감성돔(실시간)4짜 4짜급들 외 벵에돔~야호(21일 선단 예약)

신상품 소개


회원 랭킹


공지사항


NaverBand
점주/선장 > 가장 빠른!!  실시간 조황

감성돔(실시간)4짜 4짜급들 외 벵에돔~야호(21일 선단 예약)

거제야호 1 75 2025.04.20 09:46
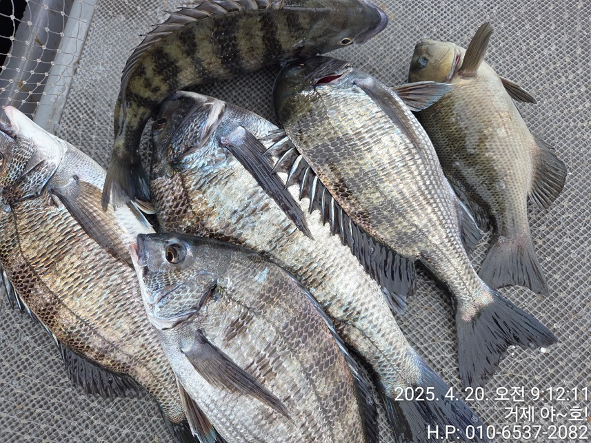
거제도 참돔낚시 감성돔낚시 전문 출조점 야호입니다.
흐린 날씨이지만 감성돔들의 반응은 매섭습니다. 꾸준히 들어간
밑밥에 녀석들의 반응이 금새 이어졌고, 아직 대물은 없지만
4짜와 35Cm 전후들로 마릿수 손맛 진행중입니다.
수온이 확실히 오른 듯 벵에돔도 얼굴을 보여주며 조사님들 손길이
바빠집니다. 남은 시간 5짜 대물을 기다리며 흘려보겠습니다.
내일 선단 예약가능합니다.

21일(월요일) 어초여밭권 감성돔 먼바다 참돔 부시리 흘림 낚시
선단 예약가능합니다.

▣ 선비(거제 야호) 조정 안내
(시행) 2025년 2월 기존 출조비 10만원 ▶11만원으로 변경됩니다.

▣ 거제 야호 출조 일정 안내 ▣
☆21일(월) 감성돔 흘림 먼바다 참돔 부시리 흘림 "선단예약가능"
☆22일(화) 감성돔 흘림 먼바다 참돔 부시리 흘림 쭉~"예약가능"
☆23일(수) 감성돔 흘림 먼바다 참돔 부시리 흘림 쭉~"예약가능"
☆24일(목) 감성돔 흘림 먼바다 참돔 부시리 흘림 쭉~"예약가능"

▦ 거제 야호 예약 문의 ▦
ㅁ선상낚시 (민박) 문의 : ☎ 010-6400-2082 / ☎010-4547-3937
ㅁ선외기 문의 : ☎ 010-6400-2082
(출항지) 거제시 거제면 법동리 1074 아지랑경로당 방파제
0

좋은 글이라고 생각되시면 "추천(좋아요)"을 눌러주세요!


, , , , , , , , , , , , , , , , , ,

  • 페이스북으로 보내기
  • 트위터로 보내기
  • 구글플러스로 보내기
  • 카카오스토리로 보내기
  • 네이버밴드로 보내기
  • 네이버로 보내기
  • 텀블러로 보내기
  • 핀터레스트로 보내기
1 댓글
거제야호 25-04-20 09:46 0  
21일 어초 여밭 감성돔 먼바다 대물 참돔 부시리 흘림낚시 선단 예약가능합니다.감사합니다.
 
포토 제목
 

인낚 최신글


인낚 최신댓글


온라인 문의 안내


월~금 : 9:00 ~ 18:00
토/일/공휴일 휴무
점심시간 : 12:00 ~ 13:00