감성돔(실시간)들의 어초권 상륙~손맛굿~여밭 찌낚시(15일 예약)

신상품 소개


회원 랭킹


공지사항


NaverBand
점주/선장 > 가장 빠른!!  실시간 조황

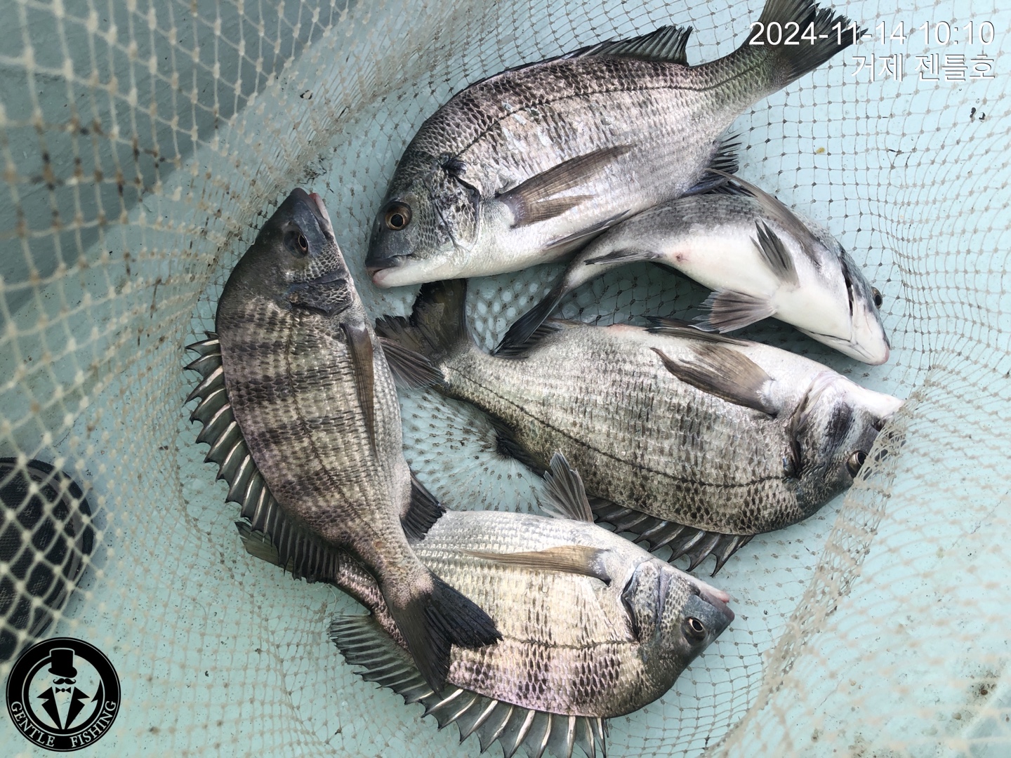
감성돔(실시간)들의 어초권 상륙~손맛굿~여밭 찌낚시(15일 예약)

거제젠틀호 1 55 2024.11.14 10:37
거제도 젠틀호 한선장입니다
좋은 물때에 맞추어 진입한 어초여밭, 오늘은 조류 소통이 좋은 날이라
은근히 기대감을 가지고 진입, 6시 30분경 시원한 입질이 이어지면서
힘좋고, 버티는 파워 또한 남다른 어초 감성돔들이 얼굴을 보이기
시작했습니다.철수까지 오후 물때 구간 또한 좋은 타임이라 기대하고
집중해 보겠습니다

15일(금요일) 감성돔낚시의 좋은 물때 구간에서 거제도권
대물감성돔 시즌 핫포인트로 직항하겠습니다

따뜻하게~방한복 및 낚시복 필수!
거제도 대물포인트로 굵은 씨알들의 감성돔들이 진입하고
있습니다. 채비 튼튼히 챙기시고, 몇일전부터 새벽과 낮시간대
기온차가 심해 체온 유지를 위해 낚시복 꼭 챙기시길 바랍니다

▣ 젠틀호 감성돔/참돔낚시 예약 일정 ▣
15일(금요일) 7물, (04명 자리) 거제도권 감성돔 선상낚시 "예약접수"
16일(토요일) 8물, (02명 자리) 거제도권 감성돔 선상낚시 "예약접수"
17일(일요일) 9물, 예약완료, 감사합니다^^
18일(월요일) 10물, 거제도권 감성돔 선상낚시 "예약접수"

젠틀호 예약문의 ☎ 010-8949-4045
(찾아 오시는 길) 거제시 거제면 서정리 773-14
▣ 젠틀호 밴드 : https://band.us/@gentlefishing
0

좋은 글이라고 생각되시면 "추천(좋아요)"을 눌러주세요!


, , , , , , , , , , , , , , , , , , , , , , , , , , ,

  • 페이스북으로 보내기
  • 트위터로 보내기
  • 구글플러스로 보내기
  • 카카오스토리로 보내기
  • 네이버밴드로 보내기
  • 네이버로 보내기
  • 텀블러로 보내기
  • 핀터레스트로 보내기
1 댓글
거제젠틀호 24-11-14 10:37 0  
15일 거제도 감성돔낚 예약 가능합니다. 감사합니다.
 
포토 제목
 

인낚 최신글


인낚 최신댓글


온라인 문의 안내


월~금 : 9:00 ~ 18:00
토/일/공휴일 휴무
점심시간 : 12:00 ~ 13:00