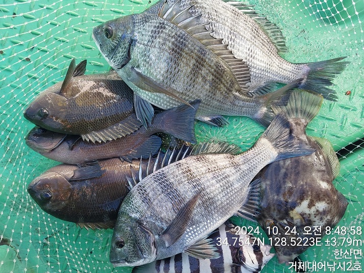
감성돔(실시간) 벵에돔들로 화끈한 손맛~거제대어2호(25일 예약)

신상품 소개


회원 랭킹


공지사항


NaverBand
점주/선장 > 가장 빠른!!  실시간 조황

감성돔(실시간) 벵에돔들로 화끈한 손맛~거제대어2호(25일 예약)

거제대어낚시2호 1 77 2024.10.24 10:18
거제대어낚시2호, 어초, 여밭 감성돔 흘림낚시 조황입니다.
현재시간, 좋은 물때에 맞추어 2~3호찌 줄~줄 흘리고 있습니다. 오늘은
멀리서 받은 입질에 빠지는 아쉬움도 있지만, 감성돔들과 벵에돔들로
화끈한 손맛, 재미나게 즐기고 있습니다. 릴찌낚시의 계절이 돌아
왔습니다. 남은시간 즐겨 보겠습니다

내일, 25일(금요일) 먼바다 참돔낚시, 어초여밭 감성돔흘림낚시와
선외기 대여 분산 출조합니다.대물들이 본격 움직이기 시작했습니다.

▣ 거제대어낚시 참돔부시리/감성돔낚시/선외기대여 일정 안내 ▣
★숙박+낚시배를 동시에 이용하고자 하는 분들은 할인 혜택 적용.
(선외기 소식) 선외기대에서 돌문어 굵은놈들 본격 입성했습니다.
☆25일(금요일) 조금. 참돔낚시 감성돔낚시 선외기대여 "예약가능"
☆26일(토요일) 1물. 참돔낚시 감성돔낚시 선외기대여 "예약가능"
☆27일(일요일) 2물, 참돔낚시 감성돔낚시 선외기대여 "예약가능"
☆28일(월요일) 3물, 참돔낚시 감성돔낚시 선외기대여 "예약가능"


거제대어낚시 선상낚시 예약(독채 민박)
문의 ☎ 010-6400-2082 / ☎ 010-454-393
ㅁ선외기 예약: ☎ 010-6400-2082
■ 밴드: https://band.us/@geojdaeeofishg
0

좋은 글이라고 생각되시면 "추천(좋아요)"을 눌러주세요!


, , , , , , , , , , , , , , , , , , , , , , , , , , , , , , , , , , , , , , , , , ,

  • 페이스북으로 보내기
  • 트위터로 보내기
  • 구글플러스로 보내기
  • 카카오스토리로 보내기
  • 네이버밴드로 보내기
  • 네이버로 보내기
  • 텀블러로 보내기
  • 핀터레스트로 보내기
1 댓글
거제대어낚시2호 24-10-24 10:18 0  
25일 거제도 선외기대여 예약 자리 있습니다. 감사합니다.
 
포토 제목
 

인낚 최신글


인낚 최신댓글


온라인 문의 안내


월~금 : 9:00 ~ 18:00
토/일/공휴일 휴무
점심시간 : 12:00 ~ 13:00