감성돔(실시간) 마리수OK~가득합니다~황금이벤트~젠틀호(4일 예약)

신상품 소개


회원 랭킹


공지사항


NaverBand
점주/선장 > 가장 빠른!!  실시간 조황

감성돔(실시간) 마리수OK~가득합니다~황금이벤트~젠틀호(4일 예약)

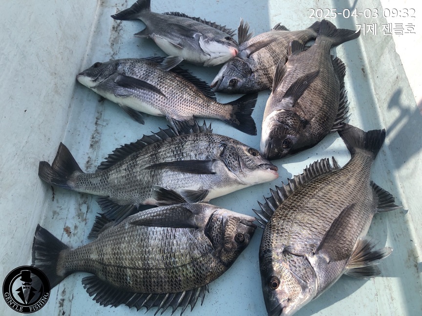
거제젠틀호 1 80 2025.04.03 09:57
거제도 젠틀호 한선장입니다.
좋은 기상속에 진입한 거제도 어초여밭권, 역시 영등철이 지나가면서 본격적인
대형급들의 이동이 수일째 파악되고 있습니다. 이른시간에 받은 강렬하고 묵직한
입질에 버티지를 못하고 1방 제대로 터트리고, 이어진 입질에 빵좋은 감성돔
4짜급들로 마리수 진행중입니다. 지금부터 산란전까지 대형급들이 가장 많이
진입하는 시기, 올해는 유독 대형급들 무리가 늦게 진입해 주말부터 강력한
손맛이 기대되는 시기입니다.

젠틀호 순금 1돈 골드바+무료승선권 1매~이벤트 시즌 2가 시작됩니다
대물 감성돔 손맛 보시고 골드바에 도전해보십시오!
4일(금요일) 부터 거제도권 대물감성돔낚시 본시즌 핫포인트 직항합니다.

 젠틀호 감성돔/참돔낚시 예약 일정 ▣
4월 4일(금) 14물, (07명 자리) 대물 사냥, 감성돔 흘림낚시 "예약가능"
4월 5일(토) 예약완료 감사합니다.
4월 6일(일) 1물, (07명 자리) 대물 사냥, 감성돔 흘림낚시 "예약가능"
4월 7일(월) 2물, 대물 사냥, 감성돔 흘림낚시 "예약가능"

▣ 젠틀호 예약문의 ☎ 010-8949-4045
(찾아 오시는 길) 거제시 거제면 서정리 773-14
▣ 젠틀호 밴드 :  https://band.us/@gentlefishing
0

좋은 글이라고 생각되시면 "추천(좋아요)"을 눌러주세요!


, , , , , , , , , , , , , , , , , , , , , , , , , , ,

  • 페이스북으로 보내기
  • 트위터로 보내기
  • 구글플러스로 보내기
  • 카카오스토리로 보내기
  • 네이버밴드로 보내기
  • 네이버로 보내기
  • 텀블러로 보내기
  • 핀터레스트로 보내기
1 댓글
거제젠틀호 25-04-03 09:59 0  
4일 거제도 어초여밭 감성돔낚시 예약 가능합니다. 감사합니다
 
포토 제목
 

인낚 최신글


인낚 최신댓글


온라인 문의 안내


월~금 : 9:00 ~ 18:00
토/일/공휴일 휴무
점심시간 : 12:00 ~ 13:00