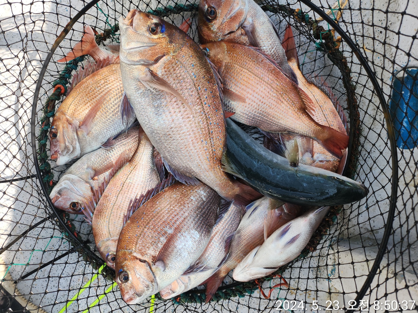
참돔(욕지도권 실시간) 30수 통과 손맛 끝장~고성베이호 핫조황(24일 예약)

신상품 소개


회원 랭킹


공지사항


NaverBand
점주/선장 > 가장 빠른!!  실시간 조황

참돔(욕지도권 실시간) 30수 통과 손맛 끝장~고성베이호 핫조황(24일 예약)

고성베이호 1 137 2024.05.23 10:15
대물 참돔낚시 욕지도 자연어초 전문 고성베이호입니다.
오늘은 어제와는 달리, 초반에 대형급들 입질이 많았지만 대부분 터트리기
일수~아쉽지만, 현재시간 중치급이상 30여수로 손맛을 진행하고 있고,
조류가 바뀌는 타임에 집중적으로 노려 다시 대물 참돔을 노려 보겠습니다.
씨알부터 마리수까지~ 역시 욕지도권 어초는 사이즈와 마리수가 다릅니다.

활성도가 상당히 좋은 상황으로 24일(금요일) 새벽5시부터 출조해
살아나는 물때 구간, 대물 참돔을 노려 보겠습니다.

▣ 고성베이호 자연어초 흘림낚시 출조 일정 ▣
욕지도권 자연어초여밭 수중여로 모십니다!!!
★24일(금) 5시 출항, 욕지 자연어초 참돔낚시 "예약가능"
★25일(토) 5시 출항, 욕지 자연어초 참돔낚시 "예약가능"
★26일(일) 5시 출항, 욕지 자연어초 참돔낚시 "예약가능"
※ 주중, 주말 예약 가능합니다.

■ 고성 베이호 ☎010 4598 1782
■ 출항지 : 고성군 삼산면 두포리177-16 블루웨일 글램핑內
0

좋은 글이라고 생각되시면 "추천(좋아요)"을 눌러주세요!


, , , , , , , , , , , , , , , , , , ,

  • 페이스북으로 보내기
  • 트위터로 보내기
  • 구글플러스로 보내기
  • 카카오스토리로 보내기
  • 네이버밴드로 보내기
  • 네이버로 보내기
  • 텀블러로 보내기
  • 핀터레스트로 보내기
1 댓글
고성베이호 24-05-23 10:15 0  
24일 욕지도권 참돔낚시 예약 가능합니다. 감사합니다.
 
포토 제목
 

인낚 최신글


인낚 최신댓글


온라인 문의 안내


월~금 : 9:00 ~ 18:00
토/일/공휴일 휴무
점심시간 : 12:00 ~ 13:00