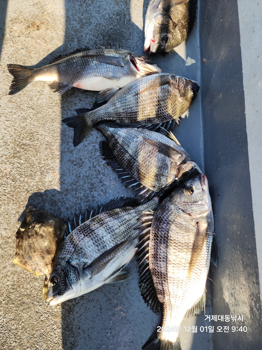
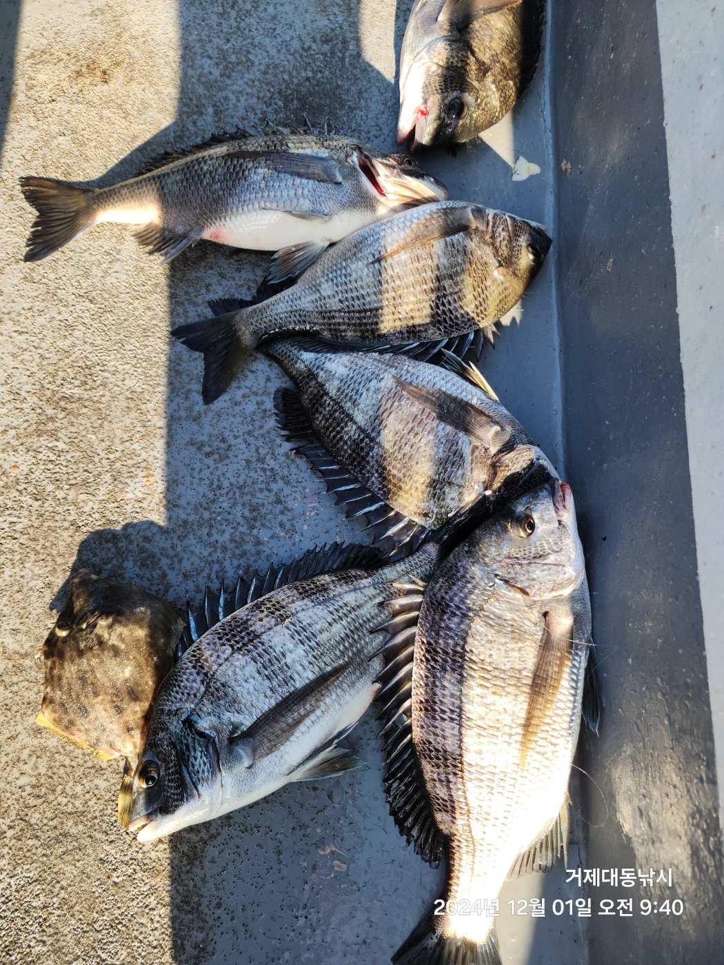
감성돔(실시간) 굵은놈들로 빨아 줍니다~대동낚시 (2일 예약)

신상품 소개


회원 랭킹


공지사항


NaverBand
점주/선장 > 가장 빠른!!  실시간 조황

감성돔(실시간) 굵은놈들로 빨아 줍니다~대동낚시 (2일 예약)

거제대동낚시 1 29 2024.12.01 10:01
대동낚시입니다.
좋은 날씨와 환상적인 물때까지 겹치면서 모처럼 일요일에 활기차
넘쳐 납니다. 적정한 포인트를 지날무렵 시원하게 어신찌에 반응이
오고, 놈들은 쭉~쭉~빨아 줍니다. 이제 감성돔들 살이 붙어서인지
챔질이후, 버티는 힘이 상당히 좋아졌습니다.
1호선 6수, 2호선 5수 진행중 입니다.

12월 2일(월요일) 감성돔낚시 쭈욱~출조를 진행합니다. 거제도권 감성돔
대물 시즌을 본격 시작합니다. 예약은 미리 미리 부탁 드립니다~

▣ 거제도 감성돔 흘림낚시  ▣ 365출조!!!
대동낚시는 전용선 체제로 낚시를 진행합니다.
★12월 2일(월) 9물, 성포출발 감성돔 흘림낚시 "예약가능"
★12월 3일(화) 10물, 성포출발 감성돔 흘림낚시 "예약가능"
★12월 4일(수) 11물, 성포출발 감성돔 흘림낚시 "예약가능"
★12월 5일(목) 12물, 성포출발 감성돔 흘림낚시 "예약가능"
※ 기상만 좋으면 365일 출조합니다. 주말 예약은 미리미리 서둘러 주세요.

▦대동낚시 ☎010-4550-9017
▣ 거제시 사등면 성포로 133(사등농협앞) ▣ 밴드 :  https://band.us/@daedongho
▣ 예약 (수협) 2020-4222-9164 이춘석
0

좋은 글이라고 생각되시면 "추천(좋아요)"을 눌러주세요!


, , , , , , , , , , , , , , , , , , , , , , , , ,

  • 페이스북으로 보내기
  • 트위터로 보내기
  • 구글플러스로 보내기
  • 카카오스토리로 보내기
  • 네이버밴드로 보내기
  • 네이버로 보내기
  • 텀블러로 보내기
  • 핀터레스트로 보내기
1 댓글
거제대동낚시 24-12-01 10:01 0  
2일 거제도 감성돔 흘림낚시 예약됩니다. 감사합니다
 
b_hot_innakmall_200x80_240307.jpg b_hot_nios_200x80.gif b_hot_ggsusan_hongeu_160x100.gif b_hot_innakmall_200x80_211203.gif
포토 제목
 

인낚 최신글


인낚 최신댓글


온라인 문의 안내


월~금 : 9:00 ~ 18:00
토/일/공휴일 휴무
점심시간 : 12:00 ~ 13:00