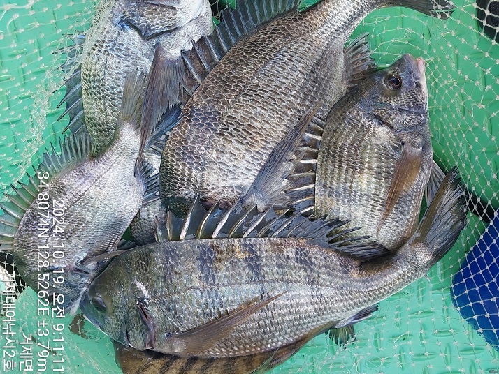
감성돔(실시간) 대형급팅~43Cm外 4짜 4짜급 폭팔~거제대어2호(20일 예약)

신상품 소개


회원 랭킹


공지사항


NaverBand
점주/선장 > 가장 빠른!!  실시간 조황

감성돔(실시간) 대형급팅~43Cm外 4짜 4짜급 폭팔~거제대어2호(20일 예약)

거제대어낚시2호 1 62 2024.10.19 10:10
거제대어낚시2호, 감성돔 흘림낚시 조황입니다.
어초 여밭, 어장포인트 진입했습니다. 역시~오늘은 물때가 좋은 시기라
굵은 씨알들이 판을 칩니다. 감성돔 4짜, 4짜급들외 마리수로 퍽~퍽하고,
사이즈는 43, 40, 38, 35외 찐하게 손맛 즐기고 있습니다. 좋은 활성도에
남은시간 손맛 제대로 즐겨 보겠습니다.

내일, 20일(일요일) 먼바다 참돔낚시, 어초여밭 감성돔흘림낚시와
선외기 대여 분산 출조합니다. 대물들이 본격 움직이기 시작했습니다.

▣ 거제대어낚시 참돔부시리/감성돔낚시/선외기대여 일정 안내 ▣
★숙박+낚시배를 동시에 이용하고자 하는 분들은 할인 혜택 적용.
(선외기 소식) 선외기대에서 돌문어 굵은놈들 본격 입성했습니다.
☆20일(일요일) 10물, 감성돔낚시 선외기대여 "예약가능"
☆21일(월요일) 11물, 참돔낚시 감성돔낚시 선외기대여 "예약가능"
☆22일(화요일) 12물, 참돔낚시 감성돔낚시 선외기대여 "예약가능"
☆23일(수요일) 13물, 참돔낚시 감성돔낚시 선외기대여 "예약가능"

거제대어낚시 선상낚시 예약(독채 민박)
문의 ☎ 010-6400-2082 / ☎ 010-454-393
ㅁ선외기 예약: ☎ 010-6400-2082
■ 밴드: https://band.us/@geojdaeeofishing
0

좋은 글이라고 생각되시면 "추천(좋아요)"을 눌러주세요!


, , , , , , , , , , , , , , , , , , , , , , , , , , , , , , , , , , , , , , , , , ,

  • 페이스북으로 보내기
  • 트위터로 보내기
  • 구글플러스로 보내기
  • 카카오스토리로 보내기
  • 네이버밴드로 보내기
  • 네이버로 보내기
  • 텀블러로 보내기
  • 핀터레스트로 보내기
1 댓글
거제대어낚시2호 24-10-19 10:11 0  
20일 거제도 선외기대여 예약 자리 있습니다. 감사합니다.
 
포토 제목
 

인낚 최신글


인낚 최신댓글


온라인 문의 안내


월~금 : 9:00 ~ 18:00
토/일/공휴일 휴무
점심시간 : 12:00 ~ 13:00