감성돔(실시간) 호로록~4짜 3짜 굵은놈들~거제대어1호(5일 예약)

신상품 소개


회원 랭킹


공지사항


NaverBand
점주/선장 > 가장 빠른!!  실시간 조황

감성돔(실시간) 호로록~4짜 3짜 굵은놈들~거제대어1호(5일 예약)

거제대어1호 1 46 2024.11.04 09:53
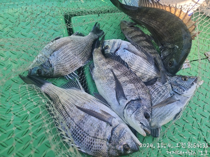
거제대어낚시 1호 어초, 여밭 감성돔흘림 조황입니다.
월요일 좋은 기상속에서 황금물때에 맞추어 진입한 어초여밭에서
2~3호찌 줄~줄 흘리고 있습니다. 좋은 물때에 수온까지 좋은 상황에
체고 굵은 감성돔 4짜, 3짜들 손맛 좋습니다.남은시간 즐겨 보겠습니다.
내일도 감성돔흘림 출조하고 예약가능합니다.

내일,  5일(화요일)은 참돔 감성돔낚시 선외기대여까지 모두 예약가능
합니다.

(선외기 소식) 선외기대에서 돌문어 굵은놈들 본격 입성했습니다.
☆5일(화요일) 12물. 참돔낚시 감성돔낚시 선외기대여 "예약가능"
☆6일(수요일) 13물. 참돔낚시 감성돔낚시 선외기대여 "예약가능"
☆7일(목요일) 14물. 참돔낚시 감성돔낚시 선외기대여 "예약가능"
☆8일(금요일) 조금. 참돔낚시 감성돔낚시 선외기대여 "예약가능"
☆9일(일요일) 1물, 참돔낚시 감성돔낚시 선외기대여 "예약가능"
※ 좋은 포인트 선정을 위해 예약을 미리미리 서둘러 주십시요.

거제대어낚시 선상낚시 예약(독채 민박)
문의 ☎ 010-6400-2082 / ☎ 010-454-393
ㅁ선외기 예약: ☎ 010-6400-2082
■ 밴드:  https://band.us/@geojdaeeofishing
0

좋은 글이라고 생각되시면 "추천(좋아요)"을 눌러주세요!


, , , , , , , , , , , , , , , , , , , , , , , , , , , , , , , , , , , , , , , , , ,

  • 페이스북으로 보내기
  • 트위터로 보내기
  • 구글플러스로 보내기
  • 카카오스토리로 보내기
  • 네이버밴드로 보내기
  • 네이버로 보내기
  • 텀블러로 보내기
  • 핀터레스트로 보내기
1 댓글
거제대어1호 24-11-04 09:54 0  
5일 거제도 참돔 감성돔 선외기 예약 자리 있습니다. 감사합니다.
 
포토 제목
 

인낚 최신글


인낚 최신댓글


온라인 문의 안내


월~금 : 9:00 ~ 18:00
토/일/공휴일 휴무
점심시간 : 12:00 ~ 13:00